Kleinkastell Rheinbrohl
| Kleinkastell Rheinbrohl | |
|---|---|
| Limes | ORL NN (RLK) |
| Strecke (RLK) | Obergermanischer Limes, Strecke 1 (Rhein-Lahn) |
| Datierung (Belegung) | um 180/190 bis ? |
| Typ | Kleinkastell |
| Einheit | unbekannte Vexillatio |
| Größe | 26 m × 26 m = 0,07 ha |
| Bauweise | Stein |
| Erhaltungszustand | völlig zerstört (Kiesabbau) |
| Ort | Rheinbrohl/Bad Hönningen |
| Geographische Lage | 50° 30′ 12,7″ N, 7° 19′ 9,5″ O |
| Höhe | 63 m ü. NHN |
| Vorhergehend | Kastell Remagen/Rigomagus, → (Niedergermanischer Limes) |
| Anschließend | Kleinkastell Am Forsthofweg (ostsüdöstlich) |
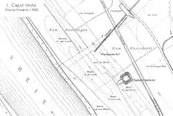
Das Kleinkastell Rheinbrohl war ein römisches Militärlager des Obergermanischen Limes, der im Jahre 2005 den Status des UNESCO-Weltkulturerbes erlangte. Die Fortifikation befand sich auf dem Gebiet der im heutigen rheinland-pfälzischen Landkreis Neuwied gelegenen Verbandsgemeinde Bad Hönningen, in deren Bereich der Obergermanisch-Raetische Limes sich von der Flussgrenze des Rheines – dem Niedergermanischen Limes – nach Osten hin lösend, zwischen der Ortsgemeinde Rheinbrohl und der Stadt Bad Hönningen seinen nördlichen Anfang nahm.
Lage

Das Kleinkastell Rheinbrohl lag am nördlichen Rand des heutigen Gemeindegebietes von Rheinbrohl in unmittelbarer Nähe des Rheins. In antiker Zeit befand es sich hier direkt an einer inzwischen verlandeten Rheinschleife, etwa 200 Meter südlich des „Caput Limitis“ (lateinisch „Haupt des Limes“), des nördlichen Beginns des Obergermanischen Limes, dessen Überwachung der Besatzung der kleinen Fortifikation oblag. Der Limes nahm hier auf dem rechten Rheinufer seinen Anfang, gegenüber der auf der linken Rheinseite befindlichen Mündung des Vinxtbaches (von lateinisch: finis = „Grenze“), die dort die Grenze zwischen den Provinzen Germania inferior (Niedergermanien) und Germania Superior (Obergermanien) bildete.
Historisch-strategischer Hintergrund
Der Limes umschließt in seinem nördlichen Abschnitt das Neuwieder Becken, eine alte Siedlungskammer, die schon früh in den strategischen Überlegungen der Römer eine große Rolle spielte. Bereits die beiden Brücken, die Gaius Iulius Caesar in den Jahren 55 und 53 v. Chr. über den Rhein schlagen ließ, haben vermutlich in diesem Bereich gelegen. Eine weitere römische Brücke wurde im Jahre 49 n. Chr. zwischen Confluentes, dem heutigen Koblenz und Ehrenbreitstein errichtet. Mehrere archäologische Entdeckungen am Unterlauf der Lahn seit 2009 verweisen dort auf militärische Aktivitäten möglicherweise offensiven Charakters in der claudisch-neronischen Zeit (41–68).[1] Später, während der Chattenkriege (83–85) unter Kaiser Domitian (81–96) diente das Neuwieder Becken als Aufmarschbasis für militärische Operationen durch das Tal der Lahn. Vermutlich nach dem Ende der Feldzüge des ersten Jahrhunderts wurde mit dem Ausbau des Limes in dieser Region begonnen.
Kastell

(Ausgrabungen 1899)
Das Kleinkastell Rheinbrohl wurde im Herbst 1899 entdeckt und ausgegraben. Es handelte sich bei ihm um ein quadratisches Steinkastell mit rund 26 Metern Seitenlänge, was einer Gesamtfläche von etwa 0,07 Hektar entspricht. Der Innenraum des Lagers wurde von einem einzelnen Gebäude eingenommen, zur Trinkwasserversorgung diente ein Brunnen vor der östlichen Kastellmauer. Die mit ihrem einzigen Tor nach Südwesten, zum Rhein hin ausgerichtete Anlage war von einer 90 Zentimeter starken Wehrmauer umgeben, vor der sich als Annäherungshindernis zwei jeweils etwa sechs Meter breite und zwei Meter tiefe Spitzgräben befanden. Der Befund mehrerer Mauern unterhalb des Kastells, die bei den Ausgrabungen angeschnitten wurden, konnte nicht interpretiert werden.
Das Kastell wurde in der Regierungszeit des Commodus (180–192) an der Stelle einer älteren römischen Bebauung errichtet. Die vollständige Ausdehnung und ehemalige Funktion jener Bauten ließ sich jedoch zum Zeitpunkt der Ausgrabungen nicht mehr ermitteln. Zu einem nicht näher datierbaren Zeitpunkt, vermutlich in der Spätphase des Limes, fiel es der Zerstörung durch ein Feuer unbekannter Ursache zum Opfer. Über die Kastellbesatzung ist nichts bekannt, es dürfte sich um die Vexillatio (Detachement) einer in der Nähe stationierten größeren Auxiliareinheit gehandelt haben.
Von der Anlage ist heute nichts mehr erhalten, auch nicht unterirdisch. Das Gelände wurde durch neuzeitlichen Kiesabbau völlig zerstört.
Limesverlauf vom „Caput Limitis“ bis zum Kleinkastell „Am Forsthofweg“
Der Obergermanische Limes ist im nördlichsten Abschnitt, zwischen seinem Anfangspunkt und dem Kastell Niederbieber in unterschiedlichen Zuständen erhalten. Insbesondere in den wenig besiedelten, bewaldeten Höhenzügen nordöstlich des Rheines sind noch zahlreiche Spuren sowohl des Limesgrabens selbst, wie auch seiner Wachtürme im Gelände zu sehen. Die Strecke ist heute durch den Limeswanderweg touristisch erschlossen.
Der Limes verlässt den Rhein und verläuft zunächst in nordöstliche Richtung, bevor er beim hypothetischen Wachturm Wp 1/4 nach Osten einschwenkt. Zu Beginn der Strecke sind, bedingt durch die moderne Bebauung des Geländes, keinerlei Spuren zu sehen, erst ab dem Wp 1/5 werden die Bodenverformungen der Limesbauwerke im Gelände sichtbar. Der Limes beschreibt einen sanften Bogen oberhalb des Nassenbachtals. Etwa im Bereich des heutigen Jagdhauses „Wilhelmsruh“, beim Wp 1/10, schwenkt er nach Südsüdosten hin ein, um sich am Wp 1/13 erneut nach Osten zu wenden, bis er schließlich das Kleinkastell „Am Forsthofweg“ erreicht. Insgesamt steigt der Limes auf seinem Weg vom Kleinkastell Rheinbrohl bis zum Kleinkastell „Am Forsthofweg“ um rund 310 Höhenmeter an.
Spuren der Limesbauwerke zwischen dem Kleinkastell Rheinbrohl und dem Kleinkastell „Am Forsthofweg“:
| ORL[2] | Name/Ort | Beschreibung/Zustand |
|---|---|---|
| Wp 1/1[3] | ![]() Die Ausführung der Rekonstruktion entsprach bereits zu ihrer Entstehungszeit 1973 nicht den wissenschaftlichen Erkenntnissen über das Aussehen von Limeswachtürmen und ist in der Literatur entsprechend kritisiert worden.[6] Zudem wurde bei der Erbauung der Rekonstruktion die vorher noch sehr gut erhaltene Wachturmstelle Wp 1/8 als Steinbruch ausgebeutet, was die dortigen Originalbefunde stark zerstörte.[7] Neben der Wachturm-Rekonstruktion wurde eine Kopie der Grabstele des Pintaius, eines Signifers der Cohors V Asturum aufgestellt,[8] derer Original jedoch nicht in Rheinbrohl, sondern in Bonn gefunden worden ist.[9] | |
| Wp 1/2 bis Wp 1/4 | ![]() Der Limes zieht sich in diesem Abschnitt aus der Rheinebene kommend allmählich über Arienheller zu den Höhenzügen des Rheinbrohler Walds hinauf. Im Gelände ist heute nichts mehr zu erkennen.[11] | |
| Wp 1/5 | „Am Berdelder“ | ![]() |
| Wp 1/6 | Aufgrund des Abstandes zwischen Wp 1/5 und Wp 1/7 vermutete, aber archäologisch nicht nachgewiesene Turmstelle.[13] Wall und Graben zeichnen sich in diesem Bereich jedoch noch deutlich im Gelände ab.[14] | |
| Wp 1/7 | „Auf der Steinbrink“ | ![]() Von der Galerie dieses Turmes aus konnte die gesamte Limesstrecke zurück bis zum Wp 1/1, vorwärts bis zum Wp 1/10, sowie das linke Rheinufer überschaut werden. Der Limeswall ist in diesem Bereich noch bis zu einer Höhe von zwei Metern erhalten, der Graben hingegen nur noch als schwache Mulde wahrnehmbar.[16] |
| Wp 1/8 | „Auf Hottels Buchen“ | ![]() ![]() ![]() Holzturm Westlicher, älterer Steinturm Östlicher, jüngerer Steinturm Limesdurchgang Funde und Inschrift
Auf Grund von Analogien zu einem Inschriftenfund aus dem Kastell Saalburg[22] interpretierte der Archäologe Thomas Becker den Fund als möglichen Weihestein für die Göttin Fortuna und schlug folgende, stark ergänzte Lesung vor:
Übersetzt: „Der Göttin Fortuna (hat) Marcus Ulpius (..)sius, Präfekt der 7. Kohorte der Räter, sein Gelübde gerne, freudig und nach Gebühr erfüllt.“ Die Cohors VII Raetorum (equitata) war seinerzeit im südöstlich gelegenen, rund neun Kilometer Luftlinie entfernten Kastell Niederberg stationiert.[23][17] Konservierung |
| Wp 1/9 | „Am Beulenberg“ | Kaum wahrnehmbare Bodenspuren[24] eines Steinturms an der Stelle eines älteren Holzturms, der von einem etwa zwei Meter breiten Ringgraben umgeben war. Der Steinturm stand 29,5 m von der Mitte des Wallgrabens entfernt. Der quadratische Turm hatte eine Seitenlänge von 4,10 m bei einer Mauerstärke von knapp 80 cm.
Ein Rekonstruktionsvorschlag des Holzturms[25] wurde an nicht historischer Stelle, rund 300 m südöstlich des Wp 1/8 und rund 150 m nordwestlich des Wp 1/9 als Aussichtsturm errichtet.[26] |
| Wp 1/10 | „Auf dem Marsfeld“ | ![]() Der Limes erreicht hier die Wasserscheide zwischen Rhein und Wied. |
| Wp 1/11 | „Auf dem Freßhelder“ | ![]() ![]() Spuren eines älteren Holzturmes[29] von 4,75 × 4,35 m Seitenlänge, der von einem 19 m durchmessenden Graben großzügig umfasst war, konnten unmittelbar südwestlich des Steinturms nachgewiesen werden. Etwa 100 Meter südlich der Turmstelle kreuzt der dort nicht wahrnehmbare Limes den Verlauf einer mittelalterlichen Landwehr, die sich noch deutlich im Gelände abzeichnet.[30] |
| Wp 1/12 | „Beim Weierhof“ | Auf landwirtschaftlicher Nutzfläche, 39 m hinter dem Wallgraben befindlicher, zwischen zwei Baumgruppen erkennbarer und ausgewiesener Schutthügel[31] eines ehemaligen Steinturms von 4,80 × 4,80 m Größe mit 65 bis 75 cm starken Mauern. Auch dieser Turm wies, wie der Wp 1/11, Konstruktionsmerkmale des Opus spicatum auf. Ein weiterer, in der älteren Literatur verzeichneter Steinturm ist abgegangen, ein Holzturm konnte nicht nachgewiesen werden. |
| Wp 1/13 | „Am Rennweg“ | Wahrnehmbare Überreste[32] eines 5,30 × 5,30 m großen, ungefähr 52 m vom Wallgraben entfernten Steinturms mit 90 cm mächtigen Mauern. Ein Holzturm wurde anhand des keramischen Fundmaterials nachgewiesen.[33] |
| Wp 1/13a | Vermutete, aber archäologisch nicht nachgewiesene Turmstelle.[34] Zwischen dieser und Wp 1/13 befand sich eine Unterbrechung des Limeswalls und des großen Grabens, während der Palisadengraben keinerlei Unterbrechungsmerkmale aufwies. | |
| Wp 1/14 | „Am Forsthofweg“ | ![]() Der Turm liegt nur gut 20 m von der Nordwestecke des Kleinkastells am Forsthofweg entfernt. |
| KK | Kleinkastell Am Forsthofweg | siehe Hauptartikel Kleinkastell Am Forsthofweg |
Denkmalschutz
Das Kleinkastell Rheinbrohl und die erwähnten Bodendenkmale sind als Abschnitt des Obergermanisch-Rätischen Limes seit 2005 Teil des UNESCO-Welterbes. Außerdem sind die Anlagen Kulturdenkmale nach dem Denkmalschutzgesetz des Landes Rheinland-Pfalz (DSchG). Nachforschungen und gezieltes Sammeln von Funden sind genehmigungspflichtig. Zufallsfunde sind an die Denkmalbehörden zu melden.
Limes-Informations- und Erlebniszentrum Rheinbrohl

Im Rheinbrohler Ortsteil Arienheller befindet sich das offizielle Limes-Informationszentrum für das Land Rheinland-Pfalz RömerWelt am Caput Limitis. Das Zentrum wurde Ende 2008 eröffnet. Die Trägerschaft liegt bei der Stiftung „Caput Limitis“, für die inhaltliche Konzeption zeichnet die Generaldirektion Kulturelles Erbe Rheinland-Pfalz verantwortlich. Auf einer Fläche von rund 6.000 m² wird dort versucht, mittels museumspädagogischer Methoden und entsprechender Events die Zeit des römischen Limes plastisch und vor allem familiengerecht zu vermitteln. Neben dem Hauptgebäude gibt es einen weitläufigen Außenbereich mit Rekonstruktionen römischer Baumaschinen und Werkstätten sowie eines Contuberniums und eines Backhauses. Abgeschlossen wird das Gelände von einer etwa 50 Meter langen Nachbildung des Limes.[36]
Siehe auch
Literatur
- Dietwulf Baatz: Der Römische Limes. Archäologische Ausflüge zwischen Rhein und Donau. 4. Auflage. Gebr. Mann, Berlin 2000, ISBN 3-7861-2347-0, S. 91–93.
- Thomas Becker: Ein Inschriftenfragment vom Wachturm 1/8 bei Rheinbrohl. Zur „Inschriftenausstattung“ der Wachtürme am Obergermanisch-Raetischen Limes. In: Andreas Thiel (Hrsg.): Neue Forschungen am Limes. 4. Fachkolloquium der Deutschen Limeskommission 27./28. Februar 2007 in Osterburken. Theiss, Stuttgart 2008, ISBN 978-3-8062-2251-7, (= Beiträge zum Welterbe Limes, 3), S. 43–57.
- Ernst Fabricius, Felix Hettner, Oscar von Sarwey (Hrsg.): Der obergermanisch-raetische Limes des Roemerreiches. Abt. A, Bd. 1: Die Strecken 1 und 2. Petters; Heidelberg, Berlin, Leipzig 1936.
- Christian Fleer: Typisierung und Funktion der Kleinbauten am Limes. In: Egon Schallmayer (Hrsg.): Limes Imperii Romani. Beiträge zum Fachkolloquium „Weltkulturerbe Limes“ November 2001 in Lich-Arnsburg. (Saalburg-Schriften 6), Bad Homburg v. d. H. 2004, ISBN 3-931267-05-9, S. 75–92.
- Cliff Alexander Jost: Nachgrabung und Konservierung der Türme am Limes. Wachposten 1/8 im Rheinbrohler Wald. In: Andreas Thiel (Hrsg.): Neue Forschungen am Limes. 4. Fachkolloquium der Deutschen Limeskommission 27./28. Februar 2007 in Osterburken. Theiss, Stuttgart 2008, ISBN 978-3-8062-2251-7, (= Beiträge zum Welterbe Limes, 3), S. 31–41.
- Cliff Alexander Jost: Der römische Limes in Rheinland-Pfalz. (Archäologie an Mittelrhein und Mosel, Bd. 14), Landesamt für Denkmalpflege Rheinland-Pfalz, Koblenz 2003, ISBN 3-929645-07-6, S. 27–46.
- Margot Klee: Limes. Strecke 1, WP 1/1–1/93. In: Heinz Cüppers: Die Römer in Rheinland-Pfalz. Lizenzausgabe der Auflage von 1990, Nikol, Hamburg 2002, ISBN 3-933203-60-0, S. 442–443.
- Margot Klee: Der Limes zwischen Rhein und Main. Theiss, Stuttgart 1989. ISBN 3-8062-0276-1, S. 33–37.
Weblinks
- Limes-Info-Zentrum Rheinbrohl auf der Webseite der Stiftung „Caput Limitis“ Rheinbrohl
Anmerkungen
- ↑ Peter Henrich, Markus Scholz, Thomas Maurer, Carsten Mischka: Zwei neue frühkaiserzeitliche Militärlager an der unteren Lahn. Ein Vorbericht. In: Suzana Matešić (Hrsg.): Interdisziplinäre Forschungen zum Limes. 8. Kolloquium der Deutschen Limeskommission. (= Beiträge zum Welterbe Limes, 10). Theiss, Darmstadt 2019, ISBN 978-3-8062-4113-6, S. 18–33.
- ↑ ORL = Nummerierung der Limesbauwerke gemäß der Publikation der Reichs-Limeskommission zum Obergermanisch-Rätischen-Limes
- ↑ Wp = Wachposten, Wachturm. Die Ziffer vor dem Schrägstrich bezeichnet den Limesabschnitt, die Ziffer hinter dem Schrägstrich in fortlaufender Nummerierung den jeweiligen Wachturm.
- ↑ Misslungener Rekonstruktionsversuch bei 50° 30′ 12,99″ N, 7° 19′ 4,34″ O
- ↑ Turmstelle Wp 1/1 bei 50° 30′ 17″ N, 7° 19′ 2,63″ O
- ↑ So bei Baatz, S. 92. Da die Erdgeschosse von Limeswachtürmen meist über keine Außenzugänge verfügten, muss der Eingang deutlich höher gelegen haben. Ein Fachwerkaufbau auf einem Steinturm ist überdies höchst unwahrscheinlich und der Turm ist mit Sicherheit verputzt und mit einem Dach aus Ziegeln, Schindeln oder Schilf/Stroh gedeckt gewesen. Auch ist die den Turm auf die Regierungszeit des Kaisers Trajan (98–117) datierende moderne Inschrift, die von den Turmerbauern angebracht worden ist, falsch und irreführend, da unter Trajan keine Steintürme am Obergermanischen Limes errichtet worden sind.
- ↑ Brigitta Rabold, Egon Schallmayer, Andreas Thiel: Der Limes, Theiss, Stuttgart 2000, ISBN 3-8062-1461-1, S. 26; Hartwig Schmidt: Archäologische Denkmäler in Deutschland – Rekonstruiert und wieder aufgebaut, Theiss, Stuttgart 2000, ISBN 3-8062-1395-X, S. 98; Cliff Alexander Jost: Nachgrabung und Konservierung der Türme am Limes. Wachposten 1(8 im Rheinbrohler Wald. In: Andreas Thiel (Hrsg.): Neue Forschungen am Limes. 4. Fachkolloquium der Deutschen Limeskommission 27./28. Februar 2007 in Osterburken. Theiss, Stuttgart 2008, ISBN 978-3-8062-2251-7, (= Beiträge zum Welterbe Limes, 3), S. 31–41; hier: S. 31.
- ↑ CIL 13, 08098
- ↑ Cliff Alexander Jost: Der römische Limes in Rheinland-Pfalz. (Archäologie an Mittelrhein und Mosel, Bd. 14), Landesamt für Denkmalpflege Rheinland-Pfalz, Koblenz 2003, ISBN 3-929645-07-6, S. 33.
- ↑ Turmstelle Wp 1/2 vermutet bei 50° 30′ 32,26″ N, 7° 19′ 23,76″ O, Turmstelle Wp 1/3 vermutet bei 50° 30′ 37,86″ N, 7° 19′ 53,26″ O und Turmstelle Wp 1/4 vermutet bei 50° 30′ 46,56″ N, 7° 20′ 13,2″ O.
- ↑ Cliff Alexander Jost: Der römische Limes in Rheinland-Pfalz. (Archäologie an Mittelrhein und Mosel, Bd. 14), Landesamt für Denkmalpflege Rheinland-Pfalz, Koblenz 2003, ISBN 3-929645-07-6, S. 30f.
- ↑ Turmstelle Wp 1/5 bei 50° 30′ 47,66″ N, 7° 20′ 33,72″ O
- ↑ Turmstelle Wp 1/6 vermutet bei 50° 30′ 48,61″ N, 7° 20′ 57,54″ O
- ↑ Cliff Alexander Jost: Der römische Limes in Rheinland-Pfalz. (Archäologie an Mittelrhein und Mosel, Bd. 14), Landesamt für Denkmalpflege Rheinland-Pfalz, Koblenz 2003, ISBN 3-929645-07-6, S. 35.
- ↑ Turmstelle Wp 1/7 bei 50° 30′ 49,74″ N, 7° 21′ 22,27″ O
- ↑ Cliff Alexander Jost: Der römische Limes in Rheinland-Pfalz. (Archäologie an Mittelrhein und Mosel, Bd. 14), Landesamt für Denkmalpflege Rheinland-Pfalz, Koblenz 2003, ISBN 3-929645-07-6, S. 36.
- ↑ a b c d e f g Cliff Alexander Jost: Nachgrabung und Konservierung der Türme am Limes. Wachposten 1(8 im Rheinbrohler Wald. In: Andreas Thiel (Hrsg.): Neue Forschungen am Limes. 4. Fachkolloquium der Deutschen Limeskommission 27./28. Februar 2007 in Osterburken. Theiss, Stuttgart 2008, ISBN 978-3-8062-2251-7, (= Beiträge zum Welterbe Limes, 3), S. 31–41.
- ↑ Westliches Pfostenloch: 0,50 m Durchmesser mit Pfostenstandspur von 0,30/0,35 m. Südliches Pfostenloch: 0,60 m ohne Standspur.
- ↑ Holzturm der Turmstelle Wp 1/8 bei 50° 30′ 47,43″ N, 7° 21′ 56,06″ O
- ↑ Älterer Steinturm der Turmstelle Wp 1/8 bei 50° 30′ 47,43″ N, 7° 21′ 56,06″ O
- ↑ Jüngerer Steinturm der Turmstelle Wp 1/8 bei 50° 30′ 47,18″ N, 7° 21′ 56,62″ O
- ↑ CIL 13, 7445
- ↑ Thomas Becker: Ein Inschriftenfragment vom Wachturm 1/8 bei Rheinbrohl. Zur „Inschriftenausstattung“ der Wachtürme am Obergermanisch-Raetischen Limes. In: Andreas Thiel (Hrsg.): Neue Forschungen am Limes. 4. Fachkolloquium der Deutschen Limeskommission 27./28. Februar 2007 in Osterburken. Theiss, Stuttgart 2008, ISBN 978-3-8062-2251-7, (= Beiträge zum Welterbe Limes, 3), S. 43–57.
- ↑ Turmstelle Wp 1/9 bei 50° 30′ 41,43″ N, 7° 22′ 17,89″ O
- ↑ Rekonstruktionsvorschlag des Holzturms der Turmstelle Wp 1/9 bei 50° 30′ 41,43″ N, 7° 22′ 17,89″ O
- ↑ Cliff Alexande Jost: Turm Nr. 1/9 in Rheinbrohl ( vom 4. Dezember 2014 im Internet Archive) auf der Webpräsenz Der Limes in Rheinland-Pfalz des Sekretariats für das Welterbe in Rheinland-Pfalz, abgerufen am 6. Februar 2015.
- ↑ Steinturm der Turmstelle Wp 1/10 ungefähr bei 50° 30′ 37,1″ N, 7° 22′ 32,6″ O
- ↑ Steinturm der Turmstelle Wp 1/11 bei 50° 30′ 14,63″ N, 7° 22′ 36,62″ O
- ↑ Holzturm der Turmstelle Wp 1/11 bei 50° 30′ 14,3″ N, 7° 22′ 35,92″ O
- ↑ Cliff Alexander Jost: Der römische Limes in Rheinland-Pfalz. (Archäologie an Mittelrhein und Mosel, Bd. 14), Landesamt für Denkmalpflege Rheinland-Pfalz, Koblenz 2003, ISBN 3-929645-07-6, S. 43.
- ↑ Turmstelle Wp 1/12 bei 50° 29′ 59,55″ N, 7° 22′ 47,4″ O
- ↑ Steinturm der Turmstelle Wp 1/13 bei 50° 29′ 41″ N, 7° 23′ 11,46″ O
- ↑ Holzturm der Turmstelle Wp 1/13 bei 50° 29′ 40,96″ N, 7° 23′ 10,71″ O
- ↑ Turmstelle Wp 1/13a vermutet etwa bei 50° 29′ 39,98″ N, 7° 23′ 24,13″ O
- ↑ Turmstelle Wp 1/14 bei 50° 29′ 39,83″ N, 7° 23′ 34,23″ O
- ↑ Limes-Info-Zentrum Rheinbrohl auf der Webseite der Stiftung „Caput Limitis“ Rheinbrohl, abgerufen am 17. Mai 2021.











