Pazifische Hurrikansaison 1997
![]() Alle Stürme der Saison | |
| Bildung des ersten Sturms |
1. Juni |
|---|---|
| Auflösung des letzten Sturms |
6. Dezember |
| Stärkster Sturm | Linda – 902 hPa (mbar), 160 kn (296 km/h) |
| Stürme | 19 |
| Hurrikane | 9 |
| Schwere Hurrikane (Kat. 3+) | 7 |
| Opferzahl gesamt | 426 total |
| Gesamtschaden | 7,6 Milliarden $ |
| Pazifische Hurrikansaison 1995, 1996, 1997, 1998, 1999 | |
Die Pazifische Hurrikansaison 1997 war ein Ereignis in der Meteorologie im Jahre 1997. Diese Saison war eine der aktivsten im östlichen Pazifik seit Beginn der Aufzeichnungen und mit hunderten von Toten und Schäden in Höhe von vielen Milliarden US-Dollar auch eine der tödlichsten und teuersten.
Die herausragenden Stürme waren die schweren Hurrikane Linda, Pauline und Nora. Linda wurde der intensivste Sturm im östlichen Pazifik überhaupt, Pauline tötete durch schwere Überschwemmungen hunderte von Menschen in Mexiko und Nora verursachte schwere Schäden und Überschwemmungen im Südwesten der Vereinigten Staaten. Außerdem haben sich in der Region östlich der Datumsgrenze die Supertaifune Oliwa und Paka gebildet, die wesentliche Schäden im westlichen Pazifikraum angerichtet.
Saisonüberblick
| Saffir-Simpson-Hurrikan-Windskala | ||||||
| TD | TS | 1 | 2 | 3 | 4 | 5 |
Die Pazifische Hurrikansaison 1997 begann offiziell im östlichen Pazifik am 15. Mai 1997 und am 1. Juni 1997 im mittleren Pazifik und dauerte bis zum 30. November 1997. Mit dieser Konvention wird die Zeitperiode bestimmt, in der sich im nordöstlichen Pazifik die meisten Wirbelstürme bilden. Im Jahre 1997 wurde dieser Zeitraum wesentlich überschritten, da der tropische Sturm Paka sich am 2. Dezember 1997 bildete und sich erst nach einer Wanderung in den Westpazifik 19 Tage später auflöste.
Die hohe Aktivität in dieser Hurrikansaison war durch einen starken El Niño beeinflusst, der Windscherungen und hohe Wassertemperaturen mit sich brachte und damit günstige Bedingungen für die Bildung tropischer Wirbelstürme schaffte.
Insgesamt wurden 24 tropische Zyklone verzeichnet, einschließlich fünf nicht benamter tropischer Tiefdruckgebiete. Davon entstanden 19 östlich des 140. Längengrades westlich von Greenwich, als im östlichen Pazifik. Acht dieser Stürme entwickelten sich zu tropischen Stürmen und zehn zu Hurrikanen. Sieben dieser Hurrikane erreichten den Status eines schweren Hurrikans, als einem Hurrikan mindestens der Kategorie 3 auf der Saffir-Simpson-Hurrikan-Windskala, einschließlich der Supertaifune Oliwa und Paka, die erst im westlichen Pazifik zu Taifunen wurden.
Auch im mittleren Pazifik (also zwischen dem 140. Längengrad und der Datumsgrenze) war die Aktivität überdurchschnittlich. Dort bildeten sich zwei tropische Stürme und mehrere tropische Tiefdruckgebiete. Insgesamt wurden in dem Gebiet neun tropische Stürme beobachtet, die vierthöchste Zahl seit Beginn der Beobachtungen mit Wettersatelliten.
Stürme
Tropischer Sturm Andres
| Tropischer Sturm | |||
|---|---|---|---|
| |||
| Dauer | 1. Juni – 7. Juni | ||
| Intensität | 45 kn (85 km/h) (1-minütig), 998 hPa | ||
Andres entstand aus einer Störung, die sich am 1. Juni langsam zum tropischen Tiefdruckgebiet Eins-E aufbaute. Am 2. Juni wurde das System zu einem tropischen Sturm. Nach einer kurzen Phase, in der Andres normal in Richtung Nordwesten wanderte, geriet der Sturm in eine westliche Windströmung und wurde der erste benannte pazifische Wirbelsturm, der Mittelamerika bedrohte. Die Vorhersagen gingen von einer Überquerung der Landenge und der Fortsetzung des Zugweges von Andres in die Karibik aus, aber der Sturm drehte sich nach Südosten und wanderte parallel zur Küste. Dies war das erste Mal, dass ein Sturm einen solchen Weg genommen hatte. Schließlich nahm Andres wieder Kurs in nordöstlicher Richtung. Er schwächte sich zu einem tropischen Tiefdruckgebiet ab und am 7. Juni 1997 gelangte das System bei San Salvador, El Salvador über Land. Es löste sich danach auf. Die einzigen Personenschäden waren zwei Fischer, die als vermisst gemeldet wurden. Außerdem verursachte Andres Stromausfälle, Überflutungen, Verkehrsunfälle und Gebäudeschäden, vor allem in Nicaragua. Die höchste Niederschlagsmenge in Mexiko wurde von Mazatan mit 290 Millimetern gemeldet.[1] Auch in Nicaragua waren Schäden durch Andres zu verzeichnen.[2] Überschwemmungen infolge von Andres töteten in der Provinz Usulatan vier Personen.[3]
Tropischer Sturm Blanca
| Tropischer Sturm | |||
|---|---|---|---|
| |||
| Dauer | 9. Juni – 12. Juni | ||
| Intensität | 40 kn (75 km/h) (1-minütig), 1002 hPa | ||
Blanca war ein kurzlebiger tropischer Sturm. Am 9. Juni bildete sich das tropische Tiefdruckgebiet Zwei-E, das sich binnen sechs Stunden zu einem tropischen Sturm entwickelte. Es wanderte nordwestwärts und bedroht die Küste, sodass durch den nationalen mexikanischen Wetterdienst (Servicio Meteorológico Nacional) Warnungen ausgegeben wurden. Eine Hochdruckfront drängte Blanca allerdings von der Küste ab.
Obwohl der Sturm über warmes Wasser geriet, setzte sich der Trend zu einer Schwächung fort und Blanca wurde zu einem Tiefdruckgebiet zurückgestuft. Kurz darauf, am 12. Juni verlor Blanca seine Rotationsbewegung.[4] Blanca verursachte wesentliche Regenfälle, aber es wurden keine Personen- oder Sachschäden gemeldet.
Tropisches Tiefdruckgebiet Drei-E
| Tropisches Tiefdruckgebiet | |||
|---|---|---|---|
| |||
| Dauer | 21. Juni – 24. Juni | ||
| Intensität | 30 kn (55 km/h) (1-minütig), 1006 hPa | ||
Das tropische Tiefdruckgebiet Drei-E bildete sich am 21. Juni. Es wanderte schnell westwärts, ohne sich zu verstärken und löste sich früh am 24. Juni auf.[5]
Tropischer Sturm Carlos
| Tropischer Sturm | |||
|---|---|---|---|
| |||
| Dauer | 25. Juni – 28. Juni | ||
| Intensität | 45 kn (85 km/h) (1-minütig), 996 hPa | ||
Am 25. Juni driftete eine Tropische Welle vom Atlantik herein und wurde zunächst ein tropisches Tief und dann zum tropischen Sturm Carlos. Carlos geriet dann über kühleres Wasser und verlor seines Status schon nach einem Tag. Das Tiefdruckgebiet löste sich am 28. Juni endgültig auf. Mit Ausnahme der Socorro-Insel, in deren Nähe Carlos vorüberzog, hat das System niemals Land gefährdet.[6]
Tropisches Tiefdruckgebiet Fünf-E
| Tropisches Tiefdruckgebiet | |||
|---|---|---|---|
| |||
| Dauer | 29. Juni – 4. Juli | ||
| Intensität | 30 kn (55 km/h) (1-minütig), 1004 hPa | ||
Am 29. Juni gegen Mittag entstand das tropische Tiefdruckgebiet Fünf-E, das auf einem herumirrenden Kurs westwärts zog. Nachdem sich die Vorwärtsgeschwindigkeit verringert hatte, löste sich das System am 4. Juli auf.[7]
Hurrikan Dolores
| Kategorie-1-Hurrikan | |||
|---|---|---|---|
| |||
| Dauer | 5. Juli – 12. Juli | ||
| Intensität | 80 kn (150 km/h) (1-minütig), 975 hPa | ||
Dolores entstand aus der tropischen Depression Sechs-E, die sich am 5. Juli bildete und erreichte den Status eines tropischen Sturms am darauffolgenden Tag. Auf dem Weg nach Westen wurde Dolores am 7. Juli zum ersten Hurrikan des Jahres. Seinen Höhepunkt erreichte Dolores mit Windgeschwindigkeiten von 80 Knoten (150 Kilometer pro Stunde). Dolores wurde dann der erste Hurrikan innerhalb von zwei Jahren, der über den 125. westlichen Längengrad hinaus zog. Dann verlor Dolores an Stärke. Am 11. Juli war Dolores nur noch ein tropisches Tiefdruckgebiet und am nächsten Tag löste sich das System auf. Dolores hatte zu keiner Zeit Land gefährdet.[8]
Hurrikan Enrique
| Kategorie-3-Hurrikan | |||
|---|---|---|---|
| |||
| Dauer | 12. Juli – 16. Juli | ||
| Intensität | 100 kn (185 km/h) (1-minütig), 960 hPa | ||
Enrique war der erste schwere Hurrikan der Saison. Er entstand am 12. Juli, als sich ein tropisches Tiefdruckgebiet bildete, dass zwölf Stunden später zu einem tropischen Sturm wurde und am 13. Juli zu einem Hurrikan aufgestuft wurde. Seinen Höhepunkt erreichte Enrique am 14. Juli mit Windgeschwindigkeiten von 100 Knoten (190 Kilometer pro Stunde) und einem Luftdruck von 960 hPa. Danach wurde der Wirbelsturm, der nie Land gefährdete, schwächer und löste sich über kälterem Wasser am 16. Juli auf.[9]
Hurrikan Felicia
| Kategorie-4-Hurrikan | |||
|---|---|---|---|
| |||
| Dauer | 14. Juli – 22. Juli | ||
| Intensität | 115 kn (215 km/h) (1-minütig), 948 hPa | ||
Das tropische Tief Acht-E bildete sich am 12. Juli 1997 südlich der mexikanischen Hafenstadt Manzanillo. Seine Entwicklung wurde durch eine Windscherung als Folge der räumlichen Nähe zu Hurrikan Enrique verzögert. Am späten 15. Juli wurde das Tief zu einem tropischen Sturm und bewegte sich in Richtung West-Nord-West. Am 17. Juli wurde der Sturm zu einem Hurrican, aber erneut durch eine Windscherung in seiner Entwicklung gebremst. Nachdem diese sich aufgelöst hatte, erreichte Felicia Windgeschwindigkeiten von bis zu 115 Knoten (215 Kilometer pro Stunde) und der Luftdruck fiel auf 948 hPa. Damit wurde Felicia der zweite größere Hurrikan der Saison und erreichte Kategorie 4. Kurz nachdem Felicia den 140. westlichen Längengrad überquert hatte, wurde das System zu einem tropischen Sturm zurückgestuft. Als Felicia sich am 22. Juli 1997 auflöste, hatte das System keinerlei Landgebiete gefährdet.[10]
Tropisches Tiefdruckgebiet Eins-C
| Tropisches Tiefdruckgebiet | |||
|---|---|---|---|
| |||
| Dauer | 26. Juli – 27. Juli | ||
| Intensität | 25 kn (45 km/h) (1-minütig), 1007 hPa | ||
Das Tropische Tiefdruckgebiet Eins-C bildete sich am 26. Juli aus einer Störung, die bereits drei Tage lang Anzeichen für eine Entwicklung aufwies. Das System wanderte in westsüdwestlicher Richtung durch eine ungünstige Umgebung und wurde am Morgen des 27. Juli durch Windscherung eines Höhentroges zerstört.[11]
Hurrikan Guillermo
| Kategorie-5-Hurrikan | |||
|---|---|---|---|
| |||
| Dauer | 30. Juli – 15. August | ||
| Intensität | 140 kn (260 km/h) (1-minütig), 919 hPa | ||
- → Hauptartikel: Hurrikan Guillermo (1997)
Eine tropische Welle, die über den Atlantik gedriftet war, gelangte am 27. Juli in den Pazifikraum. Sie formierte sich am 30. Juli zum tropischen Tief und erhielt am nächsten Tag den Status als tropischer Sturm mit dem Namen Guillermo. Der Sturm entwickelte sich schnell und wurde am 1. August zum Hurrikan heraufgestuft. Der Hurrikan verstärkte sich und erreichte Kategorie 4 am 3. August. Nach einer vorübergehenden leichten Abschwächung gewann Guillermo wieder an Kraft und wurde am 4. August zu einem Hurrikan der Kategorie 5 und erreichte Windgeschwindigkeiten von 140 Knoten (260 Kilometer pro Stunde). Der niedrigste Luftdruck wurde mit 919 hPa gemessen.[12]
Danach schwächte sich der Hurrikan kontinuierlich ab und wurde am 8. August zu einem tropischen Sturm zurückgestuft. Er überquerte den 140. westlichen Längengrad. Er schwächte sich am 10. August zu einem tropischen Tief ab, geriet aber dann nochmal über wärmeres Gewässer und wurde erneut zu einem tropischen Sturm. Am 15. August schwächte sich Guillermo erneut und endgültig ab und verlor seine tropischen Eigenschaften früh am darauffolgenden Tag.
Die Überbleibsel des Systems wanderten über den nördlichen Pazifik und wurden bis zu einem Punkt etwa 500 Seemeilen westlich von Vancouver Island verfolgt, wo sie dann für einige Tage bewegungslos blieben, bevor das Tief in eine südliche Strömung geriet und letztlich am 24. August vor der Küste Kaliforniens von einer subtropischen zyklonischen Windströmung absorbiert wurde.[12]
Tropischer Sturm Hilda
| Tropischer Sturm | |||
|---|---|---|---|
| |||
| Dauer | 10. August – 15. August | ||
| Intensität | 45 kn (85 km/h) (1-minütig), 1000 hPa | ||
Das tropische Tief Zehn-E bildete sich am 10. August 1997 und wurde am nächsten Tag ein tropischer Sturm. Eine Windscherung jedoch schwächte Hilda. Der Sturm wurde am 14. August wieder zum Tief abgestuft und löste sich am 15. August auf, ohne jemals Land gefährdet zu haben.[13]
Tropischer Sturm Ignacio
| Tropischer Sturm | |||
|---|---|---|---|
| |||
| Dauer | 17. August – 19. August | ||
| Intensität | 35 kn (65 km/h) (1-minütig), 1005 hPa | ||
Der tropische Sturm Ignacio entwickelte sich innerhalb von zwölf Stunden aus einem am 17. August 1997 entstandenen tropischen Tief. Der Ort, an welchem sich Ignacio zu einem Zyklon entwickelte, lag nördlicher und westlicher als in den meisten anderen Fällen.[14] Eine stetige Windströmung trieb Ignacio nordwärts, wo der Wirbelsturm mit abflauenden Winden und kälterem Wasser konfrontiert wurde. Am 19. August verlor Ignacio seine wirbelsturmspezifischen Eigenschaften. Die Reste des Systems bewegten sich nach Norden und verursachten an der kalifornischen Küste heftige böige Winde, bevor sie sich völlig auflösten und von demselben Windsystem absorbiert wurden, das auch schon die Überbleibsel von Hurrikan Guillermo absorbiert hatte.[15] Ignacio verursachte starke Regenfälle an der amerikanischen Westküste, bis hinauf nach Washington.[16]
Hurrikan Jimena
| Kategorie-4-Hurrikan | |||
|---|---|---|---|
| |||
| Dauer | 25. August – 30. August | ||
| Intensität | 120 kn (220 km/h) (1-minütig), 942 hPa | ||
Der nächste Hurrikan, Jimena, entwickelte sich ebenso schnell, wie er sich auflöste. Das tropische Tief Zwölf-E bildete sich am 25. August und wurde am Tag darauf zu einem tropischen Wirbelsturm. Am 27. August war aus dem Sturm ein Hurrikan geworden. Die Windgeschwindigkeiten wuchsen innerhalb von 12 bis 15 Stunden von 65 auf 115 Knoten (120 auf 215 Kilometer pro Stunde). Der Hurrikan erreichte mit 120 Knoten seinen Höhepunkt und wanderte Richtung Nordwesten. Er traf mit einer Gegenströmung in der Höhe zusammen, was die Windgeschwindigkeiten binnen eines Tages von 115 auf 30 Knoten reduzierte. Jimena löste sich, kurz nachdem er in den Zentralpazifik gewandert war, am 30. August vollständig auf, ohne eine Gefahr für Land gewesen zu sein.[17]
Tropischer Sturm Oliwa
| Tropischer Sturm | |||
|---|---|---|---|
| |||
| Dauer | 2. September – 12. September | ||
| Intensität | 35 kn (65 km/h) (1-minütig), 1004 hPa | ||
Supertaifun Oliwas Weg durch den Pazifik begann als eine tropische Störung, die südlich des Johnston-Atolls herumdümpelte und dann am 2. September 1997 das tropische Tief Zwei-C bildete. Zwei-C wurde später an diesem Tage zum Tropischen Sturm Oliwa (hawaiisch für Oliver) und wanderte langsam Richtung Westen. Am späten 3. September 1997 driftete das System über die Datumsgrenze.[18] Da im pazifischen Becken die Stürme nicht beim Überschreiten der Gebietsgrenzen umbenannt werden, behielt Oliwa seinen Namen.[11]
Oliwa zog am 6. September an Wake vorbei, wo er zwar heftigen Regen, aber keine Schäden verursachte. Am 7. September begann die Phase einer schnellen Stärkung; am 8. September wurde Oliwa ein Taifun und acht Stunden später bereits ein Supertaifun. Für weitere zwei Tage blieb Oliwa ein Sturm der Kategorie 5. Oliwa passierte die Nördlichen Marianen, begann aber dann, sich abzuschwächen. Oliwa erreichte zwar am 16. September noch als Taifun das japanische Festland, löste sich jedoch am selben Tage auf. Oliwa verursachte in Japan Sach- und Personenschäden.[19]
Tropischer Sturm Kevin
| Tropischer Sturm | |||
|---|---|---|---|
| |||
| Dauer | 3. September – 7. September | ||
| Intensität | 50 kn (95 km/h) (1-minütig), 994 hPa | ||
Kevin war ein kurzlebiger Sturm, der aus einem aus dem atlantischen Becken stammenden Tiefdruckgebiet entstanden ist. Am Morgen des 4. September wurde Kevin zum tropischen Sturm, aber die Bedingungen für die Bildung eines stärkeren Wirbelsturmes waren ungünstig und zwei Tage später schwächte sich Kevin zu einem Tief ab, das sich am 7. September 1997 auflöste, ohne jemals Land gefährdet zu haben.[20]
Hurrikan Linda
| Kategorie-5-Hurrikan | |||
|---|---|---|---|
| |||
| Dauer | 9. September – 17. September | ||
| Intensität | 160 kn (295 km/h) (1-minütig), 902 hPa | ||
- → Hauptartikel: Hurrikan Linda (1997)
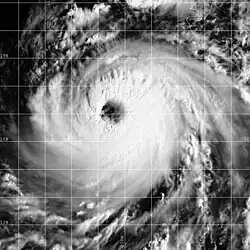
Hurrikan Linda war der stärkste jemals beobachtete Hurrikan im Ostpazifik und erreichte am 12. September seinen Höhepunkt. Die Windgeschwindigkeit betrug 160 Knoten (300 Kilometer pro Stunde) und der tiefste gemessene Luftdruck betrug 902 hPa.
Mit Ausnahme der Socorroinsel war von dem Sturm kein Land betroffen, obwohl frühe Vorhersagen angenommen hatten, dass Linda die Küste Kaliforniens erreichen würde. Das System wendete sich aber westwärts und löste sich weit draußen auf See am 17. September 1997 auf.[21]
Tropischer Sturm Marty
| Tropischer Sturm | |||
|---|---|---|---|
| |||
| Dauer | 12. September – 16. September | ||
| Intensität | 40 kn (75 km/h) (1-minütig), 1002 hPa | ||
Marty war ein schwacher und kurzlebiger tropischer Zyklon. Zwei tropische Wellen verursachten eine Wetterstörung, aus der spät am 12. September das tropische Tief Fünfzehn-E entstand. Das System bewegte sich in Richtung Westen und wurde am 14. September zum tropischen Sturm Marty aufgestuft. Die Vorwärtsgeschwindigkeit von Marty nahm jedoch immer weiter ab und nachdem der Sturm nach Süden abgebogen war und dort auf ungünstige Bedingungen gestoßen war, hörte das System am späten 16. September zu existieren auf.[22]
Hurrikan Nora
| Kategorie-4-Hurrikan | |||
|---|---|---|---|
| |||
| Dauer | 16. September – 26. September | ||
| Intensität | 115 kn (215 km/h) (1-minütig), 950 hPa | ||
- → Hauptartikel: Hurrikan Nora (1997)
Hurrikan Nora war der erste pazifische Hurrikan, der seit Hurrikan Kathleen (1976) sturmstarke Winde auf das US-amerikanische Festland brachte.[23] Eine tropische Welle hatte sich am 16. September in das tropische Tief Sechzehn-E organisiert und schnell steigerte sich die Stärke des Systems, bis Nora als ein Hurrikan der Kategorie 4 den Höhepunkt erreichte.
Nora zog dann nordwärts und beschleunigte. Nachdem Nora sich zu einem Kategorie-1-Hurrikan abgeschwächt hatte, erreichte der Sturm im Norden der Baja California das Festland. Nora blieb ein tropischer Sturm, als das System die Vereinigten Staaten erreichte. Das System löste sich über Arizona auf, aber die Ausläufer wanderten noch nach Norden.
Die Regenfälle waren stark und der Sachschaden summierte sich auf einige Hundert Millionen Dollar. Hunderte von Menschen wurden obdachlos und in Arizona kam es zu Sturmschäden und Überschwemmungen. In Mexiko tötete Nora zwei Personen und in Kalifornien wurden mehrere indirekte Todesfälle verursacht.[24]
Tropischer Sturm Olaf
| Tropischer Sturm | |||
|---|---|---|---|
| |||
| Dauer | 26. September – 12. Oktober | ||
| Intensität | 60 kn (110 km/h) (1-minütig), 989 hPa | ||
Der tropische Sturm Olaf war ein schwacher, aber dauerhafter Sturm, der zweimal das Festland erreichte und einen irregulären Pfad einschlug. Zunächst bildete sich am 26. September ein tropisches Tief, das bereits bei der nächsten Warnung zu einem tropischen Sturm aufgestuft wurde. Der Wirbelsturm zog nach Norden, aber anstelle den Vorhersagen zufolge zu einem Hurrikan zu erstarken, schwächte sich Olaf ab. Am 29. September 1997 traf Olaf bei Salina Cruz in der Provinz Oaxaca zum ersten Mal auf die Küste. Olaf begann sich aufzulösen und seine Überreste wechselten die Richtung. Bei der späteren Nachanalyse stellte sich aber heraus, dass bei dieser Wanderung nach Westen Olaf die meiste Zeit ein tropisches Tief war. Die Reste Olafs formierten sich wieder zu einem Zyklon und begannen am 5. Oktober, beeinflusst durch Hurrikan Pauline in Richtung Südosten zu ziehen. Dann drehte Olaf in Richtung Norden ab und erreichte am 12. Oktober 1997 in der Nähe von Manzanillo als tropisches Tief das zweite Mal das Festland. Olaf zerfiel erneut und die Reste des Systems zogen wieder nach Westen auf die See, ohne dieses Mal sich zu regenerieren.
Olaf verursachte bei seinem ersten Auftreffen auf das Festland Schäden und Überflutungen in Mexiko und Guatemala, mehrere Personen wurden vermisst gemeldet.[25] Insgesamt werden in Mexiko, Guatemala und El Salvador 18 Tote Olaf zugeschrieben.[26]
Hurrikan Pauline
| Kategorie-4-Hurrikan | |||
|---|---|---|---|
| |||
| Dauer | 5. Oktober – 10. Oktober | ||
| Intensität | 115 kn (215 km/h) (1-minütig), 948 hPa | ||
- → Hauptartikel: Hurrikan Pauline (1997)
Das tropische Tief Achtzehn-E formierte sich am 5. Oktober. In einer günstigen Ausgangslage intensivierte sich der Sturm schnell zu einem Hurrikan der Kategorie 4. Die Einwirkungen des Festlandes schwächten Pauline allerdings ab und so erreichte der Hurrikan am 9. Oktober 1997 nur als Sturm der Kategorie 2 das Festland. Die Zuggeschwindigkeit beschleunigte sich beim Überqueren einer Bergkette in nordwestlicher Richtung, dadurch aber wurde die zyklische Bewegung des Hurrikans behindert und der Steigungsregen führte zu einem Feuchtigkeitsverlust. Pauline löste sich deswegen am 10. Oktober über Jalisco auf.[27]
Der Hurrikan Pauline war der Sturm, der die meisten Todesopfer der Saison verursachte. Erdrutsche und Überflutungen durch den starken Regen verursachte den Verlust von Menschenleben und machte Tausende obdachlos. Mindestens 230 Menschen (nach Angaben des mexikanischen Roten Kreuzes, die von mexikanischen Regierungsstellen bestritten wurden, über 400) wurden getötet. Unabhängig davon war Pauline der Hurrikan mit der höchen Opferzahl in Mexiko seit Hurrikan Liza im Jahre 1976. Der Hurrikan verursachte außerdem Sachschäden in Höhe von 7,5 Milliarden US-Dollar.[28]
Tropisches Tiefdruckgebiet Drei-C
| Tropisches Tiefdruckgebiet | |||
|---|---|---|---|
| |||
| Dauer | 6. Oktober – 7. Oktober | ||
| Intensität | 25 kn (45 km/h) (1-minütig) | ||
Das Tropische Tiefdruckgebiet Drei-C entstand, als sich am 6. Oktober eine tropische Störung besser organisierte. Das System wanderte langsam westwärts.[11]
Tropisches Tiefdruckgebiet Vier-C
| Tropisches Tiefdruckgebiet | |||
|---|---|---|---|
| |||
| Dauer | 30. Oktober – 31. Oktober | ||
| Intensität | 30 kn (55 km/h) (1-minütig), 1012 hPa | ||
Das Tropische Tiefdruckgebiet Vier-C entstand in der Nacht zum 30. Oktober unweit der Stelle, wo sich auch Eins-C gebildet hatte. Westwärts ziehend schwächte sich das System kontinuierlich ab, als es auf ausgedehnte trockene Luftmassen traf. Es löste sich am späten 31. Oktober auf.[11]
Hurrikan Rick
| Kategorie-2-Hurrikan | |||
|---|---|---|---|
| |||
| Dauer | 7. November – 10. November | ||
| Intensität | 85 kn (155 km/h) (1-minütig), 973 hPa | ||
Hurrikan Rick war der erste in einem November im Pazifik entstandene tropische Wirbelsturm seit der Hurrikansaison 1991. Am 7. November entstand eine tropische Depression, die nordwärts zog und am 8. November zu einem tropischen Sturm aufgestuft wurde. Daraus wurde am nächsten Tag ein Hurrikan, der seinen Gipfel bei 80 Knoten und 973 hPa erreichte. Rick erreichte das Festland in Oaxaca – dieselbe Region, die einen Monat zuvor von Hurrikan Pauline verwüstet worden war. Über Land löste sich der Hurrikan am frühen 11. November auf.
Der Hurrikan entwurzelte Bäume und spülte kürzlich instandgesetzte Straßen weg, und etwa 300 Millimeter Niederschlag wurden aus Astata/San Pedro Huameluca gemeldet,[29] aber es wurden keine Personen getötet.
Rick ist einer von nur sieben bekannten Hurrikanen, die sich im Pazifik östlich der Datumsgrenze in einem November gebildet haben. Die anderen sind Nina, Ruby, Iwa, Winnie, Nora und Sergio.[30]
Tropischer Sturm Paka
| Tropischer Sturm | |||
|---|---|---|---|
| |||
| Dauer | 2. Dezember – 6. Dezember | ||
| Intensität | 55 kn (100 km/h) (1-minütig), 992 hPa | ||
- → Hauptartikel: Taifun Paka
Das tropische Tief Fünf-C bildete sich am 2. Dezember, zwei Tage nach dem offiziellen Ende der Hurrikansaison. Es war das zweite tropische Tief überhaupt, das sich im Pazifik östlich der Datumsgrenze in einem Dezember gebildet hatte (Der andere Fall war Hurrikan Winnie 1983). Die Formation verstärkte sich westlich des Palmyra-Atolls und wurde Paka genannt (hawaiisch für Pat). Das System begann, in Richtung Westen zu ziehen.[31] Trockene Winde und Windscherungen störten seine Entwicklung bis jenseits der Datumsgrenze am 6. Dezember.[11]
Nachdem das System den westlichen Pazifik erreicht hatte, geriet es in günstigere Bedingungen und intensivierte sich schnell. Am 10. Dezember wurde Paka zum Taifun und erreicht bei Kwajalein Windgeschwindigkeiten von 100 Knoten.[31] Der Sturm wurde nochmals stärker und erreichte zweimal Kategorie 5. Paka passierte Guam als ein Taifun der Kategorie 4 am 17. Dezember und verursachte dort größere Sachschäden. Anschließend geriet Paka in ungünstige Bedingungen und löste sich bis zum Abend des 22. Dezembers völlig auf.[32]
Saisonübersicht

Die Saison begann mit der Formierung des tropischen Tiefs Eins-E am 1. Juni 1997 und endete mit der Auflösung des tropischen Tiefs Paka am 22. Dezember 1997. (Man kann allerdings auch den 6. Dezember als das Ende der Saison ansehen, da an diesem Tag der tropische Sturm Paka die Datumsgrenze überquerte und somit Bestandteil der pazifischen Taifunsaison 1997 wurde.) Im Mai hatten sich keine benannten Stürme gebildet, im Juni drei, im Juli vier, ebenfalls vier im August, fünf im September, einer im Oktober und einer im November. Ziemlich ungewöhnlich war die Bildung eines tropischen Sturmes im Dezember. Das zuvor einzige andere Mal, dass dies im Pazifik im Zeitalter der Wettersatelliten geschah, war im Jahre 1983.
In dieser Tabelle sind nur Stürme aufgeführt, die das Festland getroffen haben. Die Farbe hinter der betroffenen Region (der Ort, an dem der Sturm das Festland erreichte oder wo er nahe vorbeigezogen ist) verdeutlicht die Sturmstärke zu diesem Zeitpunkt. Die Tabelle enthält nicht die Socorroinseln, da für diese keine Sturmwarnungen ausgegeben werden.
| Name | Datum | Betroffene Region | Todesopfer | Kosten |
|---|---|---|---|---|
| Andres | 7. Juni | San Salvador, El Salvador | 2 | unbekannt |
| Blanca | 10. Juni | Puerto Angel | 0 | minimal |
| Nora | 25. September | Punta Eugenia; San Fernando | 6–7 | etwa 100 Millionen $ (1997) |
| Olaf | 29. September | Salina Cruz | mehrere | unbekannt |
| Pauline | 9. Oktober | bei Puerto Escondido | 230–400 | 7,5 Milliarden $ (1997) |
| Rick | 10. November | bei Puerto Escondido | 0 | unbekannt |
Oliwa und Paka haben östlich der Datumsgrenze keine Schäden an Land verursacht und sind deswegen nicht aufgeführt. Allerdings zog Oliwa an Agrihan vorbei und erreichte in Japan als ein Taifun der Kategorie 1 das Festland. Dabei entstanden nennenswerte Sachschäden und der Taifun verursachte den Tod von sieben Personen. Paka erreichte zwar kein Land, aber der südliche Rand seines Auges zog über Guam hinweg, wo Paka als Wirbelsturm der Kategorie 4 erhebliche Sachschäden anrichtete.
Alles in allem war die pazifische Hurrikansaison 1997 die mit den meisten Todesopfern seit 1982 und auch die mit den bis dahin höchsten Sachschäden. Diese Position hatte zuvor die pazifische Hurrikansaison 1992 gehalten.
Accumulated Cyclone Energy
| ACE (104kt2) – | |||||||
|---|---|---|---|---|---|---|---|
| 1 | Guillermo | 37.0 (2.97) | 11 | Olaf | 2.44 | ||
| 2 | Linda | 28.6 | 12 | Andres | 2.39 | ||
| 3 | Nora | 23.4 | 13 | Hilda | 1.74 | ||
| 4 | Felicia | 16.2 (0.665) | 14 | Kevin | 1.56 | ||
| 5 | Jimena | 11.8 | 15 | Blanca | 1.13 | ||
| 6 | Pauline | 11.3 | 16 | Carlos | 0.970 | ||
| 7 | Dolores | 8.36 | 17 | Marty | 0.858 | ||
| 8 | Enrique | 7.88 | 18 | Oliwa | (0.810) | ||
| 9 | Rick | 3.46 | 19 | Ignacio | 0.378 | ||
| 10 | Paka | (3.45) | |||||
| Gesamt: 160 (7.89) | |||||||
Die Accumulated Cyclone Energy (ACE), deutsch etwa "aufgelaufene zyklonische Energie" ist eine Kennzahl, die Aufschluss darüber gibt, wie aktiv eine Hurrikansaison gewesen ist. Sie wird durch die Summierung der Quadratzahlen der Windgeschwindigkeiten von tropischen Winden im Abstand von sechs Stunden errechnet (sofern diese mindestens die Stärke eines tropischen Wirbelsturmes erreichten) und anschließender Division der Summe durch 104. Dies erklärt, warum beispielsweise Guillermo einen höheren ACE-Wert als Linda ausweist. Guillermo war zwar in der Maximalstärke schwächer als Linda, aber länger als ein tropischer Sturm klassifiziert. Der ACE-Wert für den östlichen Pazifik wird immer auf drei Stellen angegeben; der Wert für den mittleren Pazifik in Klammern.
Die ACE-Werte für Oliwa und Paka beinhalten nur die Werte für den Sturmverlauf östlich der Datumsgrenze. Die Werte westlich der Datumsgrenze sind bei den Berechnungen für die pazifische Taifunsaison 1997 berücksichtigt.
Das National Hurricane Center (NHC) nimmt mit der ACE-Kennzahl die Beurteilung vor, ob eine Hurrikansaison überdurchschnittlich, durchschnittlich oder unterdurchschnittlich aktiv war. Das NHC definiert als unterdurchschnittlich einen ACE von weniger als 95. Überdurchschnittlich gilt eine Saison mit einem ACE höher als 150, falls mindestens zwei der drei folgenden Bedingungen erfüllt sind: die Zahl der tropischen Stürme liegt über 15, die Zahl der Hurrikane ist höher als 9 oder mindestens vier Hurrikane erreichten mindestens die Stärke eines schweren Hurrikans, das heißt Kategorie 3 und höher. Als fast durchschnittlich wird eine Saison bezeichnet, deren ACE zwischen 100 und 150 liegt, oder deren ACE über 150 liegt, falls höchstens eine der vorher genannten Bedingungen erfüllt ist.[33]
Für die pazifische Hurrikansaison 1997 wurde ein ACE von 160 ermittelt und die Zählung der Stürme ergibt 17 tropische Stürme, 9 Hurrikane, davon 7 schwere Hurrikane. Die Saison ist damit als überdurchschnittlich klassifiziert. Derzeit (nach dem Ende der pazifischen Hurrikansaison 2006) ist die Saison die letzte überdurchschnittliche pazifische Hurrikansaison.[34]
Sturmnamen 1997
Für die Namensgebung der Stürme wurde dieselbe Liste verwendet, die während der Hurrikansaison 1991 verwendet wurde, mit Ausnahme des Namens Felicia, der 1997 erstmals vergeben wurde und Fefa ersetzt hatte. Außerdem war 1991 „Dolores“ als „Delores“ falschgeschrieben worden[35]. Die folgenden Namen wurden für Stürme verwendet, die sich während der pazifischen Hurrikansaison 1997 gebildet hatten:
- Andres, Blanca, Carlos, Dolores, Enrique, Felicia, Guillermo, Hilda, Ignacio, Jimena, Kevin, Linda, Marty, Nora, Olaf, Pauline
Nicht mehr zur Anwendung kamen:
- Sandra, Terry, Vivian, Waldo, Xina, York, Zelda
Diese Liste kam in der Hurrikansaison 2003 wieder zur Anwendung, mit Ausnahme des Namens Pauline, der durch Patricia ersetzt wurde.
Außerdem wurden zwei Namen von der Liste für den mittleren Pazifik verwendet, Oliwa und Paka. Beide Namen wurden erstmals verwendet; Paka wurde im Jahr 2006 nachträglich noch gestrichen[36] und durch Pama ersetzt.[37]
Einzelnachweise
- ↑ Hydrometeorological Prediction Center (2007). Tropical Storm Andres Storm Total Rainfall Image ( vom 4. Oktober 2008 im Internet Archive), abgerufen am 22. April 2007
- ↑ Edward Rappaport: Preliminary Report Tropical Storm Andres. National Hurricane Center, 18. Juni 1997, abgerufen am 22. April 2007 (englisch).
- ↑ Dartmouth Flood Observatory: 1997 flood archive. Archiviert vom am 6. September 2009; abgerufen am 22. April 2007 (englisch). Info: Der Archivlink wurde automatisch eingesetzt und noch nicht geprüft. Bitte prüfe Original- und Archivlink gemäß Anleitung und entferne dann diesen Hinweis.
- ↑ Lixion Avila: Preliminary Report Tropical Storm Blanca. National Hurricane Center, 19. Juni 1997, abgerufen am 22. April 2007 (englisch).
- ↑ Miles Lawrence: Preliminary Report Tropical Depression Three-E. National Hurricane Center, 24. Juni 1997, abgerufen am 1. Dezember 2008 (englisch).
- ↑ Max Mayfield: Preliminary Report Tropical Storm Carlos. National Hurricane Center, 10. August 1997, abgerufen am 24. Oktober 2005 (englisch).
- ↑ Richard Pasch: Preliminary Report Tropical Depression Five-E. National Hurricane Center, 7. Juli 1997, abgerufen am 1. Dezember 2008 (englisch).
- ↑ Edward Rappaport: Preliminary Report Hurricane Dolores. National Hurricane Center, 19. August 1997, archiviert vom am 25. September 2005; abgerufen am 24. Oktober 2005 (englisch).
- ↑ Lixion Avila: Preliminary Report Hurricane Enrique. National Hurricane Center, 15. August 1997, abgerufen am 24. Oktober 2005 (englisch).
- ↑ Miles Lawrence: Preliminary Report Hurricane Felicia. National Hurricane Center, 23. August 1997, abgerufen am 24. Oktober 2005 (englisch).
- ↑ a b c d e Benjamin C. Hablutzel, Hans E. Rosendal, James C. Weyman, & Jonathan D. Hoag: The 1997 Central Pacific Tropical Cyclone Season. Central Pacific Hurricane Center, abgerufen am 21. April 2007 (englisch).
- ↑ a b Max Mayfield: Preliminary Report Hurricane Guillermo. National Hurricane Center, 2. Oktober 1997, abgerufen am 22. April 2007 (englisch).
- ↑ Richard Pasch: Preliminary Report Tropical Storm Hilda. National Hurricane Center, 12. Dezember 1997, abgerufen am 24. Oktober 2005 (englisch).
- ↑ Edward Rappaport: Preliminary Report Tropical Storm Ignacio. National Hurricane Center, 27. August 1997, abgerufen am 22. April 2007 (englisch).
- ↑ Jack Williams: California's Tropical Cyclones, USA Today, 17. Mai 2005. Abgerufen am 22. April 2007 (englisch).
- ↑ David M. Roth: Tropical Cyclone Rainfall Maxima per State. Hydrometeorological Prediction Center, archiviert vom am 2. April 2007; abgerufen am 22. April 2007 (englisch).
- ↑ Lixion Avila: Preliminary Report Hurricane Jimena. National Hurricane Center, 16. September 1997, abgerufen am 25. Juni 2012 (englisch).
- ↑ Data for Super Typhoon Oliwa. Unisys, archiviert vom am 10. Juni 2007; abgerufen am 22. April 2007 (englisch).
- ↑ Miles Lawrence: Preliminary Report Tropical Storm Kevin. National Hurricane Center, 4. November 1997, abgerufen am 22. April 2007 (englisch).
- ↑ Max Mayfield: Preliminary Report Hurricane Linda. National Hurricane Center, 25. Oktober 1997, abgerufen am 22. November 2007 (englisch).
- ↑ Richard Pasch: Preliminary Report Tropical Storm Marty. National Hurricane Center, 12. Dezember 1997, abgerufen am 24. Oktober 2005 (englisch).
- ↑ Chris Landsea & Michael Chenoweth: The San Diego Hurricane of 2 October 1858. (PDF; 294 kB) In: Bulletin of the American Meteorological Society. November 2004, S. 1689, abgerufen am 22. April 2007 (englisch).
- ↑ Edward Rappaport: Preliminary Report Hurricane Nora. National Hurricane Center, 30. Oktober 1997, ehemals im (nicht mehr online verfügbar); abgerufen am 22. April 2007 (englisch). (Seite nicht mehr abrufbar. Suche in Webarchiven)
- ↑ Lixion Avila: Preliminary Report Tropical Storm Olaf. National Hurricane Center, 5. November 1997, abgerufen am 22. April 2007 (englisch).
- ↑ 'Dangerous' Hurricane Pauline to hit southwest Mexico, CNN, 8. Oktober 1997. Abgerufen am 22. April 2007 (englisch).
- ↑ Miles Lawrence: Preliminary Report Hurricane Pauline. National Hurricane Center, 7. November 1997, archiviert vom am 25. September 2005; abgerufen am 24. Oktober 2005 (englisch). Info: Der Archivlink wurde automatisch eingesetzt und noch nicht geprüft. Bitte prüfe Original- und Archivlink gemäß Anleitung und entferne dann diesen Hinweis.
- ↑ Estadísticas sobre los Riesgos a atenuar de Fenómenos Perturbadores ( vom 27. September 2007 im Internet Archive)
- ↑ David M. Roth: Hurricane Rick Storm Total Rainfall Graphic. (GIF) Hydrometeorological Prediction Center, archiviert vom am 4. Oktober 2008; abgerufen am 22. April 2007 (englisch).
- ↑ Max Mayfield: Preliminary Report Hurricane Rick. National Hurricane Center, 23. November 1997, abgerufen am 22. April 2007 (englisch).
- ↑ a b Paka track map. (GIF) Unisys, archiviert vom am 10. Mai 2006; abgerufen am 24. Oktober 2005 (englisch).
- ↑ Super Typhoon Paka (05C). (PDF) Joint Typhoon Warning Center, archiviert vom am 3. März 2009; abgerufen am 21. Februar 2006 (englisch).
- ↑ Climate Prediction Center: Background Information: East Pacific Hurricane Season. Abgerufen am 26. Oktober 2006 (englisch).
- ↑ Climate Prediction Center: East Pacific Hurricane Season Activity NOAA's Accumulated Cyclone Energy (ACE) Index. Abgerufen am 26. Oktober 2006 (englisch).
- ↑ Pacific hurricane name history. (TXT) Atlantic Tropical Weather Center, abgerufen am 16. Juli 2010 (englisch).
- ↑ Interdepartmental Hurricane Conference: The Nation’s Hurricane Program: An Interagency Success Story. (PDF; 1,6 MB) 2007, archiviert vom am 25. November 2014; abgerufen am 29. Dezember 2007 (englisch).
- ↑ Dennis H. McCarthy: National Weather Service Instruction Tropical Cyclone Names and Pronunciation Guide. (PDF; 67 kB) 2007, archiviert vom am 10. September 2008; abgerufen am 1. Dezember 2008 (englisch).
Weblinks
- Archiv des National Hurrican Centers (englisch)
- HPC 1997 Tropical Cyclone Rainfall Pages (englisch)
- Archiv des Central Pacific Hurricane Centers (englisch)
- Unisys-Website mit Karten der Hurrikan-Zugwege (englisch)
- Hintergrundinformation en zu ACE des östlichen Pazifikbeckens (englisch)



































