Atlantische Hurrikansaison 1999

Atlantische Hurrikansaison 1999
Alle Stürme der Saison
Alle Stürme der Saison
Bildung des
ersten Sturms
11. Juni
Auflösung des
letzten Sturms
23. November
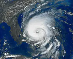
Stärkster Sturm Floyd – 921 hPa (mbar),
135 kn (250 km/h)
Stürme 12
Hurrikane 8
Schwere Hurrikane (Kat. 3+) 5
Opferzahl gesamt 465
Gesamtschaden 5,9 Milliarden $ (1999)
Atlantische Hurrikansaison
1997, 1998, 1999, 2000, 2001

Die Atlantische Hurrikansaison 1999 begann offiziell am 1. Juni und dauerte bis zum 30. November 1999. Dieser Zeitraum grenzt traditionell den Zeitraum des Jahres ab, in welchem sich im Atlantischen Ozean die meisten tropischen Wirbelstürme bilden.

Die Saison 1999 stellte einen Rekord auf, weil fünf Stürme zu Hurrikanen der Kategorie vier wurden. Dieser Rekord wurde sechs Jahre später durch die atlantische Hurrikansaison 2005 eingestellt. Hurrikan Floyd, auf dessen Konto 57 Tote und Milliardenschäden auf seinem Zug entlang der Ostküste gehen, war seit Hurrikan Agnes 1972 der die meisten Personen in den Vereinigten Staaten tötende Hurrikan. Wrong Way Lenny tötete auf seinem Weg nach Osten durch die Karibik 17 Personen und war der erste Hurrikan, von dem ein solcher Kurs über einen längeren Zeitraum bekannt ist. Lenny erreichte Spitzenwindgeschwindigkeiten von 250 km/h und war damit, nur 13 Tage vor dem offiziellen Saisonende, der stärkste atlantische Hurrikan in einem November.

Stürme

Tropischer Sturm Arlene

Tropischer Sturm
Dauer 11. Juni – 18. Juni
Intensität 50 kn (95 km/h) (1-minütig), 1006 hPa

Ein Tiefdruckgebiet in mittlerer bis großer Höhe entwickelte sich Anfang Juni am Schwanzende eines diffusen Frontensystems im mittleren Atlantik. Während das System nordwärts wanderte, entstand eine Konvektion und Zirkulation auf niedrigem Niveau. Es wurde am 11. Juni als Tropisches Tiefdruckgebiet Eins klassifiziert und verstärkte sich unter günstigen Bedingungen am 12. Juni mehrere hundert Kilometer südöstlich von Bermuda zum Tropischen Sturm Arlene. Der Sturm zog in etwa nach Nordwesten und erreichte Windgeschwindigkeiten von 95 km/h, als er am 17. Juni noch 185 km von der Insel entfernt war. Er wendet sich von der Insel ab, in Richtung Norden, wo Windscherungen in der Höhe am 18. Juni die Auflösung von Arlene verursachten. Es wurden keinerlei Schäden berichtet.

Tropisches Tiefdruckgebiet Zwei

Tropisches Tiefdruckgebiet
Dauer 2. Juli – 3. Juli
Intensität 30 kn (55 km/h) (1-minütig), 1004 hPa

Das Tropische Tiefdruckgebiet Zwei bildete sich am 2. Juli im westlichen Golf von Mexiko aus einer tropischen Welle. Nach dem Landfall am 3. Juli etwa 120 km südsüdöstlich von Tuxpan löste das System schnell auf. Es brachte in dem Gebiet heftigen Niederschlag, dessen Maximum mit 517 mm bei Tanzabaca/Tamasopo in Mexiko aufgezeichnet wurden.[1] Durch das System wurden keine bekannten Todesopfer oder Sachschäden verursacht.

Hurrikan Bret

Kategorie-4-Hurrikan
Dauer 18. August – 25. August
Intensität 125 kn (230 km/h) (1-minütig), 944 hPa

Das tropische Tiefdruckgebiet, das sich am 18. August in der Bahía de Campeche bildete, erreichte den Status eines tropischen Sturms am Abend des folgenden Tages. Bret wanderte nach Norden und wurde bis zum 22. August mit Windgeschwindigkeiten von 220 km/h zu einem Hurrikan der Kategorie vier. Als der Hurrikan sich Texas näherte, wendete sich Bret nach Nordwesten und traf am 23. August als Kategorie-3-Hurrikan bei Padre Island auf die Küste. Bret war der erste schwere Hurrikan seit Hurrikan Alicia im Jahre 1983, der Texas erreichte. Der Sturm setzte seinen Weg im Landesinneren fort und löste sich über dem Norden Mexikos am 25. August auf. Der Sachschaden wird auf 60 Millionen US-Dollar geschätzt, was für einen Hurrikan dieser Intensität eher wenig ist. Bret traf auf den eher dünn besiedelten Kenedy County und verfehlte damit Brownsville südlich davon und Corpus Christi nördlich. Der Hurrikan löste sich schnell auf, nachdem die letzte Warnung des NHC die Stadt Laredo betroffen hatte.

Hurrikan Cindy

Kategorie-4-Hurrikan
Dauer 19. August – 31. August
Intensität 120 kn (220 km/h) (1-minütig), 942 hPa

Eine tropische Welle löste sich am 18. August von der Küste Afrikas und entwickelte sich rasch am 19. zum Tropischen Tiefdruckgebiet Vier, etwa 480 km ostsüdöstlich von den kapverdischen Inseln. Dauerhafte westliche Windscherungen verhinderten anfangs die weitere Entwicklung, aber ein Rückgang der Scherung erlaubte am 20. August die Intensivierung des Tiefs zu einem tropischen Sturm. Cindy erreicht schnell den Status eines Hurrikans, schwächte sich aber wegen einer Zunahme der Windscherung wieder zu einem Tief ab. Als die ungünstigen Bedingungen verschwanden und Cindy rasch zu einem Hurrikan der Kategorie 4 mit Windgeschwindigkeiten von 225 km/h wurde, befand sich das System etwa 690 km ostsüdöstlich von Bermuda. Die Scherungen nahmen zu, als Cindy sich nach Nordosten wendete und am 31. August löste sich der Sturm auf, als er sich mit einem außertropischen Sturm verband, etwa 1600 km westlich der Azoren.

Hurrikan Dennis

Kategorie-2-Hurrikan
Dauer 24. August – 9. September
Intensität 90 kn (165 km/h) (1-minütig), 962 hPa

Dennis war ein Hurrikan der Kategorie zwei, der einen unregelmäßigen Verlauf hatte, sowohl was Pfad als auch Intensität angeht. Obwohl der Sturm nicht als Hurrikan an Land gelangte, war er entlang der Küste North Carolinas für Winde in Hurrikanstärke verantwortlich und verursachte dort ausgedehnte Stranderosionen. Der Hurrikan verursachte 157 Millionen US-Dollar an Sachschäden und tötete vier Personen. Seine schweren Regenfälle bereiteten das Feld für die zerstörerischen Sturzfluten durch Hurrikan Floyd etwa zwei Wochen später.

Tropischer Sturm Emily

Tropischer Sturm
Dauer 24. August – 28. August
Intensität 45 kn (85 km/h) (1-minütig), 1004 hPa

Emily bildete sich am 24. August aus dem gleichen Bereich von tropischen Wellen, die Hurrikan Cindy und Hurrikan Dennis hervorbrachten. Der Sturm wanderte in etwa nach Norden, bis er 28. August durch Hurrikan Cindy absorbiert wurde. Emily wirkte sich nicht direkt auf das Festland aus und es wurden keine Schäden mit Emily in Zusammenhang gebracht.

Tropisches Tiefdruckgebiet Sieben

Tropisches Tiefdruckgebiet
Dauer 5. September – 7. September
Intensität 30 kn (55 km/h) (1-minütig), 1006 hPa

Das Tropische Tiefdruckgebiet Sieben entstand am 5. September aus einer tropischen Wellen im westlichen Golf von Mexiko. Es organisierte sich besser, als es nordnordwestlich zog und traf am 6. September auf die Stadt La Pesca, Tamaulipas, bevor es sich weiter intensivieren konnte. Das tropische Gewitter verursachte heftigen. Es ist nicht bekannt, inwieweit dadurch Tote oder Sachschäden verursacht wurden. In Texas bewirkte das die Überreste des Tiefs leichte Regenfälle, deren Maximum mit 85 mm in Harlingen beobachtet wurde.[2]

Hurrikan Floyd

Kategorie-4-Hurrikan
Dauer 7. September – 17. September
Intensität 135 kn (250 km/h) (1-minütig), 921 hPa

Hurrikan Floyd war ein starker und ausgedehnter Kap-Verde-Typ-Hurrikan, der seinen Namen am 8. September 750 Seemeilen (knapp 1400 Kilometer) östlich der Antillen erhielt. Floyd verstärkte sich langsam und nahm Kurs auf West-Nordwest, blieb aber ein gutes Stück nördlich der Kleinen Antillen. Am 11. September änderte Floyd seine Richtung und zog fast genau nach Westen und begann sich zu intensivieren. Am 13. September war Floyd ein starker Kategorie-4-Hurrikan mit Windgeschwindigkeiten von 250 km/h und war kurz davor, die Kategorie fünf zu erreichen.

In diesem Moment war Hurrikan Floyd genau östlich der Bahamas. Floyd schwächte sich leicht ab, als er über die Inseln zog und Eleuthera Island traf. Beim Erreichen von Abaco Island am 14. September war Floyd ein Hurrikan an der unteren Grenze der Kategorie vier. Floyd wendete sich dann nordwärts und zog parallel zur Küste Floridas, wo er in der Nähe von Cape Fear als Kategorie-2-Hurrikan erneut auf das Festland traf. Floyd geriet in der Nähe von Norfolk, Virginia, wieder über das Wasser und zog als tropischer Sturm entlang der Küste der Delmarva-Halbinsel und New Jersey. Floyd erreichte zum letzten Mal die Küste bei Long Island und zog dann nach Neuengland ins Landesinnere.

Entlang der Ostküste verursachte Floyd Rekordwerte bei den Regenfällen, wobei die Städte Wilmington und Philadelphia 382 mm beziehungsweise 168 mm verzeichneten. Teile von Neuengland meldeten fast 280 mm Niederschlag. Entlang der Küste North Carolinas erreichte die Sturmflut 2,7 bis 3 m. Insgesamt 57 Tote werden Floyd zugeschrieben, 56 davon in den Vereinigten Staaten und einer auf Grand Bahama. Die meisten der Todesfälle wurden durch Sturzfluten in North Carolina verursacht. Floyd war einer der teuersten Hurrikane, die beobachtet wurden, mit etwa 4,5 Milliarden US-Dollar Schadenssumme.

Hurrikan Gert

Kategorie-4-Hurrikan
Dauer 11. September – 23. September
Intensität 130 kn (240 km/h) (1-minütig), 930 hPa

Gert entstand aus einer afrikanischen tropischen Welle am 12. September, einige hundert Kilometer westlich der Kapverden. Sein Kurs folgte über den Atlantik einem Bogen, und das System wurde am 16. September zu einem Hurrikan der Kategorie vier. Gert bedrohte Bermuda als ein schwacher Kategorie-2-Hurrikan, dreht aber nach Nord-Nordosten ab. Am 23. September wurde Gert außertropisch und verband sich vor der Küste von Neufundland mit einem anderen Tiefdrucksystem.

Gert verursachte auf Bermuda mehrfach Windböen in Hurrikanstärke, aber Sachschäden beschränkten sich auf Küstenerosion. Der Hurrikan verursachte keine direkten Toten, obwohl in Maine zwei Personen ertranken, als eine starke Welle sie ins Meer spülte. Diese Welle wird Gert zugeschrieben, obwohl sich der Hurrikan zu dem Zeitpunkt über tausend Seemeilen entfernt befand.

Tropischer Sturm Harvey

Tropischer Sturm
Dauer 19. September – 22. September
Intensität 50 kn (95 km/h) (1-minütig), 994 hPa

Der Tropische Sturm Harvey bildete sich am 20. September im östlichen Golf von Mexiko, etwa 300 Seemeilen westsüdwestlich von Saint Petersburg, Florida. Harvey erreichte am 21. September bei Everglades City mit Windgeschwindigkeiten von 90 km/h und einem Luftdruck von 999 hPa das Festland. Nachdem Harvey Florida in Richtung Osten überquert hatte, verband sich Harvey am 22. September über den nördlichen Bahamas mit einer außertropischen Zyklone.

Harvey verursachte keine Toten. Spitzenböen erreichten 110 km/h. Zwei Tornados wurden mit Harvey in Verbindung gebracht. Einer davon brachte ein Haus im Collier County zum Einsturz. Die Sachschäden durch Harvey belaufen sich auf 15 Millionen US-Dollar.

Tropisches Tiefdruckgebiet Elf

Tropisches Tiefdruckgebiet
Dauer 4. Oktober – 6. Oktober
Intensität 30 kn (55 km/h) (1-minütig), 1002 hPa

Eine tropische Welle entwickelte sich am 4. Oktober über der Bahía de Campeche zum Tropischen Tiefdruckgebiet Elf. Durch schwache Strömungen getrieben, wanderte das System südwärts und dann in westlicher Richtung, blieb aber aufgrund einer breiten Rinne an der Oberfläche über dem Golf von Mexiko schwach. Das Tief und die Rinne verbanden sich am 6. Oktober miteinander, Winde in Stärke eines tropischen Sturms traten nur über der Küste auf. Die große, schlecht ausgebildete Zirkulation des Tiefs führte gemeinsam mit vorherigen Niederschlägen zu den schlimmsten Überflutungen der letzten vier Jahrzehnte, die in der Region mindestens 384 Menschenleben forderten.[3]

Tropisches Tiefdruckgebiet Zwölf

Tropisches Tiefdruckgebiet
Dauer 6. Oktober – 8. Oktober
Intensität 30 kn (55 km/h) (1-minütig), 1007 hPa

Das tropische Tiefdruckgebiet Zwölf entwickelte sich am 6. Oktober zwischen den Kleinen Antillen und den Kapverden aus einer tropischen Welle. Es wanderte herumirrend in westnordwestlicher Richtung, ohne sich weiterzuentwickeln. Dabei befand sich die geringe Zirkulation zumeist auf westliche Seite der Konvektion, was durch eine Rinne in Bodennähe im Norden verursacht wurde. Die Konvektion wurde schwächer und löste sich am 8. September auf, als die Zirkulation sich weniger gut entwickelte. Die Überbleibsel des Tiefs zogen noch einige Tage in Richtung West-Nordwest, lösten sich allerdings dann nördlich der Kleinen Antillen völlig auf.

Hurrikan Irene

Kategorie-2-Hurrikan
Dauer 12. Oktober – 19. Oktober
Intensität 95 kn (175 km/h) (1-minütig), 958 hPa

Irene entstand am 12. Oktober aus einer breiten Tiefdruckrinne südlich der Isle of Youth. Das System wanderte am 14. Oktober nach Norden über die Isle of Youth und den Westen Kubas hinweg. Über der Floridastraße erreichte Irene Hurrikanstärke. Am nächsten Tag erreichte Irene bei Key West, Florida das Festland und dann erneut nördlich davon, in der Nähe des Cape Sable. Später gelangte Irene in der Nähe von Jupiter als minimaler Hurrikan wieder über das Wasser. Irene gewann langsam wieder an Stärke, als der Hurrikan entlang der Küste von Florida bis North Carolina zog. Unter Einfluss einer Rinne aus dem Westen intensivierte Irene sich rapide und solange der Hurrikan über dem warmen Wasser des Golfstromes war, erreichte er Windgeschwindigkeiten von 175 km/h. Allerdings nahm die Vorwärtsgeschwindigkeit in Richtung Nordosten zu und brachte den Hurrikan über das kalte Wasser des Nordatlantiks. Am 19. Oktober wurde Irene in der Nähe von Neufundland außertropisch und wurde von einem außertropischen Tief kurz darauf absorbiert, mit dem er ein gigantisches Sturmtief bildete, das abgeschwächt Europa erreichte.[4]

Der Gesamtschaden durch Irene in Florida beträgt etwa 900 Million US-Dollar, aber es gab keine direkten Toten in den Vereinigten Staaten, die Irene zugeschrieben werden (allerdings waren acht indirekte Todesfälle zu verzeichnen). Der Schaden in Kuba ist nicht bekannt. Irene trug auch zu den Flutproblemen in North Carolina als Folge des Hurrikan Floyds bei.

Hurrikan Jose

Kategorie-2-Hurrikan
Dauer 17. Oktober – 25. Oktober
Intensität 85 kn (155 km/h) (1-minütig), 979 hPa

Jose bildete sich am 8. Oktober etwa 640 km östlich der Inseln über dem Winde. Der Sturm verstärkte sich schnell zu einem Hurrikan und mehr als 2000 Bewohner der Inseln in seinem Weg wurden evakuiert. Er zog nach Nordwesten und der Hurrikan zog am 20. und 21. Oktober über die Inseln Antigua, Saint-Barthélemy und Saint Martin hinweg. Mehr als 300 mm Niederschlag fielen auf St. Martin. Jose schwächte sich zu einem tropischen Sturm ab, als er sich den Amerikanischen Jungferninseln näherte. Puerto Rico näherkommend, wendete Jose sich nach Nord-Nordost und blieb auf fast gerader Linie in den Nordatlantik, bis er am 25. Oktober seine tropischen Eigenschaften verlor und sich danach mit einem außertropischen System verband.

Jose verursachte einen Toten in Antigua und einen weiteren in St. Martin. Wesentliche Schäden wurden von St. Martin gemeldet, die durch Fluten und Erdrutsche entstanden, aber die Summe der Schäden ist unbekannt. Der Schaden in den betroffenen Damage US-amerikanischen Gebieten war minimal.

Tropischer Sturm Katrina

Tropischer Sturm
Dauer 27. Oktober – 1. November
Intensität 35 kn (65 km/h) (1-minütig), 999 hPa

Katrina entwickelte sich am 27. Oktober zu einem tropischen Tiefdruckgebiet. Am Tag darauf stellten Beobachtungsflugzeuge in der Nähe von Panama eine gut ausgebildete Zirkulationsbewegung fest. Der Sturm wanderte nach Nordwesten und wurde in den frühen Nachmittagsstunden des 29. Oktobers zum tropischen Sturm Katrina. Diesen Status erreichte Katrina allerdings nur knapp und bereits sechs Stunden später schwächte sich das System wieder zu einem Tiefdruckgebiet ab.

Bei Puerto Cabezas in Nicaragua erreichte das System als tropischer Sturm das Festland. Der Sturm machte das Leben für die Menschen dort etwas schwerer, da diese noch die Auswirkungen des schweren Hurrikan Mitch zu verkraften hatten, der das Land fast genau ein Jahr zuvor getroffen hat. Katrina löste sich am 1. November über der Halbinsel Yucatán auf, wo das System von einer Kaltfront absorbiert wurde.

Nach Angaben des NHC hat Katrina in Nicaragua keine Menschenleben gefordert und die Schäden waren gering.

Hurrikan Lenny

Kategorie-4-Hurrikan
Dauer 13. November – 23. November
Intensität 135 kn (250 km/h) (1-minütig), 933 hPa

Hurrikan Lenny war ein zerstörerischer Hurrikan am Ende der Saison, der seinen Namen am 13. November über dem Westen der Karibik erhielt. Lenny zog stets nach Osten und ist der einzige bekannte Sturm, der dies über einen längeren Zeitraum getan hat. Lenny war ein Kategorie-4-Hurrikan, als er Puerto Rico und die Amerikanischen Jungferninseln am 17. November passierte. Seine Zuggeschwindigkeit nahm ab und der Sturm verlor an Schwäche, als er über die Inseln über dem Winde zog. Am 19. November erreichte der Sturm das Festland bei Antigua, setzte dann aber seinen herumirrenden Kurs auf den offenen Atlantik hinaus fort und löste sich dort schließlich am 23. November auf.

Siebzehn Tote werden dem Hurrikan direkt zugeschrieben, einschließlich zweier in Kolumbien. Auf den Inseln richtet der Sturm beachtliche Schäden an, es gibt jedoch nur für die US-Territorien Schätzungen über Sachschäden, die mit 330 Millionen US-Dollar angegeben werden.

Accumulated Cyclone Energy (ACE)

ACE (104 kt2) – Sturm:
1 42,31 Gert 7 10,42 Irene
2 29,42 Floyd 8 10,15 Jose
3 24,62 Cindy 9 3,42 Arlene
4 20,18 Dennis 10 2,42 Emily
5 19,87 Lenny 11 1,89 Harvey
6 11,60 Bret 12 0,25 Katrina
Gesamt: 177 (176,55)

Accumulated Cyclone Energy (ACE) ist eine Maßeinheit zur Verdeutlichung, wie aktiv eine Hurrikansaison ist. Sie wird festgestellt, indem man alle sechs Stunden die Windgeschwindigkeiten ermittelt, einzeln quadriert und dann addiert, solange diese die Stärke eines tropischen Sturmes erreichen.

Die ACE dieser Hurrikansaison beträgt 177·104 kt2 (da die ACE stets auf drei Stellen angegeben wird, erfolgt eine Rundung von 176,55 auf 177).

Sturmnamen

Die folgenden Namen wurden für benannte Stürme benutzt:

Arlene, Bret, Cindy, Dennis, Emily, Floyd, Gert, Harvey, Irene, Jose, Katrina, Lenny

Nicht mehr zur Anwendung kamen:

Maria, Nate, Ophelia, Philippe, Rita, Stan, Tammy, Vince, Wilma

Streichung von Hurrikannamen

Die World Meteorological Organization hat im Frühjahr 2000 zwei Namen gestrichen, Floyd und Lenny. Diese wurden in der Atlantischen Hurrikansaison 2005 durch Franklin und Lee ersetzt.

Siehe auch

Einzelnachweise

  1. Hydrometeorological Prediction Center. Tropical Depression #2. Abgerufen am 9. Februar 2007.
  2. Tropical Depression #7. Hydrometeorological Prediction Center, abgerufen am 28. November 2008 (englisch).
  3. David M. Roth: Tropical Depression 11A Rainfall Page. Abgerufen am 18. Juni 2007.
  4. Sturmtief aus Ex-Hurrikan »Irene«. seewetter-kiel.de.
Commons: Atlantische Hurrikansaison 1999 – Sammlung von Bildern, Videos und Audiodateien