Hoplomachus thunbergii
| Hoplomachus thunbergii | ||||||||||||
|---|---|---|---|---|---|---|---|---|---|---|---|---|
Hoplomachus thunbergii | ||||||||||||
| Systematik | ||||||||||||
| ||||||||||||
| Wissenschaftlicher Name | ||||||||||||
| Hoplomachus thunbergii | ||||||||||||
| (Fallén, 1807) |
Hoplomachus thunbergii, auch Habichtskraut-Weichwanze genannt,[1] ist eine Wanzenart aus der Familie der Weichwanzen (Miridae).
Merkmale
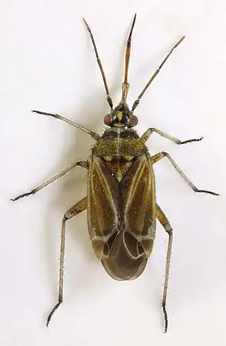
Die Wanzen werden 3,8 bis 4,5 Millimeter lang.[2] Sie haben eine dunkle Zeichnung am Kopf und Pronotum und orange-braune Hemielytren mit blassen Rändern und sind auf der Körperoberseite dunkel behaart. Sie sind damit unverwechselbar.[3]
Vorkommen und Lebensraum
Die Art ist paläarktisch verbreitet und fehlt in Europa nur im hohen Norden und dem südlichen Mittelmeerraum. In Deutschland und Österreich ist sie nicht selten und vermutlich weit verbreitet, es fehlen jedoch noch mancherorts Nachweise. Besiedelt werden sonnige, trockene, sandige und kalkige Lebensräume mit niedriger Vegetation.[2]
Lebensweise
Die Wanzen ernähren sich von Kleinem Habichtskraut (Hieracium pilosella), seltener auch von anderen Korbblütlern wie Raukenblättrigem Greiskraut (Senecio erucifolius), Magerwiesen-Margerite (Chrysanthemum leucanthemum) und Hippocrepis. Die adulten Wanzen saugen bevorzugt an den weiblichen Reproduktionsorganen und den Pollen der Pflanzen, wodurch sie für deren Bestäubung wichtig sind. Die Imagines kann man von Anfang Juni bis Andang August beobachten. Die Weibchen stechen ihre Eier vor allem von Ende Juni bis Juli fast vollständig in den Hohlraum des Blütenstängels der Wirtspflanzen ein.[2]
Belege
Einzelnachweise
- ↑ Rote Liste der Wanzen – (Hemiptera, Heteroptera) Österreichs. (PDF; 6219 kB) In: umweltbundesamt.at. Umweltbundesamt Österreich, S. 20–60, abgerufen am 14. April 2025 (alternativ als Link in der XLSX-Datei „Wanzen (2024)“).
- ↑ a b c Ekkehard Wachmann, Albert Melber, Jürgen Deckert: Wanzen (= Die Tierwelt Deutschlands und der angrenzenden Meeresteile nach ihren Merkmalen und nach ihrer Lebensweise. 75. Teil). Band 2: Cimicomorpha: Microphysidae (Flechtenwanzen), Miridae (Weichwanzen). Goecke & Evers, Keltern 2006, ISBN 3-931374-57-2, S. 232.
- ↑ Hoplomachus thunbergii. British Bugs, abgerufen am 3. Januar 2015.
Literatur
- Ekkehard Wachmann, Albert Melber, Jürgen Deckert: Wanzen (= Die Tierwelt Deutschlands und der angrenzenden Meeresteile nach ihren Merkmalen und nach ihrer Lebensweise. 75. Teil). Band 2: Cimicomorpha: Microphysidae (Flechtenwanzen), Miridae (Weichwanzen). Goecke & Evers, Keltern 2006, ISBN 3-931374-57-2.
Weblinks
- Hoplomachus thunbergii bei Fauna Europaea. Archiviert vom Original im Internet Archive. Abgerufen am 3. Januar 2015
- www.britishbugs.org.uk – Fotos, Beschreibung