C/1974 C1 (Bradfield)
| Komet C/1974 C1 (Bradfield) | |
|---|---|
![]() | |
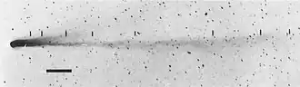
| Negativbild des Kometen vom 23. März 1974 (Balkenlänge entspricht 1 Mio. km) | |
| Eigenschaften des Orbits (Animation) | |
| Orbittyp | langperiodisch (> 200 Jahre) |
| Numerische Exzentrizität | 0,999734 |
| Perihel | 0,503 AE |
| Aphel | 3783 AE |
| Große Halbachse | 1892 AE |
| Siderische Umlaufzeit | ~82.300 a |
| Neigung der Bahnebene | 61,3° |
| Periheldurchgang | 18. März 1974 |
| Bahngeschwindigkeit im Perihel | 59,4 km/s |
| Geschichte | |
| Entdecker | W. A. Bradfield |
| Datum der Entdeckung | 12. Februar 1974 |
| Ältere Bezeichnung | 1974 III, 1974b |
| Quelle: Wenn nicht einzeln anders angegeben, stammen die Daten von JPL Small-Body Database Browser. Bitte auch den Hinweis zu Kometenartikeln beachten. | |
C/1974 C1 (Bradfield) ist ein Komet, der im Jahr 1974 mit dem bloßen Auge gesehen werden konnte. Der Komet erwies sich als ebenso spektakulär und gut beobachtbar wie C/1973 E1 (Kohoutek) im Jahr zuvor, aber da er nur einen Monat vor seiner Annäherung an die Sonne entdeckt wurde, erhielt er sowohl von fachlicher als auch von journalistischer Seite weit weniger Aufmerksamkeit.[1]
Entdeckung und Beobachtung
Der Komet wurde am Abend des 12. Februar 1974 (Ortszeit) von William A. Bradfield in Australien mit einem 150-mm-f/5,5-Refraktor entdeckt. Es war seine zweite Kometenentdeckung, 13 Monate nach seiner ersten. Er hatte in diesem Zeitraum insgesamt 306 Stunden nach Kometen gesucht. Bradfield schätzte die Helligkeit des Kometen zu etwa 9 mag[2] und wiederholte seine Beobachtung erst noch einmal am folgenden Tag, bevor er die Entdeckung öffentlich bekannt machte.
Der Komet konnte bis Ende des Monats dann von vielen Beobachtern in Australien, Neuseeland und Chile ebenfalls beobachtet werden. Im März nahm seine Helligkeit deutlich zu und erreichte etwa 4 mag gegen Ende des Monats mit einer Schweiflänge von über 4° visuell und 11° photographisch. Ab dieser Zeit bewegte er sich am Himmel nordwärts und war dann auch von der Nordhalbkugel aus zu sehen. Im April nahm seine Helligkeit jedoch schnell wieder ab und lag Ende des Monats nur noch bei 8 mag. Am 14. Mai ging er in nur etwa ⅔° Abstand am Himmelsnordpol vorüber. Bis Anfang Juni war die Helligkeit unter 10 mag gesunken. Die letzte Beobachtung erfolgte am 18. November.[3]
Der Komet erreichte eine maximale Helligkeit von 3,9 mag.[4]
Wissenschaftliche Auswertung
Spektroskopische Untersuchungen des Staubschweifs des Kometen im infraroten Wellenlängenbereich zeigten die Emissionslinien von Silicaten, die das Vorhandensein von Körnern mit einer Größe von <5 µm in Koma und Schweif des Kometen anzeigten. Die Silikatlinien waren bei einem Abstand des Kometen zur Sonne von 0,5 AE feststellbar, verschwanden jedoch als der Komet sich mehr als 0,6 AE von der Sonne entfernte, verbunden mit einer gleichzeitigen abrupten Abnahme der Helligkeit, was auf ein plötzliches Ende der Staubproduktion hindeutet.[5]
Nach dem Kometen Kohoutek im Vorjahr war der Komet Bradfield erst der zweite Komet, bei dem spektroskopisch neben den kometentypischen Emissionslinien von C2, NH2 und CN auch das Vorhandensein von ionisiertem Wasser (H2O+) im Plasmaschweif nachgewiesen werden konnte.[6] Erstmals konnte mit einem Radioteleskop auch das Vorhandensein der 1,35-cm-Linie des Wassermoleküls nachgewiesen werden.[7] Verursacht wird diese Mikrowellenstrahlung möglicherweise durch einen Maser-Effekt um den Kern des Kometen.[8]
Umlaufbahn
Für den Kometen konnte aus 173 Beobachtungsdaten über einen Zeitraum von 277 Tagen eine elliptische Umlaufbahn bestimmt werden, die um rund 61° gegen die Ekliptik geneigt ist.[9] Die Bahn des Kometen verläuft damit steil angestellt zu den Bahnebenen der Planeten. Im sonnennächsten Punkt der Bahn (Perihel), den der Komet zuletzt am 18. März 1974 durchlaufen hat, befand er sich mit etwa 75,3 Mio. Kilometer Sonnenabstand im Bereich knapp außerhalb der Umlaufbahn des sonnennächsten Planeten Merkur. Am 23. März erfolgte die größte Annäherung sowohl an die Venus mit etwa 120,2 Mio. km als auch an den Mars mit etwa 180,0 Mio. km. Am 30. März kam er der Erde bis auf 100,3 Mio. km (0,67 AE) nahe.[10]
Bereits 1975 konnten durch B. Marsden aus 159 Beobachtungsdaten über einen Zeitraum von 277 Tagen Bahnelemente von zwei leicht unterschiedlichen elliptischen Umlaufbahnen bestimmt werden. In einer ersten Berechnung berücksichtigte er nur die gravitativen Einflüsse durch alle Planeten. In der zweiten Berechnung berücksichtigte er zusätzlich auch nicht-gravitative Effekte. Die zweite Berechnung zeigte eine etwas bessere Übereinstimmung der berechneten mit den beobachteten Positionsdaten.[11] Aus den (gravitativen) Datensätzen leitete Marsden auch Werte für die ursprüngliche Bahn des Kometen vor der Passage des inneren Sonnensystems und für dessen zukünftige Bahn ab.[12] Er bestimmte eine frühere Große Halbachse von etwa 1450 AE mit einer Umlaufzeit von etwa 55.000 Jahren und eine zukünftige Große Halbachse von etwa 1420 AE mit einer Umlaufzeit von etwa 53.500 Jahren. Nahezu gleiche Ergebnisse liefert auch die Auswertung der (mit relativ großen Ungenauigkeiten behafteten) Bahnelemente der JPL Small-Body Database, die ebenfalls ohne Berücksichtigung nicht-gravitativer Kräfte vorliegen.
In einer neueren Untersuchung wurden 2006 aus 198 Beobachtungsdaten über einen Zeitraum von 277 Tagen durch M. Królikowska neue Werte für die ursprüngliche Bahn des Kometen vor der Passage des inneren Sonnensystems und für dessen zukünftige Bahn ermittelt, und zwar ebenfalls einmal nur unter alleiniger Berücksichtigung von gravitativen Effekten und dann auch unter Berücksichtigung nicht-gravitativer Effekte.[13] Diese Untersuchung zeigte für die rein gravitative Berechnung sehr ähnliche Ergebnisse wie die von Marsden. Bei Berücksichtigung nicht-gravitativer Effekte ergaben sich jedoch im Gegensatz zu Marsdens Ergebnissen für die ursprüngliche Bahn des Kometen deutlich größere Werte für die Große Halbachse bzw. Umlaufzeit. Królikowska beurteilte den Kometen in dieser Untersuchung als „dynamisch alten“ Kometen.
Die folgenden Angaben beruhen auf der Untersuchung von Królikowska unter Berücksichtigung nicht-gravitativer Effekte. Danach hatte die Bahn des Kometen einige Zeit vor der Passage des inneren Sonnensystems eine Exzentrizität von etwa 0,99972 und eine Große Halbachse von etwa 1775 AE (Unsicherheit ±220 AE), so dass seine Umlaufzeit bei etwa 74.700 Jahren lag. Durch die Anziehungskraft der Planeten, insbesondere durch relativ nahe Vorbeigänge am Jupiter am 2. Juli 1973 in nur etwa 2 ½ AE und am 28. Juni 1974 in etwa 5 ½ AE Distanz, sowie am 17. März 1974 am Saturn in etwa 8 ⅔ AE Abstand, wurde seine Bahnexzentrizität auf etwa 0,99960 und seine Große Halbachse auf etwa 1275 AE (Unsicherheit ±25 AE) verringert, so dass sich seine Umlaufzeit auf nunmehr etwa 45.400 Jahre verkürzt.[13]
Siehe auch
Weblinks
- C/1974 C1 (Bradfield) beim IAU Minor Planet Center (englisch)
- Link zu Bildern des Kometen
Einzelnachweise
- ↑ B. G. Marsden, E. Roemer: Comets in 1974. In: Quarterly Journal of the Royal Astronomical Society. Bd. 19, 1978, S. 38–58, bibcode:1978QJRAS..19...38M (PDF; 2,2 MB).
- ↑ Astronomical Society of South Australia: Comets Discovered from South Australia. Abgerufen am 12. Dezember 2015 (englisch).
- ↑ G. W. Kronk, M. Meyer: Cometography – A Catalog of Comets. Volume 5: 1960–1982. Cambridge University Press, Cambridge 2010, ISBN 978-0-521-87226-3, S. 416–421.
- ↑ International Comet Quarterly – Brightest comets seen since 1935. Abgerufen am 14. Dezember 2015 (englisch).
- ↑ E. P. Ney: Optical and infrared observations of bright comets in the range 0.5 µm to 20 µm. In: L. L. Wilkening, M. S. Matthews (Ed.): Comets. University of Arizona Press, Tucson 1982, ISBN 0-8165-0769-4, S. 323–340.
- ↑ P. Wehinger, S. Wyckoff: H2O+ in Spectra of Comet Bradfield (1974b). In: The Astrophysical Journal. Bd. 192, 1974, S. L41–L42, doi:10.1086/181585 (PDF; 1,14 MB).
- ↑ W. M. Jackson, T. Clark, B. Donn: Radio Detection of H2O in Comet Bradfield (1974b). In: The Study of Comets. Part 1. The Proceedings of IAU Colloquium No. 25, 1974. NASA Scientific and Technical Information Office, Washington D.C. 1976, S. 272–280 (PDF; 29,9 MB).
- ↑ V. S. Strel’nitskii: The water maser emission from Comet Bradfield 1974 III. In: Soviet Astronomy Letters. Bd. 9, 1983, S. 99–101, bibcode:1983SvAL....9...99S (PDF; 543 KB).
- ↑ C/1974 C1 (Bradfield) in der Small-Body Database des Jet Propulsion Laboratory (englisch).
- ↑ A. Vitagliano: SOLEX 12.1. Abgerufen am 9. Juli 2020 (englisch).
- ↑ IAU Central Bureau for Astronomical Telegrams – IAUC 2762: 1973 IX; 1974b. Abgerufen am 16. Dezember 2015 (englisch).
- ↑ B. G. Marsden, Z. Sekanina, E. Everhart: New Osculating Orbits for 110 Comets and Analysis of Original Orbits for 200 Comets. In: The Astronomical Journal. Bd. 83, Nr. 1, 1978, S. 64–71, doi:10.1086/112177 (PDF; 339 KB).
- ↑ a b M. Królikowska: Non-Gravitational Effects in Long-Period Comets and the Size of the Oort Cloud. In: Acta Astronomica. Bd. 56, Nr. 4, 2006, S. 385–412, bibcode:2006AcA....56..385K (PDF; 366 kB).
