Kleinkastell Ockstädter Wald
| Kleinkastell Ockstädter Wald | |
|---|---|
| Limes | ORL Wp 4/11 (RLK) |
| Strecke (RLK) | Obergermanischer Limes Strecke 4 (Westliche Wetteraustrecke) |
| Datierung (Belegung) | domitianisch bis trajanisch |
| Typ | Kleinkastell |
| Größe | 0,2 ha |
| Bauweise | Holz-Erde-Lager |
| Erhaltungszustand | Bodendenkmal mit wahrnehmbaren Bodenspuren |
| Ort | Wehrheim-Pfaffenwiesbach |
| Geographische Lage | 50° 19′ 10,6″ N, 8° 38′ 18″ O |
| Vorhergehend | ORL 12: Kastell Kapersburg (südlich) |
| Anschließend | Kleinkastell Kaisergrube (nördlich) |

Das Kleinkastell Ockstädter Wald ist ein römisches Kastell an der westlichen Wetteraustrecke (Strecke 4) des Obergermanischen Limes, der im Jahre 2005 den Status des UNESCO-Weltkulturerbes erlangte. Das heutige Bodendenkmal, von dem noch Geländeverformungen im Boden zu erkennen sind, befindet sich südöstlich von Pfaffenwiesbach, einem Ortsteil der Gemeinde Wehrheim im hessischen Hochtaunuskreis. Vielleicht war es ein Vorgänger des naheliegenden Kastells Kapersburg.
Lage
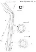
Das Kleinkastell liegt am Westhang des Kuhkopfs im Wald in etwa 60 Meter Distanz zum Pfahlgraben des Limes. Es wies bei annähernd quadratischer Form mit Seitenlängen von etwa 50 m mal 58 m eine Fläche von rund 0,2 Hektar auf. Auf der dem Limes abgewandten Seite im Südosten befand sich mittig das einzige Zugangstor der Anlage. Das Kastell wurde auch als Wp 4/11 gezählt.[1][2]
Baugeschichte
Das Kastell wurde vermutlich während der Zeit der Flavier (69–96) angelegt. Wahrscheinlich erfolgte die Aufgabe des Garnisonsorts bereits während der Regierungszeit des Kaisers Trajan (98–117), als das Kastell Kapersburg entstand. Anschließend entstand nördlich des Kastellplatzes ein hölzerner Wachturm (Wp 4/11),[A 1] der später, vermutlich während der Regierungszeit des Kaisers Hadrian (117–138), durch einen quadratischen Steinturm (Wp 4/11)[A 2] ersetzt wurde. Die Datierung eines sechseckigen Mauerfundaments in der Mitte des Kleinkastells,[A 3] das zu einem der selteneren sechseckigen Wachtürme am Limes gehört haben könnte,[3] ist unklar.[2]
-
Zugang zum Kleinkastell Ockstädter Wald
-
Sichtbare Wallreste des Kleinkastells Ockstädter Wald
Limesverlauf zwischen dem Kleinkastell Ockstädter Wald und dem Kleinkastell Kaisergrube
| ORL[A 4] | Name/Ort | Beschreibung/Zustand | |
|---|---|---|---|
| Wp 4/11[A 5] | Kleinkastell Ockstädter Wald | siehe oben | |
| Wp 4/12 | „Unkenkippel“ | Flacher Steinturmhügel[A 6]. | |
| Wp 4/13 | Aufgrund des Abstandes zwischen WP 4/12 und WP 4/14 vermutete, aber archäologisch nicht nachgewiesene Turmstelle. | ||
| Wp 4/14 | „Friedberger Burgwald Winterstein“ | Die Reste dreier Wachttürme befinden sich an dieser Stelle. Zwei Holztürme[A 7][A 8], jeweils mit einem Ringgraben und ein Steinturmhügel[A 9]. Bei den Ausgrabungen am Steinturm fand sich eine Inschrift des Numerus Nidensium.[4]
| |
| KK[A 10] | Kleinkastell Kaisergrube = Wp 4/15 |
siehe Hauptartikel Kleinkastell Kaisergrube |
Denkmalschutz
Das Kleinkastell Ockstädter Wald und die anschließenden Wachtürme wurden 2005 als Bestandteil des Obergermanisch-Rätischen Limes in die Liste des UNESCO-Welterbes aufgenommen. Sie sind Bodendenkmäler im Sinne des Hessischen Denkmalschutzgesetzes. Nachforschungen und gezieltes Sammeln von Funden sind genehmigungspflichtig, Zufallsfunde an die Denkmalbehörden zu melden.
Siehe auch
Literatur
- Dietwulf Baatz und Fritz-Rudolf Herrmann (Hrsg.): Die Römer in Hessen. 3. Auflage. 1989. Lizenzausgabe Nikol, Hamburg 2002, ISBN 3-933203-58-9, S. 346.
- Dietwulf Baatz: Der Römische Limes. Archäologische Ausflüge zwischen Rhein und Donau. 4. Auflage. Gebr. Mann, Berlin 2000, ISBN 3-7861-2347-0, S. 142–145.
- Ernst Fabricius, Felix Hettner, Oscar von Sarwey (Hrsg.): Der obergermanisch-raetische Limes des Römerreiches/Abt. A, Bd. 2,1. Die Strecken 3 bis 5, Strecke 3. Petters, Heidelberg/Berlin/Leipzig 1936, S. 151f. und Tafel 11, Abb. 3.
- Ernst Fabricius, Felix Hettner, Oscar von Sarwey (Hrsg.): Der obergermanisch-raetische Limes des Römerreiches/Abt. A, Bd. 2,1. Die Strecken 3 bis 5, Strecke 4. Petters, Heidelberg/Berlin/Leipzig 1936, S. 51–59 sowie Tafel 3, Abb. 1–4.
- Christian Fleer: Typisierung und Funktion der Kleinbauten am Limes. In: Egon Schallmayer (Hrsg.): Limes Imperii Romani. Beiträge zum Fachkolloquium „Weltkulturerbe Limes“ November 2001 in Lich-Arnsburg. Bad Homburg v. d. H. 2004, ISBN 3-931267-05-9 (Saalburg-Schriften 6), S. 75–92.
- Margot Klee: Der römische Limes in Hessen. Geschichte und Schauplätze des UNESCO-Welterbes. Verlag Friedrich Pustet, Regensburg 2009, ISBN 978-3-7917-2232-0, S. 109–112.
- Margot Klee: Der Limes zwischen Rhein und Main. Vom Beginn des obergermanischen Limes bei Rheinbrohl bis zum Main bei Grosskrotzenburg. Theiss, Stuttgart 1989, ISBN 3-8062-0276-1, S. 86–89.
- Charles-Marie Ternes: Die Provincia Germania Superior im Bilde der jüngeren Forschung. In: Hildegard Temporini, Wolfgang Haase (Hrsg.): Aufstieg und Niedergang der römischen Welt. Reihe II, Band 5, 2. de Gruyter, Berlin 1976, S. 798.
- Vera Rupp, Heide Birley: Wanderungen am Wetteraulimes. Archäologische Wanderungen am Limes vom Köpperner Tal im Taunus bis zur Drususeiche bei Limeshain. Theiss, Stuttgart 2005, ISBN 3-8062-1551-0, (Führer zur hessischen Vor- und Frühgeschichte, 6), S. 72–83.
Anmerkungen
- ↑ Wp 4/11 bei 50° 19′ 11,18″ N, 8° 38′ 17,3″ O.
- ↑ 50° 19′ 11,18″ N, 8° 38′ 17,3″ O.
- ↑ 50° 19′ 10,64″ N, 8° 38′ 17,56″ O.
- ↑ ORL = Nummerierung der Limesbauwerke gemäß der Publikation der Reichs-Limeskommission zum Obergermanisch-Rätischen-Limes
- ↑ Wp = Wachposten, Wachturm. Die Ziffer vor dem Schrägstrich bezeichnet den Limesabschnitt, die Ziffer hinter dem Schrägstrich in fortlaufender Nummerierung den jeweiligen Wachturm. Ein zusätzliches Sternchen (*) bezieht sich auf einen Wachposten der älteren Limeslinie.
- ↑ 50° 19′ 29,02″ N, 8° 38′ 29,25″ O.
- ↑ 50° 20′ 4,79″ N, 8° 38′ 54,47″ O.
- ↑ 50° 20′ 3,73″ N, 8° 38′ 54,47″ O.
- ↑ 50° 20′ 26,22″ N, 8° 38′ 54,76″ O.
- ↑ KK = nicht nummeriertes Klein-Kastell.
Weblinks
Einzelnachweise
- ↑ Margot Klee: Der römische Limes in Hessen. Geschichte und Schauplätze des UNESCO-Welterbes. Verlag Friedrich Pustet, Regensburg 2009, ISBN 978-3-7917-2232-0, S. 117.
- ↑ a b Vera Rupp, Heide Birley: Wanderungen am Wetteraulimes. Archäologische Wanderungen am Limes vom Köpperner Tal im Taunus bis zur Drususeiche bei Limeshain. Theiss, Stuttgart 2005, ISBN 3-8062-1551-0, (Führer zur hessischen Vor- und Frühgeschichte, 6), S. 90f.
- ↑ Dietwulf Baatz: Limes. In: Ders. und Fritz-Rudolf Herrmann: Die Römer in Hessen. Lizenzausgabe der Auflage von 1982. Nikol, Hamburg 2002, ISBN 3-933203-58-9, S. 398.
- ↑ Vera Rupp, Heide Birley: Wanderungen am Wetteraulimes. Archäologische Wanderungen am Limes vom Köpperner Tal im Taunus bis zur Drususeiche bei Limeshain. Theiss, Stuttgart 2005, ISBN 3-8062-1551-0, (Führer zur hessischen Vor- und Frühgeschichte, 6), S. 88f.
