Medocostes lestoni
| Medocostes lestoni | ||||||||||||
|---|---|---|---|---|---|---|---|---|---|---|---|---|
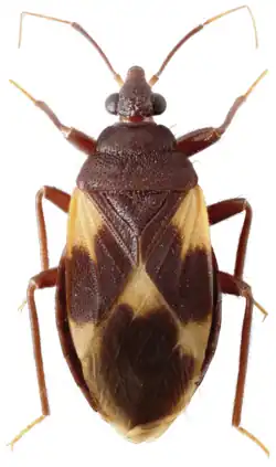
Weibchen von Medocostes lestoni | ||||||||||||
| Systematik | ||||||||||||
| ||||||||||||
| Wissenschaftlicher Name der Familie | ||||||||||||
| Medocostidae | ||||||||||||
| Štys, 1967 | ||||||||||||
| Wissenschaftlicher Name der Gattung | ||||||||||||
| Medocostes | ||||||||||||
| Štys, 1967 | ||||||||||||
| Wissenschaftlicher Name der Art | ||||||||||||
| Medocostes lestoni | ||||||||||||
| Štys, 1967 |
Medocostes lestoni ist die einzige beschriebene Art der Familie Medocostidae innerhalb der Wanzen-Teilordnung Cimicomorpha. Der Gattungsname ist ein Anagramm von Scotomedes, der Typusgattung der Familie Velocipedidae.[1]
Merkmale
Die Wanzen werden 8,3 bis 9,5 Millimeter lang. Ihr Kopf ist verhältnismäßig kurz und mäßig nach unten gerichtet. Punktaugen (Ocelli) sind ausgebildet. An den Fühlern ist ein Prepedicellit vorhanden. Die Bucculae, die die Schnabelrinne seitlich begrenzenden Wangenplatten, sind groß und verdecken die Basis des Labiums. Die Gula ist kurz. Das Labium reicht nach hinten zwischen die Hüften (Coxen) der Hinterbeine. Ihr erstes Segment ist praktisch nicht sichtbar, das vierte Segment ist länger als das zweite und dritte zusammen. Das Pronotum ist abgeflacht und hat einen schmalen Kragen. Das Schildchen (Scutellum) ist groß. An ihm ist das Mesepimeron und das Metepisternum nahezu vollständig vom Verdunstungsbereich der Duftdrüse eingenommen. An den Hemielytren ist die mediale Faltung lang, eine costale Faltung fehlt. Die Membrane trägt drei lange Basalzellen, von denen viele einfache oder einmal gegabelte Adern entspringen. An der Basis der am weitesten zur Flügelspitze reichenden Basalzelle befindet sich ein „Processus corial“ genannter Stummel. Bei den adulten Tieren befinden sich am Vorderrand des vierten bis sechsten Mediotergits Duftdrüsenritzen. Am zweiten bis achten Sternum am Hinterleib befinden sich Stigmen.[1]
Charakteristisch für die Art sind die auffälligen Proportionen der Segmente des Labiums, die innerhalb der Cimicomorpha und vermutlich auch der gesamten Unterordnung der Wanzen einzigartig ist.[1]
Vorkommen und Lebensweise
Die Lebensweise der Tiere ist kaum erforscht. Offenbar leben sie auf der Rinde von abgestorbenen Bäumen, weswegen man darauf schließt, dass sie sich von Insekten ernähren, die unter der Rinde leben. Die Art ist nur vom tropischen Westen Afrikas und dem Kongobecken bekannt.[1]
Taxonomie und Systematik
1967 beschrieb Pavel Štys die Familie Medocostidae und wies ihr zwei Arten zu, die schließlich 1989 von Kerzher synonymisiert wurden, sodass die Familie heute monotypisch ist. Obwohl Kerzhner die Gruppe (aus damals noch zwei Arten) 1971 in die Familie Velocipedidae stellte und Carayon (1970) bzw. wiederum Kerzhner (1981) sie als Unterfamilie der Sichelwanzen (Nabidae) sahen, folgten Schuh & Slater (1991) der Ansicht von Štys und bestätigten den eigenständigen Familienrang.[1]
Belege
Einzelnachweise
- ↑ a b c d e R. T. Schuh, J. A. Slater: True Bugs of the World (Hemiptera: Heteroptera). Classification and Natural History. Cornell University Press, Ithaca, New York 1995, S. 184ff.
Literatur
- R. T. Schuh, J. A. Slater: True Bugs of the World (Hemiptera: Heteroptera). Classification and Natural History. Cornell University Press, Ithaca, New York 1995.
