Leptopus marmoratus
| Leptopus marmoratus | ||||||||||||
|---|---|---|---|---|---|---|---|---|---|---|---|---|
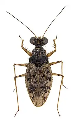
Leptopus marmoratus, Sammlungspräparat aus der Zoologischen Staatssammlung München | ||||||||||||
| Systematik | ||||||||||||
| ||||||||||||
| Wissenschaftlicher Name | ||||||||||||
| Leptopus marmoratus | ||||||||||||
| (Goeze, 1778) |
Leptopus marmoratus, auch Steinläuferwanze genannt,[1] ist die einzige Art der Wanzen-Familie Leptopodidae, die in Deutschland und Österreich vorkommt.
Merkmale
Die kleine Art erreicht eine Körperlänge zwischen 3,8 und 4,7 Millimeter. Kopf, Pronotum und Scutellum sind schwarz gefärbt, mit geringfügiger gelber Zeichnung. An den Halbdecken ist das Corium gelbbraun, die übrige Fläche grau, mit gelbbraunen, weißlichen und schwarzen Flecken marmoriert. Die Membran der Halbdecken ist grau gefärbt. Die Beine sind hell gelbbraun, die Unterseite ist schwarz gefärbt. Wie typisch in der Verwandtschaft, ist der Kopf klein mit auffallend großen, nierenförmigem Komplexaugen und zwei nahe benachbart auf der Stirn sitzenden Ocellen. Der Saugrüssel (Rostrum) ist sehr kurz. Der Kopf und die Oberseite der Halbdecken sowie deren Außenrand und die Vorderbeine sind mit Stacheln besetzt. Die Beine sind lang und dünn, die Fühler lang fadenförmig und kahl.
In Mitteleuropa ist die Art als einziger Vertreter ihrer Familie unverkennbar. Von den ähnlichen Uferwanzen (Familie Saldidae) unterscheidet die auffallende Bestachelung.
Verbreitung
Die Art lebt im Mittelmeerraum, einschließlich Nordafrikas, und im südlichen und westlichen Mitteleuropa, im Osten bis in die Ukraine. Die Verbreitungsgrenze geht quer durch Deutschland, sie kommt nach Norden bis zum Mittelrheintal, dem Elbtal in Sachsen-Anhalt und dem Odertal in Brandenburg vor. In Österreich ist sie selten.
Leptopus marmoratus lebt an trockenen warmen Standorten, immer auf und unter Steinen. Die Habitate umfassen steinige Flussufer, Schutthalden und Steinbrüche, aber auch steinige Kalkmagerrasen. Die agilen Tiere können schnell laufen und fliegen und verstecken sich an der Unterseite von Steinen, wenn sie aufgeschreckt werden, oder sie flüchten fliegend. Die Leptopus-Wanzen können auch bei niedrigen Temperaturen aktiv sein. Sie leben räuberisch, von kleinen Insekten, wohl vor allem Staubläusen und deren Larven. Vermutlich haben die Stacheln an den Vorderbeinen und am Rostrum eine Funktion beim Beutefang.
Leptopus marmoratus überwintert als adulte Wanze. In wärmeren Regionen, so bis ins Mittelrheintal, können zwei Generationen im Jahr auftreten.
Literatur
- Ekkehard Wachmann, Albert Melber, Jürgen Deckert (2006): Wanzen: Dipsocoromorpha, Nepomorpha, Gerromorpha, Leptopodomorpha, Cimicomorpha (Wanzen, Band 1). In Friedrich Dahl (Begründer): Die Tierwelt Deutschlands, Band 77. Goecke & Evers Verlag, Keltern. ISBN 978-3-931374-49-5. auf Seite 97 bis 99.
- Eduard Wagner: Wanzen oder Heteropteren, Band I. Pentatomorpha. In Friedrich Dahl (Begründer): Die Tierwelt Deutschlands und der angrenzenden Meeresteile, 54. Teil. Gustav Fischer Verlag, Jena 1966. auf Seite 212.
Weblinks
Einzelnachweise
- ↑ Rote Liste der Wanzen – (Hemiptera, Heteroptera) Österreichs. (PDF; 6219 kB) In: umweltbundesamt.at. Umweltbundesamt Österreich, S. 20–60, abgerufen am 14. April 2025 (alternativ als Link in der XLSX-Datei „Wanzen (2024)“).
