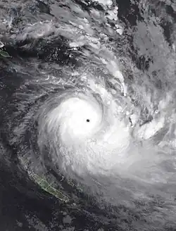
Zyklon Harold
| Kategorie-5-Zyklon (SSHWS) | ||
|---|---|---|
![]() | ||
| Entstehung | 1. April 2020 | |
| Auflösung | 11. April 2020 | |
| Spitzenwindgeschwindigkeit |
| |
| Niedrigster Luftdruck | 924 hPa (mbar) | |
| Tote | ≥30 | |
| Sachschäden | Unbekannt | |
| Betroffene Gebiete |
Salomonen, Vanuatu, Fidschi, Tonga | |



_chart.png)
Zyklon Harold war ein starker Zyklon, der im April 2020 Zerstörungen in Vanuatu, Fidschi, Tonga und auf den Salomonen verursacht hat.
Nachdem der Zyklon bereits auf den Salomonen schwere Schäden verursacht hatte, querte er Vanuatu und Fidschi. Vanuatu zählte zu dem Zeitpunkt zu den wenigen Ländern weltweit, die bisher noch keine Covid-19-Infektionen gemeldet hatten. Das erschwerte internationale Hilfsaktionen, da befürchtet wurde, damit das neuartige Virus einzuschleppen.[1]
Einzelnachweise
- ↑ Zyklon richtet schwere Verwüstungen in Vanuatu an, Wiener Zeitung vom 7. April 2020
