Burgus Mösendorf
| Burgus Mösendorf | |
|---|---|
| Alternativname | burchstal, Burcstol, Burgstal, Purgstall |
| Limes | Limes Noricus |
| Abschnitt | Strecke 1 |
| Datierung (Belegung) | valentinianisch ?
vermutlich von Ende 4. bis Anfang 5. Jahrhundert n. Chr |
| Typ | Straßenwachposten |
| Einheit | limitanei/burgari ? |
| Größe | 10 × 10 m (Turm) |
| Bauweise | Steinbauweise |
| Erhaltungszustand | Rechteckiges Kernwerk mit Umfassungsmauer, Fundamente wurden nur geophysikalisch erfasst bzw. nur punktuell ergraben. |
| Ort | Mösendorf |
| Geographische Lage | 47° 59′ 12″ N, 13° 28′ 8″ O |
| Höhe | 40 m ü. A. |
| Vorhergehend | Kastell Eferding (westlich) |
| Anschließend | Kastell Lentia (östlich) |




Der Burgus Mösendorf war Bestandteil der rückwärtigen Sicherungsanlagen des Donaulimes in der römischen Provinz Noricum im heutigen österreichischen Bundesland Oberösterreich, Bezirk Vöcklabruck. Mösendorf ist ein Ortsteil der Marktgemeinde Vöcklamarkt. Der von seiner Größe her als burgus zu bezeichnende spätantike Turmbau wurde vermutlich bis ins späte 4. Jahrhundert n. Chr. von den Römern genutzt. Man nimmt an, dass solche Befestigungen, wie im benachbarten Pannonien, eine Mehrfachfunktion hatten. Sehr wahrscheinlich waren sie als Signal- und Wachtürme konzipiert, während die größeren auch als Magazine/Etappenstationen für in offiziellen Auftrag Reisende und Militärverbände dienten. Sie wurden größtenteils während der Herrschaft von Valentinian I., also wahrscheinlich zwischen 369 und 373 n. Chr., erbaut.
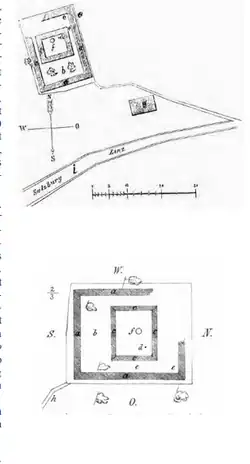
Die schon lange bekannte Fundstelle war gemeinhin als Burgstall bekannt. Der quadratische Steinbau mit Umfassungsmauer, wurde im späten 19. Jahrhundert wiederentdeckt und zunächst als römische Straßenstation, monumentaler Grabbau, Tempelbezirk oder Festungsanlage gedeutet. Messungen mittels Georadar zeigten weiters, dass die Fundamente der vermeintlich vollkommen zerstörten Anlage nach wie vor unter der Erde weitgehend erhalten geblieben sind; der Grundriss stimmt im Wesentlichen mit den ersten, aus den 1860er-Jahren stammenden, Planskizzen überein. Der antike Name sowie die Besatzungseinheiten der Kleinfestung sind unbekannt.[1]
Name
Die Bezeichnung „burchstal“ [Burcstol, Burgstall, Purgstall] für diesen Wehrbau wird erstmals in der Stiftungsurkunde des Klosters Mondsee aus dem Jahr 748 genannt. Seit der Wiederauffindung der Ruine im 19. Jahrhundert wird die Stätte wieder als „Burgstall“ bezeichnet.[2] Dies lässt darauf schließen, dass der burgus in dieser Zeit noch relativ gut erhalten war.
Lage
Mösendorf liegt etwa 3 km östlich von Frankenmarkt. Die Römerstraße (via publica) verband Iuvavum (Salzburg) mit der Provinzmetropole Ovilavis (Wels). In der Tabula Peutingeriana sind zwischen den beiden autonomen Städten die Orte Tarnantone, Laciaco sowie Tergolape genannt. Im Itinerarium Antonini wird nur Laciacis angeführt. Keiner von ihnen konnte bis dato mit letzter Sicherheit heutigen Orten zugeordnet werden.[3] Auf Grund der Nennung von Laciacis bzw. Laciaco sowohl im Itinerarium Antonini und der Tabula Peutingeriana und der Mittellage zwischen Ovilavis (Entfernungsangaben in beiden Werken: mille passum XXXII) und Iuvavum (m.p. XXVIII bzw. m. p. XXVII) nimmt man an, dass es sich hierbei um die bedeutendste Straßenstation zwischen den beiden Städten handelt. Naheliegend wäre das heutige Frankenmarkt, schlüssige Beweise liegen dafür allerdings keine vor.[4]
Entwicklung und Funktion
Als die Einfälle feindlicher Stämme ins Römische Reich nach der Mitte des 4. Jahrhunderts wieder massiv zunahmen, musste Kaiser Valentinian I. (364–375) im Jahr 375 persönlich eingreifen und führte in Pannonien einen Feldzug gegen die Quaden. Der Kaiser ordnete auch die letzten großen Umbau- und Verstärkungsmaßnahmen am norischen Limes an. Die Grenze wurde durch einen dichten Kordon neuer Burgi und Kleinfestungen verstärkt. Wach- und Signaltürme wurde entweder am Rand einer Straße, in erhöhter Lage oder direkt am Donauufer errichtet (Wachturm Hirschleitengraben, Burgus Hollenburg und Burgus Passau-Haibach). Von ihnen aus hatte die Besatzung Sichtverbindung zum benachbarten Turm, Kastell oder Siedlung.
Diese turres oder burgi speculae sollten vor allem die Wege, Straßen oder Flussmündungen zwischen den Kastellen und Legionslagern und im Hinterland sichern. Die meisten der norischen Burgi stammen aus dem 4. Jahrhundert. Sie waren sehr massiv konstruiert, verfügten über drei Geschoße und waren im Schnitt etwa 10 Meter hoch. Die Forschung geht davon aus, dass die rückwärtigen burgi dem Schutz der Verkehrs- und Versorgungswege zur Donaugrenze diente. Weitere Aufgaben der Besatzungen waren wohl die Überwachung des Straßenverkehrs, evtl. die Zwischenlagerung von Nachschubgütern, die Nachrichtenweitergabe sowie die Blockade der Straße bei Barbareneinfällen.[5] Die burgi waren im Wesentlichen eine Weiterentwicklung der Limestürme der mittleren Kaiserzeit und bestanden bei den größeren Exemplaren aus einem turmartigen Kernwerk sowie Außenbefestigungen (Erdwall, Mauer oder Palisade, umgeben von einem oder manchmal mehreren Gräben). Auffällig bei spätantiken Bauten dieser Art ist besonders die beträchtliche Vergrößerung des zentralen Turmes. Die meisten dieser neuen Befestigungen wurden aber schon um die Mitte des fünften Jahrhunderts wieder aufgegeben oder zerstört. In der Forschung werden allerdings vielerlei spätantike Bauwerke wie kleinere Wachtürme, Kleinkastelle, zivile Refugien an villae rusticae (Gutshöfen) und befestigte Hafenanlagen für Flussschiffe, besonders an Oberrhein und Donau, ebenfalls als Burgi bezeichnet.
Durch das heutige Mösendorf verlief die Römerstraße von Ovilava (Wels) nach Iuvavum (Salzburg). Der massive Wehrbau lag exponiert auf einer Anhöhe über der Vöckla und der unmittelbar daran vorbeiführenden via publica, zu deren Überwachung und Sicherung er mit ziemlicher Sicherheit diente. Zusätzlich könnte der burgus auch als eine Art Raststation genutzt worden sein. Vermutlich befand sich seit dem 2. Jahrhundert in unmittelbarer Nähe ein Vicus, da man – sekundär als Baumaterial verwendete – Grabsteine aus dieser Zeit auf dem Areal ausgrub. Die vermutete mittelalterliche Nachnutzung ist ebenso nachvollziehbar und u. a. anhand des ausgedehnten Grabensystems im Magnetogramm erkennbar. Derartige Binnenfestungen an römischen Fernstraßen – weit abseits der Rhein-Donaugrenze – sind auch aus
- Mauer/Amstetten (A)
- Bedaium/Seebruck (D), und
- Irgenhausen (CH)[6]
bekannt.[7]
Forschungsgeschichte
Die bereits in den 1860er Jahren teilweise ausgegrabenen Gebäudestrukturen, die lange als antike Straßenstation (mansio) interpretiert wurde, konnte durch Geomagnetik- und Bodenradar-Untersuchungen zweifelsfrei als spätrömische Kleinfestung identifiziert werden.[8]
19. Jahrhundert
Mösendorf gelangte erstmals 1865 in den Fokus der Wissenschaft. Zusätzlich zu den beiden ersten umfassenderen Berichten von Joseph Gaisberger (1869, 233–258) und Friedrich von Kenner (1869) steht nun eine weitere Quelle zu den frühen Forschungen zur Verfügung: In den im OÖ. Landesarchiv verwahrten Akten des OÖ. Musealarchives konnte das lange verschollene Manuskript „Der Burgstall bei Mösendorf“ des aus Vöcklamarkt stammenden K.u.K. Oberleutnant Hugo Justin aus dem Jahr 1909 eingesehen werden, dadurch war es möglich, die Forschungstätigkeiten der Jahre 1865 bis 1867 rekonstruieren. Demnach stießen Bauern schon 1860, im Zuge der Erschließung eines Gemeindegrundstückes, auf die Überreste der Festungsanlage, die aber dann in den Folgejahren durch Steinraub größtenteils abgetragen wurde.[9] Justin notierte 1909 hierzu: „Unter dem Schutte und Kalkmörtel fanden sich eine Menge an Knochen und Pferdeschädel, im Jahre 1864 auch einige römische Münzen“. Gezielte Forschungen wurden wohl seit 1866 durchgeführt.[10] Hugo Justin verwendete für sein Manuskript u. a. auch die Tagebuchaufzeichnungen des Arztes Josef Burgstaller (oder Purgstaller) aus Vöcklamarkt, die auch Fundskizzen beinhalteten. Dr. Burgstaller hatte diese von dessen Schwester Elisabeth Prinz erhalten[11]. Außerdem war Justin im Besitz der „Planskizze vom ehemaligen ‚Kastell von Mösendorf‘ (am Burgstall)“, die am 10. April 1867 von einem Alois (?) Schropp aus Vöcklamarkt anlässlich des Abschlusses der Untersuchungen gezeichnet worden war. Justin fertigte für sich zumindest zwei Kopien davon an.[12] Auf den Planskizzen von Justin[13] ist das Kernwerk quadratisch dargestellt, bei Kenner und Gaisberger eindeutig rechteckig. Nach dem Fund eines römischen Meilensteines (1866) erfuhr der Fundort eine erhöhte Aufmerksamkeit. Neben dem Meilenstein stieß man auf einem „...mit Mörtel- und Stein-Trümmern verschütteten Brunnen (Cisterne)“ Drei dieser Fragmente entpuppten sich als Grabinschrift des Sumeliu(s?)[14], die heute Teil der Sammlung des OÖ. Landesmuseums ist und aktuell im Museum Vöcklamarkt ausgestellt wird. „Das dritte Stück, das lange Zeit als Schwerstein auf einem Schindelleg-Dache gedient hatte, enthält das Brustbild einer Frau.“ notierte Gaisberger 1869. (S. 254f). Zudem werden noch Ziegelbruchstücke, Tierknochen, Hufeisen und römische Münzen erwähnt, sodass seine Interpretation als „römische Niederlassung“ nachvollziehbar ist. Kenner deutete die römischen Funde als „… einen kleineren römischen Befestigungsbau [der aufgrund der mittelalterlichen Fundobjekte] wohl auch im Mittelalter noch zu irgendeinem Zwecke benützt worden sei.“[15]
21. Jahrhundert
2015 wurden am Areal des mutmaßlichen Burgus umfangreiche Bodenradaruntersuchungen vorgenommen. Im Zentrum der untersuchten Fläche erstreckte sich ein annähernd quadratisches Fundament mit einer leichten Abweichung vom rechten Winkel (am besten war die Nordwestecke der äußeren Mauer zu erkennen). Der Eingang zum Gebäude lag offensichtlich auf der der römischen via publica zugewandten Südseite, da dort im Messbild eine Unterbrechung des Mauerwerks zu erkennen war. Im Inneren des Gebäudes war in weiterer Folge eine weitere Struktur deutlich auszumachen, vermutlich ein Stützpfeiler oder Brunnenschacht, letzterer wird auch in der Dokumentation der Altgrabungen erwähnt. Damit wäre im Zentrum des Gebäudes ein Lichthof anzunehmen, der für die Beleuchtung der Innenräume wie auch für die Wasserversorgung gedient hätte. Dort und auch außerhalb im Norden und auch im Südwesten zeichnen sich größere Schuttkonzentrationen ab, deren Ursprung noch nicht zu deuten ist. Parallel zum massiven, zentralen Bau zeichnete sich im Abstand von 8 m eine lineare Struktur ab, deren Ecken viertelkreisförmig gestaltet waren, auf den ersten Blick (und aufgrund der abgerundeten Ecken) eine Art Wehrgraben. Es könnte sich dabei aber auch um Mauerwerk, oder eine kompakte Grabenverfüllung aus Steinmaterial handeln. Da im halben Abstand zwischen dem Kernwerk und der äußeren Ringstruktur parallel dazu eine Reihe von punktuellen Radarechos (mit gerundeten Eckenverlauf) zu erkennen war, handelt es sich dabei mit ziemlicher Sicherheit um die Reste einer Ringmauer mit pfeilergestütztem Wehrgang, noch dazu liegen diese Strukturen und in derselben Tiefe wie die Fundamente des Zentralbaus. Für einen Wehrgraben wäre ein tiefer liegendes Niveau der Sohle zu erwarten. Ein annähernd orthogonales Grabensystem von 105 m Länge und 65 m Breite, der das zentrale Bauwerk umgab, war im Osten doppelt ausgebildet. Dort knickten beide Gräben nach 35 m in Richtung Süden ab. Dieses Grabensystem ist wohl chronologisch anders einzustufen und vielleicht im Zusammenhang mit der mittelalterlichen Nachnutzung des Platzes zu sehen. Um endgültige Klarheit über den Befund in Mösendorf zu erhalten, müssten in Zukunft umfangreichere Ausgrabungen vorgenommen werden.[16]
Befunde
Laut den Grabungen der letzten 200 Jahre und der Bodenradaruntersuchungen in jüngster Zeit handelt es sich um ein annähernd quadratisches bis leicht querrechteckiges Gebäude, das von einem hochrechteckigen Mauerring (Nordwestecke nicht ausgegraben) umschlossen wird. Die Seitenlängen betragen 17,97 m (N) × 17,52 m (O) × 18,30 m (S) × 18,30 m (W). Der Grundriss passt nicht in ein orthogonales System, sondern bildet übereinstimmende Parallelen im Winkelsystem von 86°/94°, was auf eine gleichzeitige Errichtung von Kernwerk und Mauer hinweist. Die Pfeilerfundamente an der Innenseite der Mauer waren unterschiedlich breit (0,7–1,4 m). Die Struktur weist eine große Ähnlichkeit mit spätantiken Wehrbauten am norischen Limes auf, die sogenannten Rest- oder Reduktionskastelle, die in den Ecken von Kohortenlagern des 2. Jahrhunderts (Wallsee, Zeiselmauer und vermutlich auch Traismauer) im 4. Jahrhundert eingebaut wurden. Die abgerundeten Ecken der Ringmauer und die Stützpfeiler im Innenhof sind Details, die bei anderen burgi oder quadriburgi meist fehlen. Die Stützpfeiler außerhalb des Turmes, trugen wohl einen Wehrgang. Beim Burgus von Meckatz beobachtete man in diesem Zusammenhang bei den Grabungen einen Sockel, der fast an die Turmmauer anschloss, wegen diesem und einer Eckverstärkung wird deshalb bei diesem burgus ebenfalls auf einen umlaufenden Wehrgang geschlossen. Der Nachweis weiterer dementsprechender Wehrgänge fehlt jedoch und somit stellt der Straßenburgus von Mösendorf in dieser Hinsicht wohl einen Sonderfall dar.[17]
Ringmauern mit abgerundeten Ecken finden sich auch um einige Kleinkastelle an der sogenannten Sachsenküste (lateinisch litus Saxonicum), die Ende des 4. Jahrhunderts die Südostküste Englands (Grafschaft Yorkshire) vor Plünderern und Invasoren sichern sollten und als Schiffsanleger, Versorgungs- und Signalstationen dienten (Goldsborough, Scarborough, Filey, Huntcliff und Ravenscar).[18] Sie wurden in Abständen von circa 15 bis 20 km an der Küste errichtet, vier sind durch Grabungsbefunde gesichert, ein fünftes ist bislang nur aus einer Inschrift bekannt.[19] Einen wesentlichen Unterschied stellen hingegen die Ecktürme an den Ringmauern dar, die bei den meisten britischen Anlagen und dem Burgus von Asperden gefunden wurden und beim Burgus von Mösendorf aber nicht vorhanden waren. Vom pannonischen Limes in Ungarn sind burgi bekannt (Burgus Leányfalu, Burgus Budakalász-Luppa csárda), bei denen im Inneren massive Pfeilersockel mit an der Oberseite eingemeißelten Löchern vorgefunden wurden, in denen wohl die Stützpfosten eingelassen waren. Bei der Frage welche Funktion diese Sockel hatten, muss wohl wiederum differenziert und vor allem die Größen der Türme in diese Überlegungen einbezogen werden. Bei den britischen Turmanlagen wird diesbezüglich auf ein Obergeschoß geschlossen, das durch diese Pfostenschuhe abgestützt wurde. Die etwas größer dimensionierten pannonischen burgi wiesen hingegen je vier Pfeilerfundamente auf, so wie sie vermutlich auch im Burgus von Mösendorf vorhanden waren. Ebenso fanden sich in Rumänien an den Wachtürmen bei Rtkovo-Giamija, Donje Butorke und Mora Vagei (Eisernes Tor an der Donau) vier zentrale, L-förmig gestaltete Pfeilerfundamente, die u. a. aus Spolien errichtet wurden. Sie wiesen ähnliche Dimensionen von etwa 18,5 m im Quadrat auf.[20] Auf Grund der Weite, die mit einem Gebälk überspannt werden musste, ist bei diesen burgi von einem Lichthof auszugehen, der wiederum für die britischen Wachtürme ziemlich sicher nicht in Frage kommt, weil zumindest in Scarborough alleine schon durch den zentral platzierten Pfeiler ein solcher nicht möglich gewesen wäre.[21]
Burgus
Laut den Befunden der geophysikalischen Prospektion und Vergleichen mit anderen Wehrbauten dieser Zeitstellung ergibt sich folgender Rekonstruktionsvorschlag:
Als Maßeinheit diente den römischen Ingenieuren vermutlich der römische Fuß (pedes = 0,296 m), im 4. Jahrhundert konnte hierfür aber auch das 11 digiti messende Orthodoron beim Bau als Grundmaß verwendet worden sein.[22] Jedoch ergaben die Dimensionen der aus den Prospektionen erschlossenen Abmessungen durchwegs ganzzahlige und vorwiegend runde Zahlenwerte. So ist aus dem rekonstruierten Grundriss eine Breite des Zentralbaus von 19 m und eine Gesamtbreite der Anlage von 39 m ablesbar. Der spätantike Hufeisenturm von Mautern war ursprünglich wohl um die 13 m hoch. Die Mindestdimension des Burgus von Mösendorf ergeben sich aus den bislang vorliegenden Daten der geophysikalischen Prospektionen und den Ergebnissen der Forschungen von 1865 bis 1867 dar. Eine etwas größere Höhe des Kernwerks ist daher möglich, da man dadurch auch eine weitreichendere Wirkung von aus dem Obergeschoß abgefeuerter Schleuderwaffen noch über die Umfassungsmauer hinaus erreichen kann.
Der Kernbau war vermutlich dem Restkastell von Zeiselmauer[23] sehr ähnlich, das (wegen der dort aus den Balkenlöchern noch ersichtlichen Geschoßhöhen) als Burgus mit überdachten Lichthof, inklusive Zisterne für die Wasserversorgung, rekonstruiert werden konnte. Die Fensteröffnungen und Schießscharten könnten denen des Burgus in Bacharnsdorf[24] ähnlich gewesen sein, wie auch die analoge Ausbildung der Bogenfenster mit links eingreifender Zugangsnische, zu sehen beim westlichen Hufeisenturm des Kastell Favianis (Mautern/Donau)[25]. Alle diese Wehrbauten verfügten zudem über drei Geschoße, obwohl sie unterschiedlich hoch waren. Das Kernwerk in Mösendorf wurde weiters von einem umlaufenden Satteldach gedeckt, das die oberste Plattform vor Witterungseinflüssen schützte und dessen Regenablauf eine Zisterne im Innenhof befüllte. Die äußere Ringmauer verfügte über einen umlaufenden Wehrgang und war mit Zinnen als Brustwehr bekrönt. Dem Wehrgang schloss sich mutmaßlich ein Pultdach an, das von Stützen getragen wurde. Der dadurch überdachte Raum von ca. 450 m² kann sowohl als zum Kernwerk hin offener Porticus als auch durch Abschluss einzelner Sektionen unter dem Wehrgang für Unterkünfte, Lagerräume oder Ställe genutzt worden sein. Wie die Räume in Kernbau aufgeteilt und erreicht werden konnten ist (über Treppen oder Leitern) muss mangels diesbezüglicher Befunde hypothetisch bleiben, dasselbe gilt auch für den Wehrgang.[26]
Meilenstein
Der im Jahr 1865 gefundene, aus der Regierungszeit des Kaisers Septimius Severus (193–211) und seiner Söhne stammende Meilenstein[27] machte den Fundort auch überregional bekannt.[28] Er steht heute nahe der Marienkirche in Vöcklamarkt. Die letzte Zeile der Inschrift nennt die Entfernung des einstigen Aufstellungsortes von Iuvavum: AB IVVAO M XXXI, ab Iuva(v)o m(ilia passuum) XXXI, diese 31 römische Meilen (etwa 46 km), entsprechen der Entfernung von der Altstadt von Salzburg nach Mösendorf, wenn man auch den Verlauf der Bundesstraße B1 miteinbezieht, die über große Strecken noch heute der römerzeitlichen Trassenführung entspricht bzw. nur wenig davon abweicht. Der Fundplatz des Meilensteines dürfte sich also in der Nähe seines ursprünglichen Standortes befunden haben.[29]
Denkmalschutz
Die Anlagen sind Bodendenkmäler im Sinne des Denkmalschutzgesetzes.[30] Nachforschungen und gezieltes Sammeln von Funden ohne Genehmigung des Bundesdenkmalamtes stellen eine strafbare Handlung dar. Zufällige Funde archäologischer Objekte (Keramik, Metall, Knochen etc.) sowie alle in den Boden eingreifenden Maßnahmen sind dem Bundesdenkmalamt (Abteilung für Bodendenkmale) zu melden.
Siehe auch
Literatur
- Raimund Kastler, Felix Lang, Holger Wendling (Hrsg.): Faber Salisburgi, Festschrift für Wilfried K. Kovacsovics zum 65. Geburtstag. Gerald Grabherr, Barbara Kainrath, Stefan Traxler: Der „Burgstall“ von Mösendorf. ArchaeoPlus. Schriften zur Archäologie und Archäometrie der Paris Lodron-Universität Salzburg 10, Salzburg Studien. Forschungen zu Geschichte, Kunst und Kultur 18, Salzburg 2018, ISBN 978-3-9504667-0-6. PDF
- Otto Schulthess: Das römische Kastell Irgenhausen (Kanton Zürich). In: Mitteilungen der Antiquarischen Gesellschaft in Zürich 27, 1911.
- Josef Gaisberger: Archäologische Nachlese. 3. Bericht über Museum Francisco-Carolinum 28, 1869.
- Hugo Justin: Der Burgstall bei Mösendorf (Gemeinde Vöcklamarkt). Unpubliziertes Manuskript, 1909, OÖ. Landesarchiv, Musealarchiv, Sch. 18, Fasz. 6.
- Friedrich von Kenner: Der Purgstall von Mösendorf. Mitt. K. K. Central – Comm. Hist. Denkmale 14, 1869.
- Felix Lang, Raimund Kastler, Wilfried Kovacsovics, Stefan Traxler (Hrsg.) Colloquium Iuvavum 2012 – Das municipium Claudium Iuvavum und sein Umland. Bestandsaufnahme und Forschungsstrategien. Tagung im Salzburg Museum, 15.–17. März 2012. Arch. Salzburg 8. Jahresschr. Salzburg Museum. Salzburg, darin Bernd Steidl: Bedaium – Seebruck. Heiligtum und Straßenvicus auf dem Territorium des municipium Claudium Iuvavum, 2014.
- Karl Ammerer-Willibald: Vöcklamarkt in alten Tagen: Bildchronik der Jahre 1859 bis 1959. Vöcklamarkt. Verlag Thomas Fischer 2002: Noricum. Orbis Provinciarum. Mainz 1999.
- P. R. Wilson: Aspects of the Yorkshire signal stations. In: Maxfeld/Dobson (Hrsg.): Roman Frontier Studies 1989. Proceedings of the XVth International Congress of Roman Frontier Studies. Exeter 1989.
- Gordana Jeremić: Watchtowers and Signal Towers on the Middle Danube. In: Vagalinski L. (Hrsg.): The Lower Danube in Antiquity (VI C BC–VI C AD): International archaeological conference Bulgaria-Tutrakan, 6.–7.10.2005. Sofia 2007. PDF
- Mihali Nagy: A pannoniai IV. századi burgus-típusok méretei. In: Gaál A. (Hrsg.): Pannoniai kutatások. A Soproni Sándor emlékkonferencia előadásai (Bölcske, 7. Október 1998). Szekszárd 1999.
- Hans-Jörg Ubl: Der spätrömische Burgus von Zeiselmauer. Grabung und Restaurierung. In: D. Haupt, H. G. Horn (Hrsg.): Studien zu den Militärgrenzen Roms. Vorträge des 10. Internationalen Limeskongresses in der Germania Inferior. Köln 1977.
- Hans-Jörg Ubl: Bacharnsdorf. In: : Friesinger/Krinzinger (Hrsg.): Der römische Limes in Österreich. Führer zu den archäologischen Denkmälern. Wien 1997.
- K. Schröder: Cannabiaca – Das römische Zeiselmauer. Wien 2006.
- Verena Gassner, Andreas Pülz (Hrsg.): Der römische Limes in Österreich. Führer zu den archäologischen Denkmälern. Wien 2015, darin: Rene Ployer: Bacharnsdorf – Burgus.
- Verena Gassner, Sonja Jilek: Fundstellen. In: Gassner/Groh/Jilek/Kaltenberger/Pietsch/Sauer/Stiglitz/Zabhelicky: Das Kastell Mautern – Favianis. RLÖ 39, 2000.
- Kurt Genser: Der österreichische Donaulimes in der Römerzeit. Ein Forschungsbericht. RLÖ 33, 1986.
- Thomas Fischer: Noricum. Orbis Provinciarum. Mainz 2002.
- Rene Ployer: Der norische Limes in Österreich. Fundber. Österreich, Materialh. B, 3. Wien 2013.
Weblinks
Einzelnachweise
- ↑ FÖ Fundberichte aus Österreich. Band 54, 2015, Verlag Ferdinand Berger & Söhne Ges.m.b.H, Wien 2017, S. 19. ISBN 978-3-85028-811-8
- ↑ Urkundenbuch 1852, 94; vgl. Gaisberger 1869, 256f. mit Anm. 3
- ↑ Kastler/Traxler 2014, 129–137; Lang et al. 2016, 17f.
- ↑ Kastler/Traxler 2014, S. 134–136; Lang et al. 2016, S. 18.
- ↑ Otto Schultheiss 1911, S. 105
- ↑ Steidl 2014, S. 285f.
- ↑ Gerald Grabherr, Barbara Kainrath, Stefan Traxler: Ab Iuvavo M XXXI. Der „Burgstall“ von Mösendorf. In: Raimund Kastler, Felix Lang, Holger Wendling (Hrsg.): Faber Salisburgi. Festschrift für Wilfried K. Kovacsovics zum 65. Geburtstag. Universität Salzburg, Fachbereich Altertumswissenschaften, Salzburg 2018, ISBN 978-3-9504667-0-6, S. 67.
- ↑ Gerald Grabherr, Barbara Kainrath, Stefan Traxler: Ab Iuvavo M XXXI. Der „Burgstall“ von Mösendorf. In: Raimund Kastler, Felix Lang, Holger Wendling (Hrsg.): Faber Salisburgi. Festschrift für Wilfried K. Kovacsovics zum 65. Geburtstag. Universität Salzburg, Fachbereich Altertumswissenschaften, Salzburg 2018, ISBN 978-3-9504667-0-6, S. 57–70.
- ↑ Gaisberger 1869, S. 233; Kenner 1869, S. 23f.; Justin 1909
- ↑ Gaisberger 1869, S. 253f; Justin 1909
- ↑ Ammerer-Willibald 1999, S. 16
- ↑ Abb. 1; Ammerer-Willibald 1999, S. 15
- ↑ Abb. 1; Ammerer-Willibald 1999, S. 15
- ↑ CIL 3, 5604 = 11783 – ILLPRON 990 – Lupa 4968
- ↑ F. v. Kenner: 1869, S. 25
- ↑ Gerald Grabherr, Barbara Kainrath, Stefan Traxler: Der Burgstall von Mösendorf. Faber Salisburgi. Herausgegeben von: Raimund Kastler, Felix Lang, Holger Wendling, Festschrift für Wilfried K. Kovacsovics zum 65. Geburtstag, Salzburg 2018, S. 57–71.
- ↑ Gerald Grabherr, Barbara Kainrath, Stefan Traxler: Ab Iuvavo M XXXI. Der „Burgstall“ von Mösendorf. In: Raimund Kastler, Felix Lang, Holger Wendling (Hrsg.): Faber Salisburgi. Festschrift für Wilfried K. Kovacsovics zum 65. Geburtstag. Universität Salzburg, Fachbereich Altertumswissenschaften, Salzburg 2018, ISBN 978-3-9504667-0-6, S. 65.
- ↑ Wilson 1989, S. 142f.
- ↑ Ravenscar: Wilson 1989, S. 142.
- ↑ Jeremić 2007
- ↑ Gerald Grabherr, Barbara Kainrath, Stefan Traxler: Ab Iuvavo M XXXI. Der „Burgstall“ von Mösendorf. In: Raimund Kastler, Felix Lang, Holger Wendling (Hrsg.): Faber Salisburgi. Festschrift für Wilfried K. Kovacsovics zum 65. Geburtstag. Universität Salzburg, Fachbereich Altertumswissenschaften, Salzburg 2018, ISBN 978-3-9504667-0-6, S. 65.
- ↑ Nagy 1999.
- ↑ Ubl 1977; Schröder 2006; Ployer 2015b.
- ↑ Ubl 1997, 203–207; Genser 1986, 264–266; Fischer 2002, 136; Ployer 2013, 234–237; Ployer 2015a.
- ↑ Wandabrollung in Gassner/Jilek 2000, Abb. 39
- ↑ Gerald Grabherr, Barbara Kainrath, Stefan Traxler: Ab Iuvavo M XXXI. Der „Burgstall“ von Mösendorf. In: Raimund Kastler, Felix Lang, Holger Wendling (Hrsg.): Faber Salisburgi. Festschrift für Wilfried K. Kovacsovics zum 65. Geburtstag. Universität Salzburg, Fachbereich Altertumswissenschaften, Salzburg 2018, ISBN 978-3-9504667-0-6, S. 66–67.
- ↑ CIL 17, 4, Fasc. 1, Nr. 89
- ↑ Gaisberger 1869, 233: „5. Dezember 1865“; Kenner 1867, 180 u. Kenner 1869, 23: „September 1865“; Justin 1909: „6. Dezember 1865“; vgl. Abb. 4: „6. Dezember 1865“.
- ↑ vgl. Gaisberger 1869, 246; Kenner 1869, 25; Justin 1909
- ↑ Denkmalschutzgesetz ( des vom 15. November 2010 im Internet Archive) Info: Der Archivlink wurde automatisch eingesetzt und noch nicht geprüft. Bitte prüfe Original- und Archivlink gemäß Anleitung und entferne dann diesen Hinweis. auf der Seite des Bundesdenkmalamtes