Ochthephilus (Käfer)
| Ochthephilus | ||||||||||||
|---|---|---|---|---|---|---|---|---|---|---|---|---|
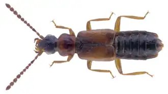
Ochthephilus aureus | ||||||||||||
| Systematik | ||||||||||||
| ||||||||||||
| Wissenschaftlicher Name | ||||||||||||
| Ochthephilus | ||||||||||||
| Mulsant & Rey, 1856 |
Ochthephilus, Syn. Ancyrophorus ist eine Gattung der Käfer aus der Familie der Kurzflügler (Staphylinidae) innerhalb der Unterfamilie Oxytelinae. Sie kommt in Europa mit 21 Arten vor,[1] 8 kommen davon auch in Mitteleuropa vor.[2]
Merkmale
Die Käfer sehen denen der Gattung Trogophloeus sehr ähnlich, unterscheiden sich von diesen jedoch durch das letzte Glied der Kiefertaster, das länger, an der Basis breiter und am Ende sehr spitz zulaufend ist sowie durch die deutlich längeren und flachen Deckflügel.
Vorkommen und Lebensweise
Die Tiere sind besonders in Berglagen verbreitet und kommen an beschatteten Fließgewässern häufig gemeinsam mit Lesteva-Arten vergesellschaftet vor. Sie leben in feuchtem Moos.
Arten (Europa)
- Ochthephilus emarginatus (Fauvel, 1871)
- Ochthephilus andalusiacus (Fagel, 1957)
- Ochthephilus angustatus (Erichson, 1840)
- Ochthephilus angustior (Bernhauer, 1943)
- Ochthephilus aureus (Fauvel, 1871)
- Ochthephilus brachypterus Jeannel & Jarrige, 1949
- Ochthephilus carnicus (Scheerpeltz, 1950)
- Ochthephilus corsicus (Fagel, 1956)
- Ochthephilus filum (Fauvel, 1875)
- Ochthephilus flexuosus Mulsant & Rey, 1856
- Ochthephilus jailensis (Scheerpeltz, 1950)
- Ochthephilus legrosi (Jarrige, 1949)
- Ochthephilus mediterraneus (Scheerpeltz, 1950)
- Ochthephilus omalinus (Erichson, 1840)
- Ochthephilus praepositus Mulsant & Rey, 1878
- Ochthephilus rosenhaueri (Kiesenwetter, 1850)
- Ochthephilus ruteri (Jarrige, 1949)
- Ochthephilus scheerpeltzi (Fagel, 1951)
- Ochthephilus strandi (Scheerpeltz, 1950)
- Ochthephilus tatricus (Smetana, 1967)
- Ochthephilus venustulus (Rosenhaue,r 1856)
Quellen
Einzelnachweise
- ↑ Ochthephilus. Fauna Europaea, abgerufen am 31. Mai 2009.
- ↑ Karl Wilhelm Harde, Frantisek Severa und Edwin Möhn: Der Kosmos Käferführer: Die mitteleuropäischen Käfer. Franckh-Kosmos Verlags-GmbH & Co KG, Stuttgart 2000, ISBN 3-440-06959-1.
Literatur
- Karl Wilhelm Harde, Frantisek Severa und Edwin Möhn: Der Kosmos Käferführer: Die mitteleuropäischen Käfer. Franckh-Kosmos Verlags-GmbH & Co KG, Stuttgart 2000, ISBN 3-440-06959-1.
- Edmund Reitter: Fauna Germanica – Die Käfer des Deutschen Reiches. 5 Bände, Stuttgart K. G. Lutz 1908–1916, Digitale Bibliothek Band 134, Directmedia Publishing GmbH, Berlin 2006, ISBN 3-898-53534-7.
.png)