Braune Waldzirpe
| Braune Waldzirpe | ||||||||||||
|---|---|---|---|---|---|---|---|---|---|---|---|---|
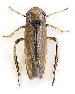
Braune Waldzirpe Ende April auf Birkenblatt | ||||||||||||
| Systematik | ||||||||||||
| ||||||||||||
| Wissenschaftlicher Name | ||||||||||||
| Speudotettix subfusculus | ||||||||||||
| (Fallén, 1806) |
Die Braune Waldzirpe (Speudotettix subfusculus) ist eine Zwergzikade aus der Unterfamilie der Zirpen (Deltocephalinae). Die Art wurde 1806 von dem schwedischen Entomologen Carl Fredrik Fallén als Cicada subfuscula erstmals beschrieben.[1] Das lateinische Art-Epitheton subfusculus bedeutet „dunkelbraun“.
Merkmale
Die Zikaden werden 5–5,7 mm lang.[2] Die Vorderflügel sind gleichmäßig bräunlich gefärbt und weisen blasse Flügeladern auf.[3] Der Vertex (Scheitel) weist an der Vorderkante zwei Streifen auf, die sich in der Mitte treffen können.[3] Dahinter verläuft ein orangebraunes Querband.[3] Am Vorderrand des Pronotums befinden sich unterschiedlich dunkle Flecke.[3]
Vorkommen
Die Art ist in der westlichen Paläarktis verbreitet. Ihr Vorkommen reicht im Norden bis auf die Britischen Inseln und bis zum äußersten Norden Fennoskandinaviens, im Süden bis auf die Iberische Halbinsel sowie nach Südfrankreich und Norditalien.[1] Im Osten reichen die Funde bis in den europäischen Teil Russlands.[1] Auf der Insel Großbritannien und in Fennoskandinavien ist die Art weit verbreitet mit zahlreichen Funden.[1] In Mittel- und Süditalien sowie in Südosteuropa fehlt die Art offenbar.[1]
Lebensweise
Sowohl die Nymphen als auch die Imagines leben auf den Blättern ihrer Wirtspflanzen.[4] Die Larven findet man an den Gräsern Drahtschmiele (Avenella flexuosa) und Seggen (Carex).[4] Die Imagines sind dagegen polyphag und halten sich in Mitteleuropa an verschiedensten Laubgehölzen auf.[2] Als Wirtspflanzen werden genannt: Feldahorn, Erlen, Birken, Gemeine Hasel, Ginster, Fichten, die Pflanzengattung Prunus, Flaumeiche und Heidelbeeren.[4] Die adulten Zikaden beobachtet man in Mitteleuropa von Ende April bis Mitte Juli.[2] Die Art bildet eine Generation im Jahr und ist ein Larvalüberwinterer.[2]
Bilder
-
Seitenansicht -
Dorsalansicht
Einzelnachweise
- ↑ a b c d e Speudotettix subfusculus (Fallén, 1806) bei Global Biodiversity Information Facility (GBIF)
- ↑ a b c d Rolf Niedringhaus, Robert Biedermann, Herbert Nickel: Verbreitung der Zikaden des Großherzogtums Luxemburg - Atlasband. In: Ferrantia. Nr. 61. Musée national d’histoire naturelle, 2010, ISSN 1682-5519, S. 348 (issuu.com).
- ↑ a b c d https://britishbugs.org.uk/homoptera/Cicadellidae/S_subfusculus.html. In: British Bugs – An online identification guide to UK Hemiptera (britishbugs.org.uk). Abgerufen am 23. April 2025 (englisch).
- ↑ a b c W. N. Ellis: Speudotettix subfusculus (Fallén, 1806). In: Plant Parasites of Europa - leafminers, gallers, and fungi (bladmineerders.nl). Abgerufen am 23. April 2025 (englisch).
