Basalmembran

Die Basalmembran, schematische Darstellung. lm lichtmikroskopisch, em nur elektronenmikroskopisch erkennbar

Als Basalmembran bezeichnet man eine lichtmikroskopisch erkennbare Schicht retikulärer, argyrophiler Fibrillen und Fasern, die infolge ihres Gehaltes an Glykoproteinen PAS-positiv ist.[1] Epithelien, Endothelien und Gliazellverbände sind mit einer Basalmembran vom bindegewebigen Stroma abgegrenzt und zugleich daran verankert; Fett- und Muskelzellen sind ganz davon umhüllt.[2]

Elektronenmikroskopisch lässt sich die Basalmembran in Schichten gliedern:

  • Die Basallamina liegt der Zelle unmittelbar an und wird nach ihrer Elektronendurchlässigkeit weiter unterteilt in
    • die Lamina rara / lucida[3] und
    • die Lamina densa.
  • Die Lamina fibroreticularis geht ohne klare Grenze ins Bindegewebe über.[3]

Die Lamina densa hat eine Dicke von meist 20 -120 nm,[3] während die gesamte Basalmembran 50 -150 nm dick ist.[4] Die Lamina fibroreticularis besitzt eine Dicke von zirka 0,5 -1 μm hat[3]. In verschiedenen Geweben gibt es strukturelle Unterschiede in der Zusammensetzung der Basalmembranen, die an die jeweiligen Anforderungen des Epithels angepasst sind. Vor allem kann hier die Zusammensetzung der Laminine stark variieren.

Die Malignität vieler Karzinome ist unter anderem auch dadurch gekennzeichnet, dass die entarteten Zellen dazu in der Lage sind, Basalmembranen – vornehmlich durch Matrix-Metalloproteasen (MMP) – enzymatisch zu zersetzen. Eine Invasion und Metastasierung der Tumorzellen in benachbarte Gewebe wird dadurch oftmals erst möglich.

Zu den Aufgaben der Basalmembran zählen verschiedene Aktivitäten, wie Proliferation und Differenzierung von Zellen sowie deren Funktionen. Ohne die Verbindung des Epithels zur Basalmembran könnte dieses nicht überleben, da die Basalmembran Einfluss auf Architektur Polarität und Funktion des Epithels hat. Ein Merkmal von Karzinomen ist, dass diese ohne Kontakt zu Basalmembran überleben können.[3]

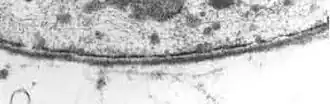
Basallamina

Elektronenmikroskopische Aufnahme der Basallamina

Die Basallamina ist eine homogen erscheinende Proteinschicht unter der Basis der Epithelzellen.[5] Sie stellt die Verbindung der Epithelzellen mit der fibroretikulären, bindegewebigen Basalmembran her. Es handelt sich dabei um eine spezialisierte extrazelluläre Matrix, in welcher das dichte Netzwerk retikulärer Fibrillen (Lamina fibroretikularis) der Basalmembran verankert ist. Sie hat Einfluss auf den Zellstoffwechsel, die Zellpolarität und die Zelldifferenzierung und ist eine Leitschiene für Zellmigrationen. Die Basallamina ist ultrastrukturell nur unter dem Elektronenmikroskop erkennbar, sofern sie nicht, wie im Auge, sehr dick ist. Sie setzt sich aus einer in elektronenmikroskopischen Aufnahmen hell erscheinenden Lamina rara (auch Lamina lucida genannt) und einer sich dunkel darstellenden Lamina densa zusammen.

Die Basallamina wird vor allem aus den von ihr umhüllenden Zellen synthetisiert. Die Lamina densa besteht hauptsächlich aus den Proteinen Kollagen Typ IV, welches die mechanisch stabile Komponente ist, und Laminin, welches mit den extrazellulären Domänen der Integrine der Epithelzellmembranen vernetzt ist und Zelladhäsionen bildet. Beide netze sind durch Entactin (Nidogen) und Proteoglykane wie Perlecan miteinander verbunden[3]. Darüber hinaus können weitere Proteine mit den angesprochenen Matrixkomponenten assoziiert sein. Die Lamina rara besteht aus Proteinen der Zelladhäsion. Lamine sorgen für die Befestigung der Integrine am Kollagen IV Gerüst, während Syndecan die Lamina densa direkt mit den Adapterproteinen verbindet.

Die Verbindung der Zelle mit der Basallamina erfolgt über verschiedene Proteine. Das Aktinfilament der Zelle bindet intrazellulär an ein Adaptorprotein, dass an den EZM-Rezeptor Syndecan verbunden ist, welcher durch die Lamina rara geht und in der Lamina densa verankert ist. Alternativ kann das Adapterprotein über α- und β-Integrine mit Laminin, welches ein in der Lamina densa verankertes Protein ist, verbunden sein. Dabei hilft Perlecan das Laminin- und Kollagen-Netz zu stabilisieren. Weiterhin verbindet Perlecan die Lamina densa mit den Mikrofibrillen, bestehend aus Kollagen VI und Fibrillin, der Lamina fibroreticularis. Weiterhin kann die Zelle über Hemidesmosome an der Basallamina verbunden werden. Bei Epithelien mit starker Zugbeanspruchung können Hemidesmosome weiterhin über Kollagen Typ VII zwischen Zelle und Lamina densa, sowie Ankerfibrillen, aus Kollagen Typ VII, die die Lamina densa mit Kollagenfibrillen, aus Kollagen III, der Lamina fibroreticularis verbinden verfügen, um so die Stabilität zu erhöhen.[3]

Lamina fibroreticularis

Unter der Basallamina folgt das Netzwerk von retikulären Fibrillen, vorwiegend aus Typ III Kollagen, welches die Lamina fibroreticularis bildet. Im Gegensatz zur Basallamina wird sie vornehmlich von den Zellen des Bindegewebes gebildet. Darin enthält sie ein Geflecht aus retikulären Fasern, Fibronektin, Fibulin und Proteoglykane. Auch können Mikrofibrillen aus Fibrillin, Kollagen Typ VI und Typ XVI vorkommen.

In großen Atemwegen, z. B. der Trachea ist die Lamina fibroreticularis sehr stark ausgeprägt und enthält dort zusätzlich elastische Fasern. In Nierengewebe kann sie allerdings auch schwach ausgeprägt sein und kann nur durch Sonderfärbungen, wie PAS-Färbung oder Versilberung, darstellbar sein.[3]

Basalmembranen ohne Lamina fibroreticularis

In manchen Organen kommen sich Epithelien und Endothelien so nahe, dass die Lamina fibroreticularis jeweils wegfällt und die beiden Laminae densae zu einer Schicht verschmelzen. Die dem Epithel zugewandte Lamina rara heißt dann Lamina rara externa, die dem Endothel zugewandte Lamina rara interna.[3] Beispiele sind die Blut-Luft-Schranke der Lunge oder die Blut-Harn-Schranke der Niere.

Wiktionary: Basalmembran – Bedeutungserklärungen, Wortherkunft, Synonyme, Übersetzungen

Einzelnachweise

  1. Basalmembran: Aufbau, Funktion und Erkrankungen. Abgerufen am 29. November 2024.
  2. Renate Lüllmann-Rauch: Taschenlehrbuch Histologie. Thieme, Stuttgart 2012, ISBN 978-3-13-129244-5, S. 132.
  3. a b c d e f g h i Taschenatlas Histologie. In: Taschenatlas Histologie. Georg Thieme Verlag, Stuttgart 2019, ISBN 978-3-13-242529-3, S. 160–167.
  4. U. Welsch: Zytologie und Histologie. In: Springer-Lehrbuch. Springer Berlin Heidelberg, Berlin, Heidelberg 2006, ISBN 978-3-437-43123-4, S. 34–42.
  5. Basalmembran. In: www.spektrum.de. Abgerufen am 29. November 2024.