Mycetophagus fulvicollis
| Mycetophagus fulvicollis | ||||||||||||
|---|---|---|---|---|---|---|---|---|---|---|---|---|
Mycetophagus fulvicollis | ||||||||||||
| Systematik | ||||||||||||
| ||||||||||||
| Wissenschaftlicher Name | ||||||||||||
| Mycetophagus fulvicollis | ||||||||||||
| Fabricius, 1793 |
Mycetophagus fulvicollis ist ein Käfer aus der Familie der Baumschwammkäfer. Die Gattung Mycetophagus umfasst weltweit 35 Arten, von denen zwölf in Europa anzutreffen sind. Die europäischen Arten werden sieben verschiedenen Untergattungen zugerechnet. Mycetophagus fulvicollis gehört in die Untergattung Mycetoxides, deren einzige Art sie in Europa ist. Das lateinische Art-Epitheton fulvicollis bedeutet „rotgelbhalsig“.
Merkmale
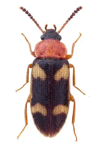
Die länglich-ovalen Käfer sind 4–4,5 mm lang. Sie haben einen schwarzen Kopf. Der Halsschild ist rotgelb gefärbt und locker punktiert.[1] Er weist seitlich abstehende Härchen auf. Die schwarzen Flügeldecken weisen hinter der Basis sowie hinter der Mitte jeweils zwei größere blassgelbe Flecke auf, die zwei unvollständige Querbinden darstellen. Dazwischen befindet sich am Seitenrand der Flügeldecken jeweils meist ein kleinerer blassgelber Fleck.[1] Zwischen den groben Punktreihen sind die Flügeldecken glänzend.[1] Die Flügeldecken sind mit dicht anliegenden Härchen bedeckt.[1] Die Fühler, Palpen und Beine sind rostrot.[1] Die äußeren fünf Fühlerglieder sind vergrößert und können leicht verdunkelt sein. Aufgrund ihrer Farbkombination sind die Käfer leicht von anderen Arten zu unterscheiden.
Verbreitung
Mycetophagus fulvicollis ist in Europa weit verbreitet, aber meist selten. Das Vorkommen reicht von Skandinavien im Norden bis in den Mittelmeerraum (Sardinien, Sizilien, Spanien und Griechenland) im Süden.[2] Im Osten reicht das Verbreitungsgebiet bis nach Sibirien. Von Großbritannien gibt es nur Nachweise aus dem 19. Jahrhundert aus Perthshire in Schottland.[3] Es wird davon ausgegangen, dass die Art nicht mehr in Großbritannien präsent ist.[3] In Massachusetts gab es 2020 erste Nachweise von Mycetophagus fulvicollis.[4] Offenbar wurde die Population nach Nordamerika eingeschleppt.[4] In Deutschland steht die Art als „stark gefährdet“ (Kategorie 2) auf der Roten Liste.[5]
Lebensweise
Man beobachtet die Käfer gewöhnlich vom zeitigen Frühjahr bis Mitte Juli. Ihren typischen Lebensraum bilden Laubwälder und Parks.[6] Die Käfer gelten als stenotop (eng an bestimmte Habitate gebunden), silvicol (waldgebunden) und polyporicol (an Baumpilze gebunden).[6] Sie werden offenbar häufiger in verpilzten morschen Laubhölzern als in Baumschwämmen angetroffen.[1] Als Laubhölzer werden Buchen, Linden und Rosskastanien genannt.[6]
Bilder
-
Käfer an gefällten Kiefernstämmen -

-

Einzelnachweise
- ↑ a b c d e f Arved Lompe: Mycetophagus. In: coleonet.de. Abgerufen am 21. Februar 2023.
- ↑ Mycetophagus fulvicollis bei Fauna Europaea. Archiviert vom Original im Internet Archive. Abgerufen am 21. Februar 2023
- ↑ a b Mycetophagidae Hairy Fungus Beetles. In: www.ukbeetles.co.uk. Abgerufen am 21. Februar 2023 (englisch).
- ↑ a b Species Mycetophagus fulvicollis. In: bugguide.net. Iowa State University, Dept. of Plant Pathology, Entomology, and Microbiology, abgerufen am 21. Februar 2023 (englisch).
- ↑ Mycetophagus fulvicollis. www.rote-liste-zentrum.de, abgerufen am 21. Februar 2023 (englisch).
- ↑ a b c Klaus Koch: Die Käfer Mitteleuropas – Ökologie – Band 2. Goecke & Evers Verlag, Krefeld 1989, ISBN 3-87263-040-7, S. 221.
Weblinks
- www.kerbtier.de
- Mycetophagus fulvicollis bei www.jungledragon.com
- Mycetophagus fulvicollis bei www.biolib.cz/en/
- Mycetophagus fulvicollis bei www.gbif.org
