Endornaviridae
| Endornaviridae | ||||||||||||||
|---|---|---|---|---|---|---|---|---|---|---|---|---|---|---|
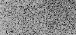
Endornaviridae-Partikel. Dargestellt ist die replikative Form (dsRNA) des (+)ssRNA-Virus. | ||||||||||||||
| Systematik | ||||||||||||||
| ||||||||||||||
| Taxonomische Merkmale | ||||||||||||||
| ||||||||||||||
| Wissenschaftlicher Name | ||||||||||||||
| Endornaviridae | ||||||||||||||
| Links | ||||||||||||||
|
Endornaviridae ist die Bezeichnung für eine Familie von Viren. Als natürliche Wirte dienen Pflanzen, Pilze und Eipilze (Oomyceten: Verwandte der Braun- und Goldalgen, nicht der Pilze). Derzeit (Stand Anfang April 2021) gibt es vom International Committee on Taxonomy of Viruses (ICTV) anerkannt 31 Arten (Spezies) in dieser Familie, die sich auf 2 Gattungen (Alphaendornavirus und Betaendornavirus) verteilen. Mitglieder von Alphaendornavirus infizieren Pflanzen, Pilze und den Eipilz Phytophthora sp., Mitglieder von Betaendornavirus infizieren Schlauchpilze (Phylum/Abteilung Ascomycota).[3][4][5][6]
Beschreibung


Das Genom der Endornaviridae ist ein lineares Einzelstrang-RNA-Molekül positiver Polarität mit einer Länge von etwa 14 kb (Kilobasen) bis 17,6 kb.
Da das Genom der Endornaviridae über kein Gen für ein Kapsidprotein (CP) verfügt, bilden die Mitglieder dieser Familie keine echten Virionen aus. Bei Vicia faba Endornavirus wurde aber das RNA-Genom mit einigen pleomorphen zytoplasmatischen Membranvesikeln in Verbindung gebracht.[3]
Reproduktionszyklus
Die Virus-Replikation erfolgt im Zytoplasma. Die virale Replikationsform der Endornaviridae ist eine Doppelstrang-RNA (dsRNA). Die Replikation folgt dann dem Modell der Replikation doppelsträngiger RNA (en. double-stranded RNA virus replication model). Auch die Transkription folgt dem Modell der Transkription von dsRNA-Viren (en. Double-stranded RNA virus transcription).[4][3]
Da die replikative dsRNA-Form relativ stabil ist, kann sie in vergleichsweise hohen Mengen in Wirtsgeweben gefunden werden und ist daher gewöhnlich das Resultat von Virus-Isolationen.[3] Aus diesem Grund werden dii Endornaviridae oft auch als dsRNA-Viren klassifiziert,[4] obwohl dies nicht die offizielle ICTV-Klassifizierung – (+)ssRNA – ist.[3]
In der dsRNA-Form findet sich an einer spezifischen Stelle im kodierenden Strang ein Bruch (en. nick), etwa 1 bis 2 kbp (Kilobasenpaare) vom 5'-Terminus entfernt.[3][4]
Das Virus verlässt die Wirtszelle durch Bewegung von Zelle zu Zelle.[3][4]
Als natürliche Wirte dienen Pflanzen, Pilze und Eipilze. Die Übertragung geschieht bei Pflanzen via Pollen, bei Pilzen via Sporen und Anastomose der Hyphen.[3][4]
Systematik
Die von der ICTV anerkannten Gattungen (nebst einigen Spezies) sind mit Stand Mai/Juni 2024 wie folgt:[7][8]
- Gattung Alphaendornavirus mit 24 Spezies
- Spezies Alphaendornavirus agarici mit Agaricus bisporus endornavirus 1 (AbEV1)
- Spezies Alphaendornavirus basellae mit Basella alba endornavirus 1 (BaEV1)
- Spezies Alphaendornavirus capsici mit Bell pepper endornavirus (BPEV)
- Spezies Alphaendornavirus cucumis mit Cucumis melo endornavirus (CmEV)
- Spezies Alphaendornavirus cyamopsis mit Cluster bean endornavirus (CBEV1)
- Spezies Alphaendornavirus erysiphes mit Erysiphe cichoracearum endornavirus (EcEV)
- Spezies Alphaendornavirus fucapsici mit Hot pepper endornavirus (HPEV)
- Spezies Alphaendornavirus fuphaseoli mit Phaseolus vulgaris endornavirus 2 (PvEV2)
- Spezies Alphaendornavirus helianthi mit Helianthus annuus endornaviru (HaEV)
- Spezies Alphaendornavirus helicobasidii mit Helicobasidium mompa endornavirus 1 (HmEV1)
- Spezies Alphaendornavirus hordei mit Hordeum vulgare endornavirus (HvEV)
- Spezies Alphaendornavirus lagenariae mit Lagenaria siceraria endornavirus (LsEV)
- Spezies Alphaendornavirus miphaseoli mit Phaseolus vulgaris endornavirus 3 (PvEV3)
- Spezies Alphaendornavirus oryzae (ehem. Typus) mit Oryza sativa endornavirus (OsEV), Isolat Nipponbare[3] alias Japan[9]
- Spezies Alphaendornavirus perseae mit Persea americana endornavirus 1 (PaEV1)
- Spezies Alphaendornavirus phaseoli mit Phaseolus vulgaris endornavirus 1 (PvEV1)
- Spezies Alphaendornavirus phytophthorae mit Phytophthora endornavirus 1 (PEV1)
- Spezies Alphaendornavirus psophocarpi mit Winged bean endornavirus 1 (WBEV1)
- Spezies Alphaendornavirus rhizocerealis mit Rhizoctonia cerealis endornavirus 1 (RcEV1)
- Spezies Alphaendornavirus rhizosolani mit Rhizoctonia solani endornavirus 2 (RsEV2)
- Spezies Alphaendornavirus rupifigonis mit Oryza rufipogon endornavirus (OrEV), Isolat W-1714
- Spezies Alphaendornavirus viciae mit Vicia faba endornavirus (VfEV, Ackerbohnen-Endornavirus)
- Spezies Alphaendornavirus vitis mit Grapevine endophyte endornavirus (GEEV)
- Spezies Alphaendornavirus yerbae mit Yerba mate endornavirus (YmEV)
- Gattung Betaendornavirus mit 7 Spezies<
- Spezies Betaendornavirus alternariae mit Alternaria brassicicola endornavirus 1 (AbEV1)
- Spezies Betaendornavirus botrytidis mit Botrytis cinerea endornavirus 1 (BcEV1)
- Spezies Betaendornavirus fusclerotiniae mit Sclerotinia minor endornavirus 1 (SmEV1)
- Spezies Betaendornavirus gremmeniellae mit Gremmeniella abietina endornavirus 1 (GaEV1)
- Spezies Betaendornavirus roselliniae mit Rosellinia necatrix endornavirus 1 (RnEV1)
- Spezies Betaendornavirus sclerotiniae (ehem. Typus) mit Sclerotina sclerotiorum endornavirus 1 (SsEV1), Isolat 11691
- Spezies Betaendornavirus tuberis mit Tuber aestivum endornavirus (TaEV)
Einzelnachweise
- ↑ a b c d ICTV: ICTV Master Species List 2019.v1 ( des vom 2. August 2022 im Internet Archive) Info: Der Archivlink wurde automatisch eingesetzt und noch nicht geprüft. Bitte prüfe Original- und Archivlink gemäß Anleitung und entferne dann diesen Hinweis., New MSL including all taxa updates since the 2018b release, March 2020 (MSL #35)
- ↑ ICTV Master Species List 2018b.v2. ( des vom 30. März 2019 im Internet Archive) Info: Der Archivlink wurde automatisch eingesetzt und noch nicht geprüft. Bitte prüfe Original- und Archivlink gemäß Anleitung und entferne dann diesen Hinweis. MSL #34, März 2019
- ↑ a b c d e f g h i R. A. Valverde, M. E- Khalifa, R. Okada, T. Fukuhara, S. Sabanadzovic, Consortium ICTV Report: ICTV Virus Taxonomy Profile: Endornaviridae. In: The Journal of General Virology. 100. Jahrgang, Nr. 8, August 2019, S. 1204–1205, doi:10.1099/jgv.0.001277, PMID 31184570.
- ↑ a b c d e f Viral Zone. ExPASy
- ↑ Valerian V. Dolja: Capsid-Less RNA Viruses. In: eLS. 2001, doi:10.1002/9780470015902.a0023269. ISBN 978-0470016176.
- ↑ ICTVdB Management (2006). 00.108.0.01. Endornavirus. In: ICTVdB—The Universal Virus Database, version 4. Büchen-Osmond, C. (Ed), Columbia University, New York, USA.
- ↑ ICTV: Taxonomy Browser.
- ↑ ICTV: Virus Metadata Resource (VMR).
- ↑ NCBI: Oryza sativa endornavirus (isolate Japan) (no rank)
Weblinks
- ICTV: ICTV Report: Endornaviridae
- SIB: Viralzone: Endornaviridae
- NCBI: Endornaviridae (family)
- Syunichi Urayama, Hiromitsu Moriyama, Nanako Aoki, Yukihiro Nakazawa, Ryo Okada, Eri Kiyota, Daisuke Miki, Ko Shimamoto, Toshiyuki Fukuhara: Knock-down of OsDCL2 in rice negatively affects maintenance of the endogenous dsRNA virus, Oryza sativa endornavirus, in: Plant Cell Physiol. 51(1), Januar 2010, S. 58–67, doi:10.1093/pcp/pcp167, PMID 19933266, Epub 19. November 2009.