Rabocerus gabrieli
| Rabocerus gabrieli | ||||||||||||
|---|---|---|---|---|---|---|---|---|---|---|---|---|
Rabocerus gabrieli | ||||||||||||
| Systematik | ||||||||||||
| ||||||||||||
| Wissenschaftlicher Name | ||||||||||||
| Rabocerus gabrieli | ||||||||||||
| (Gerhardt, 1901) |
Rabocerus gabrieli (man findet auch die Schreibweise Rabdocerus gabrieli) ist ein Käfer aus der Familie der Scheinrüssler (Salpingidae) und der Unterfamilie der Salpinginae. Der Artname gabrieli ist eine Ehrung von Generalmajor Joseph Gabriel-Neisse, der sich über Koleopterologie mit dem Erstbeschreiber Julius Gerhardt häufig austauschte.[1] Ebenfalls nach Joseph Gabriel-Neisse wurde die Bockkäferart Lärchenbock (Tetropium gabrieli) benannt.
Merkmale
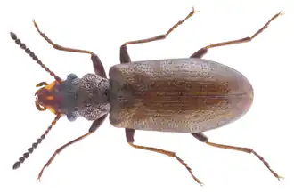
Die Käfer haben eine Länge von 3 bis 4 Millimeter. Die Oberfläche ist glänzend und hat einen Bronzeton, sie ist grob punktiert, die Schenkel der Beine sind Schwarz. Auf den Elytren (Flügeldecken) befinden sich die Punkte in Reihen angeordnet. Der Kopf hat die gleiche Breite wie der Halsschild, an den Seiten der Halsschildbasis befindet sich eine Furche. Die Fühler sind bei allen Scheinrüsslern elfgliedrig, bei Rabocerus gabrieli sind die äußeren sechs Glieder größer und dunkler als die inneren.
In der Unterfamilie Salpinginae gibt es vier weitere Käferarten. Vom ähnlich großen Rabocerus foveolatus (Ljungh, 1823) unterscheidet sich Rabocerus gabrieli unter anderem dadurch, dass bei R. foveolatus nur die äußeren fünf Fühlerglieder vergrößert sind.[2]
Scheinrüssler sind räuberisch, sie ernähren sich zum Beispiel von Borkenkäfern.[3] Larven von Rabocerus gabrieli wurden in Schweden in den Fraßgängen des Französischen Erlenborkenkäfers (Dryocoetes alni) gefunden.[4]
Verbreitung
Die Verbreitung der Käfer erstreckt sich auf Nord- und Mitteleuropa, dort aber nur vereinzelt und selten.
Die Larven entwickeln sich unter den Rinden von vor kurzem abgestorbenen Laubbäumen wie zum Beispiel Grau-Erle, Schwarz-Erle, Birken, Buchen und Eichen.[5]
Synonym
- Salpingus gabrieli, Gerhardt, 1901
- Sphaeriestes gabrieli, Gerhardt
Weblinks
- Steckbrief von Rabocerus gabrieli auf insektenbox.de
- Rabdocerus gabrieli bei Fauna Europaea. Archiviert vom Original im Internet Archive. Abgerufen am 15. April 2020
- Rabocerus gabrieli auf kaefer-der-welt.de (englisch)
Einzelnachweise
- ↑ J. Gerhardt: Eine neue Käferart. Erstbeschreibung in der Zeitschrift für Entomologie Breslau, 1901: 156. Biodiversity Heritage Library (PDF, 609 kB)
- ↑ Bestimmungstabelle für Käfer der Unterfamilie Salpinginae bei coleonet.de
- ↑ Fernando E. Vega, Richard W. Hofstetter (Hrsg.): Bark Beetles. Biology and Ecology of Native and Evasive Species. Elsevier, San Diego 2015, ISBN 978-0-12-417156-5. S. 254 (englisch)
- ↑ Rabocerus gabrieli auf baza.biomap.pl (polnisch)
- ↑ Rabocerus gabrieli auf artfakta.se (schwedisch)
.png)