(15810) Arawn
| Asteroid (15810) Arawn | |
|---|---|
| |
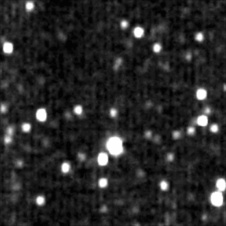
| Arawn, aufgenommen von der Raumsonde New Horizons im November 2015 (vier Bilder im Abstand von jeweils einer Stunde) | |
| Eigenschaften des Orbits Animation | |
| Orbittyp | Plutino |
| Große Halbachse | 39,600 AE |
| Exzentrizität | 0,122 |
| Perihel – Aphel | 34,750 AE – 44,450 AE |
| Neigung der Bahnebene | 3,805° |
| Länge des aufsteigenden Knotens | 144,7° |
| Siderische Umlaufperiode | 249 a |
| Mittlere Orbitalgeschwindigkeit | 4,72 km/s |
| Physikalische Eigenschaften | |
| Mittlerer Durchmesser | 251 km[1] |
| Rotationsperiode | 5,47 h |
| Absolute Helligkeit | 7,7 mag |
| Geschichte | |
| Entdecker | Mike Irwin, Anna Żytkow |
| Datum der Entdeckung | 12. Mai 1994 |
| Andere Bezeichnung | 1994 JR1 |
| Quelle: Wenn nicht einzeln anders angegeben, stammen die Daten vom JPL Small-Body Database. Die Zugehörigkeit zu einer Asteroidenfamilie wird automatisch aus der AstDyS-2 Datenbank ermittelt. Bitte auch den Hinweis zu Asteroidenartikeln beachten. | |
(15810) Arawn (provisorische Bezeichnung 1994 JR1) ist ein transneptunisches Objekt. Es wurde am 12. Mai 1994 von Mike Irwin und Anna Żytkow mit dem Isaac-Newton-Teleskop[1] am Roque-de-los-Muchachos-Observatorium auf La Palma entdeckt.[2] Es wurde als Plutino in 2:3 Resonanz zu Neptun klassifiziert.[3] Das Objekt wurde am 2. Januar 2017 nach Arawn benannt, einer Gestalt aus der keltischen Mythologie.
Am 2. November 2015 erstellte die Raumsonde New Horizons mit der Kamera LORRI mehrere Aufnahmen im Abstand von jeweils einer Stunde. Zum Zeitpunkt der Aufnahmen befand sich das Objekt ca. 5,3 Milliarden km von der Sonne entfernt, aber nur 280 Millionen km von New Horizons.[4] Eine weitere Beobachtung erfolgte am 7.–8. April 2016 aus einer Entfernung von 111 Millionen km. Durch gleichzeitige Beobachtung mit dem Hubble-Weltraumteleskop konnte die Bahn des Objekts unter Ausnützung der Parallaxe wesentlich genauer auf unter 1000 km genau bestimmt werden. Die Einschätzung als möglicher Quasisatellit zu Pluto war damit widerlegt. Die Beobachtung ergab außerdem eine Rotationsperiode von 5,47 Stunden und dass die Oberfläche ziemlich uneben sein muss.[5]
Siehe auch
Einzelnachweise
- ↑ a b Mike Irwin, Scott Tremaine, Anna Żytkow: A Search for slow-moving objects and the luminosity function of the Kuiper Belt In: The Astronomical Journal. Nr. 110 (6), 1995, S. 3082–3092.
- ↑ (15810) Arawn in der Small-Body Database des Jet Propulsion Laboratory (englisch). Abgerufen am 31. Mai 2018.
- ↑ (15810) Arawn beim IAU Minor Planet Center (englisch) Abgerufen am 31. Mai 2018.
- ↑ A Distant Close-up: New Horizons’ Camera Captures a Wandering Kuiper Belt Object.
- ↑ New Horizons: Getting to Know a KBO – Pluto New Horizons. Abgerufen am 6. Januar 2019 (amerikanisches Englisch).
