Zyklonsaison im Südwestindik 2006–2007

Zyklonsaison im Südwestindik 2006–2007
Alle Stürme der Saison
Alle Stürme der Saison
Bildung des
ersten Sturms
19. Oktober 2006
Auflösung des
letzten Sturms
13. April 2007
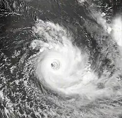
Stärkster Sturm Dora und Favio – 925 hPa (mbar),
105 kn (194 km/h) (10-minütig)
Tropische Tiefs 11
Zahl der Zyklone 10
Zahl der Zyklone 7
Opferzahl gesamt 172 (2 vermisst)
Gesamtschaden 266 Millionen $ (2007)
Südwestindik-Zyklonsaison
2004–2005, 2005–2006, 2006–2007, 2007–2008, 2008–2009

Die Zyklonsaison im Südwestindik 2006–2007 begann am 15. November 2006 und endete am 30. April 2007, mit Ausnahme von Mauritius und den Seychellen, wo sie erst am 15. Mai endete. Diese Daten begrenzen konventionell den Zeitraum des meteorologischen Jahres auf der Südhalbkugel, in dem sich die meisten tropischen Wirbelstürme in diesem Becken bilden. Der Verantwortungsbereich des Regional Specialized Meteorological Centre La Réunion liegt westlich des 90. Grades östlicher Länge und südlich des Äquators.

Durch das Joint Typhoon Warning Center (JTWC) in Honolulu werden für die US-amerikanischen Einrichtungen im Indischen Ozean eigenständige Warnungen und Prognosen ausgegeben. Durch das JTWC erfolgt die Einstufung nach der Saffir-Simpson-Hurrikan-Windskala, das RSMC wendet für die Einstufung eigene Kriterien an, denen unter anderem die Messung der andauernden Windgeschwindigkeit auf Basis einer zehnminütigen Beobachtung zugrunde liegt.

Intensitäten im Südwestindik
Kategorie Winde
Knoten m/s

Tropische Störung < 28 < 14,4
Tropische Depression 28–33 14,4–17
Mäßiger tropischer Sturm 34–47 17–24
Schwerer tropischer Storm 48–63 24–32,4
Tropischer Zyklon 64–89 32,4–45,8
Intensiver tropischer Zyklon 90–115 45,8–59,2
Sehr intensiver tropischer Zyklon > 115 > 59,2

Saisonvorhersagen

Am 13. Oktober 2006 veröffentlichte Mauritius Meteorological Services seine Saisonvorhersage für den südwestlichen Indik. Die Prognose ging für die Dauer der Saison von einer positiven El-Niño-Phase aus und folgerte deswegen, dass ein leicht überdurchschnittlicher Saisonverlauf wahrscheinlich sei.[1] Außerdem vorhersagte die Prognose eine schwache Quasi-Biennial Oscillation, wodurch die Bildung tropischer Stürme begünstigt wurde. Schließlich wies die Prognose darauf hin, dass die Aktivität auf der Nordhalbkugel 2006 leicht unterdurchschnittlich verlief, was zu einer leicht überdurchschnittlichen Aktivität im südwestlichen Indik beitragen könnte.[1] Einige regionale Indikatoren deuteten an, dass die benannten tropische Stürme nicht einen nur kurzen Verlauf haben würden. Die meisten anderen regionalen Indikatoren ließen einen normalen Saisonverlauf erwarten.[1] Deswegen ging die Saisonvorhersage von zehn benannten Stürmen aus, die sich zumeist westlich von Diego Garcia bilden würden, mindestens einer davon in der Straße von Mosambik.[1]

Stürme

Tropische Störung 01

Tropische Störung (MFR)
Dauer 19. Oktober – 23. Oktober
Intensität 20 kn (35 km/h) (10-minütig)

Am 19. Oktober wurde eine Zone gestörten Wetters, die bereits zwei Tage lang in Äquatornähe bestand, vom RSMC auf La Réunion zur ersten tropischen Störung der Saison erklärt. Während der folgenden drei Tage wurden keine regelmäßigen Warnungen ausgegeben, weil eine Entwicklung der Störung nicht erwartet wurde. Am 22. Oktober intensivierte sich das System allerdings und in Erwartung einer Vertiefung des Systems begann das RSMC mit vollwertigen Sturmwarnungen. Eine weitere Entwicklung erfolgte jedoch nicht, und am 23. Oktober gab das RSMC die letzte Warnung aus

Mäßiger Tropischer Sturm Anita

Moderater tropischer Sturm (MFR)
Tropischer Sturm
Dauer 26. November – 4. Dezember
Intensität 35 kn (65 km/h) (10-minütig), 996 hPa

Am 25. November bildete sich bei 5 °S und 55 °O Konvektion. Das System wurde am 26. November vom RSMC La Réunion als Zone gestörten Wetters klassifiziert und am 27. November um 12:00 Uhr UTC zur tropischen Störung erklärt. Das Joint Typhoon Warning Center stufte das System am 23. November als Zyklon ein. Das RSMC stufte die Störung am 1. Dezember zu einem mäßigen tropischen Sturm hoch, und das subregionale Tropical Cyclone Advisory Centre in Madagaskar vergab den Namen Anita, der auch von Madagaskar vorgeschlagen worden war.[2] Zunehmende Windscherung behinderte die Entwicklung, und Anita schaffte es nicht, sich nach Süden ziehend weiter zu intensivieren. Das RSMC La Réunion stufte Anita deswegen früh am 2. Dezember zu einer tropischen Störung zurück, und das JTWC stellte seine Warnungen zu dem Zeitpunkt ein. Anita schwächte sich weiter ab und das RSMC La Réunion gab früh am 3. Dezember seine letzte Warnung zu Anita aus.

Intensiver Tropischer Zyklon Bondo

Intensiver tropischer Zyklon (MFR)
Kategorie-4-Zyklon
Dauer 15. Dezember – 28. Dezember
Intensität 110 kn (205 km/h) (10-minütig), 930 hPa

Ein Gebiet mit Konvektion wurde am 15. Dezember westsüdwestlich von Diego Garcia entdeckt. Es zog nach Westen und organisierte sich etwas, sodass das JTWC einen Tropical Cyclone Forming Alert (TCFA) auslöste. Das System wurde am 17. Dezember von Météo-France als tropische Störung klassifiziert. Das JTWC stufte das System einen Tag später als tropische Zyklone ein und im Tagesverlauf stufte Météo-France die Störung zu einem mäßigen tropischen Sturm hoch. Vom Subregional Tropical Cyclone Advisory Centre in Mauritius erhielt der Sturm den Namen Bondo; diesen Namen hatte Malawi vorgeschlagen.[2] Nach einer raschen Phase der Intensivierung meldete Météo-France am 19. Dezember, dass sich Bondo zu einem schweren tropischen Sturm intensiviert habe. Nach einer rapiden Intensivierung stufte das RSMC unter Ignorierung der Regeln der Dvorak-Technik den Sturm zu einem tropischen Zyklon hoch. Das JTWC stellte zu dem Zeitpunkt fest, dass der Zyklon sich „mit einer stärkeren Rate als klimatologisch“ üblich intensivierte, was auf die radiale Ausströmung zurückzuführen sei. Die Meteorologen in Honolulu stuften den Sturm von einem starken tropischen Sturm um 03:00 Uhr UTC zu einem Kategorie-3-Zyklon um 15:00 Uhr UTC desselben Tages hoch. Das RSMC stufte Bondo später nach weiterer Vertiefung als intensiver tropischer Zyklon ein, der mit andauernden zehnminütigen Windgeschwindigkeiten von 110 Knoten (rund 205 km/h) und einem zentralen Luftdruck von 930 hPa seine größte Intensität erreichte.

Eine zyklische Eyewall-Neubildung leitete die Abschwächung des Wirbelsturms ein. Dieser zog weiter in südsüdwestlicher Richtung, durchquerte ein Gebiet mit niedriger vertikaler Windscherung und begann sich am 23. Dezember in der Nähe der Nordspitze Madagaskars zu reintensivieren. Der Sturm zog parallel zur Küste der Insel nach Süd-Südwesten und erreichte nach Angaben von Météo-France einen sekundären Höhepunkt mit einer andauernden Windgeschwindigkeit von 75 Knoten (rund 140 km/h), bevor der Sturm sich vor dem Überqueren der Küste erneut abschwächte. Nach Bondos Landfall um 12:15 Uhr UTC erklärte das JTWC in seiner nächsten Warnung um 18:00 Uhr UTC das System als aufgelöst, während Météo-France den Sturm als Depression im Landesinnern einstufte. Am 26. Dezember stellte Météo-France fest, dass sich das ursprüngliche Tiefdruckgebiet aufgelöst hatte und sich über dem Meer ein neues mit Bondo verbundenes Tiefdruckgebiet gebildet hatte. Im Tagesverlauf stellte das RSMC La Réunion dann die Warnungen zu Bondo ein.

Als Reaktion auf die Gefährdung durch Bondo wurden 35 der 43 Bewohner des zu den Seychellen gehörenden Farquhar-Atolls evakuiert; die acht verbleibenden Bewohner blieben in einem Bunker aus Beton vor Ort.[3] Auf der Insel Agalega fielen durch Bondo mindestens 275 mm Niederschlag.[4] Auf Madagaskar töteten die Auswirkungen des Sturmes elf Personen, und eine weitere wurde nicht mehr aufgefunden. Rund 20.000 Bewohner des Inselstaates wurden durch Bondo obdachlos.[5]

Tropische Störung 04

Tropische Störung (MFR)
Dauer 22. December – 28. December
Intensität 20 kn (35 km/h) (10-minütig)

Eine Zone mit lebhafter Konvektion entwickelte sich am 22. Dezember nordwestlich von Diego Garcia. Diese wurde von den Meteorologen in Mauritius in deren Hochseewetterbericht am 25. Dezember um 0:00 Uhr UTC als tropische Störung bezeichnet, und im Tagesverlauf klassifizierte das Météo-France Le Réunion das System als Zone perturbée 04. Am nächsten Tag hatte sich 04R, das in Richtung Madagaskar zog, ausreichend organisiert, um offiziell als tropische Störung klassifiziert zu werden. Am 28. Dezember stufte das RSMC das System zu einer Zone gestörten Wetters ab und beendete die Ausgabe von Warnungen zu 04R.

Schwerer Tropischer Sturm Clovis

Schwerer tropischer Sturm (MFR)
Kategorie-1-Zyklon
Dauer 29. Dezember – 4. Januar
Intensität 62 kn (115 km/h) (10-minütig), 978 hPa

Am 29. Dezember begann Météo-France mit der Ausgabe unregelmäßiger Bulletins zu einer neuen Zone gestörten Wetters, ostsüdöstlich der Position, in der 04R zuletzt beobachtet wurde. Das Joint Typhoon Warning Center hatte bereits am 27. Dezember einen TCFA ausgegeben, doch Météo-France sagte am 29. Dezember, dass sich das bodennahe Zirkulationszentrum von 04R aufgelöst habe. Während der Nacht zum 29. Dezember bildeten sich mehrere kurzlebige Wirbel, und schließlich entstand um das Zentrum des Systems eine neue Zirkulation, was eine neue Nummer gerechtfertigt habe. Das System organisierte sich am 30. Dezember mehr und wurde als tropische Störung eingestuft. Um 12:00 Uhr UTC am 31. Dezember wurden 05R zum Mäßigen Tropischen Sturm Clovis hochgestuft. Der Name Clovis war ein Vorschlag von Mauritius.[2] Drei Stunden später meldete das RSMC Le Réunion, dass Clovis andauernde Windgeschwindigkeiten von 50 Knoten (95 km/h) und einen minimalen Luftdruck von 987 hPa aufweise und stufte den Sturm zu einem scheren tropischen Sturm hoch. Clovis passierte gegen 17:00 Uhr UTC am 31. Dezember in einer Entfernung von etwa 20 km die Île Tromelin, wobei eine Windgeschwindigkeit von 100 km/h und in Böen 130 km/h gemessen wurden. Am 3. Januar gelangte das System über Land, und einen Tag später löste es sich auf. Vier Personen kamen durch die Auswirkungen des Sturmes um, und zwei weitere wurden vermisst. Der Sturm machte 13.465 Bewohner Madagaskars obdachlos.[5]

Tropische Störung 06

Tropische Störung (MFR)
Dauer 5. Januar – 8. Januar
Intensität 20 kn (35 km/h) (10-minütig)

Am 5. Januar bildete sich ein Wolkencluster an der Westküste Madagaskars. Dieses entwickelte sich nach Ansicht von Météo-France am 8. Januar zur sechsten tropischen Störung der Saison, doch im Tagesverlauf stellte das RSMC die Warnungen ein, weil keine weitere Entwicklung erwartet wurde.

Intensiver Tropischer Zyklon Dora

Intensiver tropischer Zyklon (MFR)
Kategorie-4-Zyklon
Dauer 26. Januar – 13. Februar
Intensität 105 kn (195 km/h) (10-minütig), 925 hPa

Am 28. Januar wurde ein Gebiet mit gestörtem Wetter westlich von Diego Garcia]durch Météo-France als tropische Störung eingestuft. Das Joint Typhoon Warning Center begann im Tagesverlauf mit eigenen Warnungen zum tropischen Zyklon 10S, nachdem es kurz zuvor einen TCFA ausgerufen hatte. Das System wurde am 29. Januar zu einer tropischen Depression und im Tagesverlauf zu einem mäßigen tropischen Sturm hochgestuft. Der Sturm erhielt den von Mosambik vorgeschlagenen Namen Dora.[2] Dora zog während der beiden folgenden Tage mäandrierend nach Süden und gewann dabei an Stärke. Météo-France stufte Dora früh am 1. Februar zu einem tropischen Zyklon hoch. Entgegen der vorhergesagten Abschwächung intensivierte sich Dora weiter, bevor der Sturm annular und nach weiterer Intensivierung mit Windgeschwindigkeiten von 100 Knoten (rund 185 km/h) und einem zentralen Luftdruck von 930 hPa am 3. Februar seinen Höhepunkt erreichte. Der Sturm kurvte dann icn Richtung Südwesten, verlor dabei an Kraft und verlor am 9. Februar seine tropischen Eigenschaften vollständig. Météo-France erwähnte das außertropische System letztmals am 12. Februar.

Aufgrund von Dora wurden Zyklonwarnungen für Rodrigues ausgesprochen, doch führte der Sturm zu keinen Sach- oder Personenschäden.

Schwerer Tropischer Sturm Enok

Schwerer tropischer Sturm (MFR)
Tropischer Sturm
Dauer 6. Februar – 13. Februar
Intensität 60 kn (110 km/h) (10-minütig), 978 hPa

Am 7. Februar veröffentlichte das Joint Typhoon Warning Center einen Tropical Cyclone Formation Alert zu einem Konvektionsgebiet östlich der Küste Madagaskars. Météo-France erklärte das System spät am folgenden Tag zur achten tropischen Störung der Saison. Am 9. Februar stufte das JTWC das System als tropischen Zyklon ein und kennzeichnete diesen als 13S, kurz bevor das RSMC 08 als tropische Depression einstufte. Das System erhielt durch das Sub-regional Tropical Cyclone Advisory Centre Madagaskar den Namen Enok, obwohl Météo-France zu diesem Zeitpunkt noch nicht zu einem mäßigen tropischen Sturm hochgestuft hatte. Der Name Enok war von Namibia vorgeschlagen worden.[2] Mit der nächsten Sturmwarnung klassifizierte das RSMC Enok als schweren tropischen Sturm, doch setzte am nächsten Tag dessen Abschwächung ein. Am 10. Februar stufte das RSMC Enok zu einem mäßigen tropischen Sturm zurück, und einen Tag später gab das JTWC seine letzte Warnung zu Enok aus, bevor das RSMC Enok weiter abstufte. Das System wurde von Météo-France letztmals erwähnt bei der Abstufung in eine tropische Störung.

Intensiver Tropischer Zyklon Favio

Intensiver tropischer Zyklon (MFR)
Kategorie-4-Zyklon
Dauer 11. Februar – 23. Februar
Intensität 105 kn (195 km/h) (10-minütig), 925 hPa

Früh am 12. Februar wies Météo-France auf eine Zone gestörten Wetters hin und klassifizierte diese als 09 und stufte diese zwölf Stunden später in einer tropischen Störung hoch. Spät am 13. Februar warnte das JTWC davor, dass die Bildung eines tropischen Wirbelsturmes bevorstehen könnte, und am Tag darauf klassifizierten die Meteorologen in Honolulu das System als tropischen Zyklon mit der Bezeichnung 14S. Am 15. Februar stufte Météo-France das System zu einem mäßig tropischen Sturm hoch. Es erhielt den von den Seychellen vorgeschlagenen Namen Favio.[2] Eine Vorwarnung vor einem Zyklon mit der Warnstufe „gelb“ wurde wegen der Nähe des Systems zu La Réunion an dem Tag ausgegeben. Diese Maßnahme wurde am 16. Februar aufgehoben, da sich Favio dann bereits ein gutes Stück südlich der Insel befand. Der Sturm intensivierte sich früh am 18. Februar in einen schweren tropischen Sturm und weiter am 19. Februar in einen tropischen Zyklon. Der kleine tropischen Wirbelsturm erreichte den Status eines intensiven Zyklons am nächsten Tag und mit einer andauernden zehnminütigen Windgeschwindigkeit von 105 Knoten (195 km/h) und einem Luftdruck von 925 hPa seinen Höhepunkt. Der Sturm zog in westnordwestlicher Richtung und gefährdete Mosambik, wo die Behörden die höchste Warnstufe ausrief.[6] Das British Foreign Office veröffentlichte Reisewarnungen für britische Staatsangehörige, die sich auf den Bazaruto-Archipel bezogen.[7] Der Zyklon traf am 22. Februar in der Provinz Inhambane als intensiver tropischer Zyklon auf das afrikanische Festland, genau sieben Jahre nach dem Tag, an dem im Jahr 2000 mit Eline zuletzt ein intensiver tropischer Zyklon Mosambik getroffen hatte.[8] Im Landesinnern verlor Favio rasch an Kraft und verlor zehn Stunden nach dem Landfall den Status als Zyklon.

Favio beschädigte Gebäude, darunter das Gericht und das Stadtgefängnis von Vilankulo in Mosambik. Entwurzelte Bäume blockierten die Straßen, wodurch die Rettungsarbeiten behindert wurden.[9] Der Zyklon tötete vier Bewohner der Stadt und verletzte mindestens siebzig weitere. Tausende von Häusern wurden zerstört, auch das Krankenhaus und das Stromnetz der Stadt. 120 Patienten des Krankenhauses wurden evakuiert, und aus dem Gefängnis flüchteten 600 Häftlinge. Auf der Insel Bazaruto waren Telekommunikationsverbindungen unterbrochen. Entwurzelte Bäume und abgedeckte Dächer hinterließ der Sturm auch in Pontagea, einem dicht bewohnten Vorort der Hafenstadt Beira.[10] Insgesamt wurden zehn Personen durch den Sturm getötet, und fast 100 weitere wurden verletzt;[11] der gemeldete Sachschaden wurde mit 71 Millionen US-Dollar angegeben.

Intensiver Tropischer Zyklon Gamede

Intensiver tropischer Zyklon (MFR)
Kategorie-3-Zyklon
Dauer 19. Februar – 6. März
Intensität 90 kn (165 km/h) (10-minütig), 935 hPa

Météo-France begann am 20. Februar mit der Ausgabe von Warnungen zu einer tropischen Störung südsüdöstlich von Diego Garcia. Im Tagesverlauf wurde das System rasch zu einer tropischen Depression hochgestuft, und am nächsten Tag, nachdem das System Sturmstärke erlangte, erhielt es den Namen Gamede. Nachdem der Sturm nach Westen zog und sich zu einem schweren tropischen Sturm verstärkt hatte, gab Mauritius Meteorological Services eine Zyklonwarnung der Klasse 1 aus. Da sich Gamede früh am 23. Februar zu einem tropischen Zyklon intensivierte, wurde die Warnstufe erhöht. Das System, das zu dem Zeitpunkt ein Windfeld von 30-Knoten-Winden mit einem Durchmesser von 500 km bildete, intensivierte sich, während es sich west-südwestwärts bewegte. Die Behörden auf Réunion riefen deswegen einen Zyklonalarm der Stufe „gelb“ aus. Auf Mauritius wurde die Warnstufe in die Klasse 3 erhöht, da der Radius der sturmstarken Winde sich der Insel näherte. Am 4. Februar dehnte sich der Zyklon aus und die Warnstufe wurde für Réunion von „gelb“ auf „orange“ erhöht. Im Tagesverlauf wurde erstmals in der Saison für die Insel die Warnstufe „rot“ wirksam. Mauritius stufte seine Zyklonwarnung früh am 25. Februar in die Klasse 4 hoch, weil in der Umgebung der Insel der Wind in Böen mehr als 120 km/h erreichte. Die Warnungen wurden hier jedoch im Tagesverlauf eingestellt, weil der Zyklon sich von der Insel entfernte.

Nach einer leichten Abschwächung durch trockene Luft intensivierte sich Gamede dank der Reorganisierung des Konvektion in der Nähe seines Zentrums in einen intensiven tropischen Zyklon. Früh am 26. Februar hob Météo-France den roten Alarm für Réunion auf, weil der Zyklon abgezogen war und die Insel nicht weiter bedrohte,[12] doch einige Stunden später erklärten die Behörden Madagaskars für dreizehn Gebiete den Gefahrenzustand. Am 27. Februar setzte Météo-France die Alarmstufe „orange“ für Réunion wieder in Kraft, weil das System eine zyklische Eyewall-Neubildung durchlief und an Größe zunahm. Aufgrund einer Wiederannäherung des Zyklons wurde die Warnstufe am Abend des 27. Februar nochmals auf „rot“ erhöht. Eine Brücke wurde von Hochwasser weggespült, wodurch ein Sachschaden von 20 Millionen Euro entstand.[13] Der „rote“ Alarm wurde früh am 28. Februar aufgehoben. Gamede zog zwischen Réunion und Madagaskar südwärts und begann, sich abzuschwächen. Am 1. März wurde Gamede zum schweren tropischen Sturm abgestuft. Dann setzte der Übergang zu einem außertropische Sturm ein, und das Zentrum löste sich von der Konvektion. Am 2. März gaben deswegen das JTWC und Météo-France ihre letzten Warnungen zu Gameda aus.

Gamede brach zahlreiche Rekorde und setzte unter anderem neue Höchstwerte für den kumulierten Niederschlag über 72 Stunden sowie über neun Tage.[14] Zwischen dem 24. und 27. Februar fielen auf Réunion 3929 mm Regen.[15]

Tropischer Zyklon Humba

Tropischer Zyklon (MFR)
Kategorie-1-Zyklon
Dauer 20. Februar – 4. März
Intensität 75 kn (140 km/h) (10-minütig), 960 hPa

Ein Tiefdruckgebiet südwestlich von Sumatra wurde erstmals am 19. Februar in den Dreitagesvorhersagen des Bureau of Meteorology erwähnt. Es entwickelte sich langsam tropisch und überquerte am 20. Februar den 90. östlichen Längengrad und wurde von Météo-France als Tropische Störung 11 klassifiziert. Am nächsten Tag gab das JTWC einen Tropical Cyclone Formation Alert aus und stufte das System einige Stunden später, als Konvektion aufflackerte, als tropischen Zyklon ein und vergab die Bezeichnung 16S. Das RSMC stufte 11R am 22. Februar zu einer tropischen Depression hoch. In den beiden folgenden Tagen verstärkte sich das System nur wenig, doch die Konvektion war umfangreich. Am 23. Februar wurde das System zum tropischen Zyklon aufgestuft und benannt. Der Nme Humba wurde von Tansania vorgeschlagen.[2] Die Intensivierung des Sturmes setzte sich fort, und im Tagesverlauf wurde Humba zu einem schweren tropischen aufgestuft. Am 23. Februar intensivierte sich Humba zu einem tropischen Zyklon. Mit einer Windgeschwindigkeit von 80 kn (rund 150 km/h) und dem zentralen Luftdruck 960 hPa erreicht der Wirbelsturm seinen Höhepunkt, dann begann die Abschwächung und am 26. Februar wurde Humba zu einem schweren tropischen Sturm zurückgestuft. Im Tagesverlauf ging Humba in ein nichttropisches System über, und das JTWC gab die letzte Warnung zu dem Sturm aus. Météo-France setzte die Warnungen noch bis zum folgenden Tag fort.

Intensiver Tropischer Zyklon Indlala

Intensiver tropischer Zyklon (MFR)
Kategorie-4-Zyklon
Dauer 9. März – 19. März
Intensität 95 kn (175 km/h) (10-minütig), 935 hPa

Am 10. März wies Météo-France auf ein Konvektionsgebiet am 60. östlichen Längengrad hin und kennzeichnete es als 12. Am nächsten Tag stufte das RSMC das System als tropische Störung ein. Die tropische Störung intensivierte sich im Tagesverlauf zu einer tropischen Depression und unter günstigen Bedingungen früh am 12. März zu einem mäßigen tropischen Sturm. Der Name Indlala wurde von Swasiland vorgeschlagen.[2] Indlala intensivierte sich weiter und zum schweren tropischen Sturm hochgestuft. Am 13. März erreichte der Sturm die Intensität eines tropischen Zyklons. Die Bedingungen für die weitere Entwicklung waren günstig und Infrarot-Aufnahmen zeigten ein zeitweilig bestehendes Auge. Der Zyklon verstärkte sich weiter, das Auge definierte sich besser, und am nächsten Tag erreichte Indlala die Stärke eines intensiven tropischen Zyklons. Dieser zog westwärts in Richtung Madagaskar. Nach dem Landfall am 15. März bei Antalaha, als der Zyklon gerade einer Eyewall-Neubildung unterlief, schwächte sich Indlala rasch ab. Am 17. März löste sich der Sturm über Land auf, und Météo-France gab die letzte Warnung zu Indlala aus.

Die Auswirkungen von Indlala töteten mindestens 150 Personen, weitere 126 sind seit dem Durchzug des Sturms vermisst. Nach den amtlichen Angaben wurden 188.331 Bewohner Madagaskars durch den Sturm obdachlos.[5] Der Sachschaden durch den Zyklon wurde mit 240 Millionen US-Dollar beziffert.

Tropische Störung 13

Tropische Störung (MFR)
Dauer 13. März – 17. März
Intensität 20 kn (35 km/h) (10-minütig)

Am 13. März begann Météo-France mit der Ausgabe von Bulletins zu einer Zone gestörten Wetters, die bereits seit drei Tagen durch den südlich-zentralen Indik dümpelte, da Satellitenaufnahmen eine verbesserte bodennahe Zirkulation zeigten. Die Störung entwickelte am 15. März ausreichend Organisierung, um als tropische Depression eingestuft zu werden, doch eine weitere Intensivierung fand nicht statt. Die letzte Warnung zu dem sich auflösenden System wurde am 17. März ausgegeben.

Intensiver Tropischer Zyklon Jaya

Intensiver tropischer Zyklon (MFR)
Kategorie-3-Zyklon
Dauer 26. März – 8. April
Intensität 100 kn (185 km/h) (10-minütig), 935 hPa

Ein Gebiet mit gescherter Konvektion wurde am 25. März im mittleren südlichen Indischen Ozean entdeckt. Vier Tage später begann Météo-France mit der Ausgabe von Bulletins zu der Zone gestörten Wetters, die ein teilweise freigestelltes Zirkulationszentrum aufwies. Zunächst wurden die Bulletins nur unregelmäßig ausgegeben, doch organisierte sich das System rasch und wurde am 30. März zu einer tropischen Depression aufgestuft. Das subregionale Warnzentrum in Mauritius bezeichnete das System als mäßigen tropischen Sturm und vergab den Namen Jaya; der Name wurde von Simbabwe vorgeschlagen.[2] Das Joint Typhoon Warning Center bezeichnete das System im Tagesverlauf als 22S, doch erst einige Stunden später klassifizierte das RSMC Jaya als mäßigen tropischen Sturm. Dieser intensivierte sich weiter, und früh am 31. März erreichte Jaya den Status eines tropischen Zyklons. Die rapide Intensivierung setzte sich fort, und am Nachmittag des 31. März erreichte Jaya mit Windgeschwindigkeiten von 100 kn (185 km/h) und dem minimalen Luftdruck 930 hPa den Höhepunkt als intensiver tropischer Zyklon.

Durch die geringe Größe des Systems unterlagen Struktur und Größe leicht der Fluktuation. Am 1. April hatte sich Jaya leicht abgeschwächt, und Infrarotaufnahmen zeigten durch erhöhte Windscherung verursachte Disorganisierung. Jaya wurde deswegen zu einem tropischen Zyklon zurückgestuft. Als Jaya sich spät am 2. April dem Nordosten Madagaskars annäherte, wurde der Zyklon erneut zu einem intensiven tropischen Zyklon aufgestuft, nachdem die Konvektion sich verbessert hatte. Doch trockene Luft und Windscherung führten dazu, dass Jaya kurz vor dem Überqueren der Küste an Stärke verlor und disorganisiert wirkte.[16]

Nach dem Landfall von Jaya am 3. April gegen 08:00 Uhr UTC bei Sambava als tropischer Zyklon mit Windböen zwischen 180 und 200 km/h.[17] Der Sturm gelangte in der Straße von Mosambik als disorganisiertes System ohne Konvektion erneut über Wasser und das RSMC Réunion veröffentlichte seine letzte Warnung zu Jaya.

Am 5. April konsolidierte sich um das Zentrum der Restzirkulation des Zyklons Konvektion und das System reorganisierte zu einer tropischen Störung, sodass Météo-France um 12:00 Uhr UTC eine Warnung zu der Störung veröffentlichte, wies darin jedoch darauf hin, dass Windscherung eine signifikante Reintensivierung behindere. Die Nähe zur Küste von Mosambik, vor der die Störung entlang zog, ohne sie zu überqueren, wirkte sich ebenfalls auf das System aus. In den beiden folgenden Tagen gelangte Jaya unter den Einfluss starker Windscherung und wurde deutlich schwächer. Am 7. April unterlief das System einer kurzen rapiden Intensivierung, sodass Météo-France erneut ein Bulletin ausgab, doch verblasste die Konvektion schon bald fast völlig, sodass Météo-France wegen der Freistellung von Jayas Zirkulation die Warnungen endgültig einstellte.

Nach Berichten von Reuters wurden drei Personen durch die Auswirkungen des Zyklons getötet und zahlreiche Häuser zerstört.[18] Außerdem wurden mehrere Plantagen verwüstet.

Subtropischer Sturm 15

Subtropischer Sturm (MFR)
Dauer 9. April – 13. April
Intensität 50 kn (95 km/h) (10-minütig), 994 hPa

Am 11. April begann Météo-France mit der Ausgabe von Warnungen zu einem subtropischen System südlich von Madagaskar. Das System befand sich über Gewässer mit einer Oberflächentemperatur von 25 °C und war mit schwacher Konvektion verbunden. Aufgrund eines Rückganges der Windscherung hatte sich das System ausreichend organisiert, um als subtropische Depression beurteilt zu werden. Das System stand jedoch kurz vor der Umwandlung in ein außertropisches Tiefdruckgebiet, was nach erneuter Zunahme von Windscherung einen Tag später auch erfolgte. In der Nachanalyse des Systems wurde festgestellt, dass es sich bereits am 9. April gebildet und sich spät am 10. April zur tropischen Störung vertieft hatte, bevor es subtropische Eigenschaften entwickelte und schließlich Sturmstärke erreichte.[19]

Saisonüberblick

Sturmnamen

Im südwestlichen Indik wird eine tropische Störung benannt, wenn sie die Stärke eines mäßigen tropischen Sturmes erreicht. Erfolgt dies westlich des 55. östlichen Längengrades, dann wird der entsprechende Name von sub-regionalen Tropical Cyclone Advisory Centre in Madagaskar zugewiesen; östlich des 55. Längengrades wird der Name durch das sub-regionale Tropical Cyclone Advisory Centre in Mauritius vergeben. Jedes Jahr wird eine neue Namensliste verwendet, sodass im Falle von zerstörerischen Zyklonen keine Namen von der Liste der Namen tropischer Wirbelstürme gestrichen werden.[20] Die nachfolgenden Namen waren für die Saison 2006–2007 vorgesehen.[21] Die folgenden Namen wurden für benannte Stürme benutzt:

Anita, Bondo, Clovis, Dora, Enok, Favio, Gamede, Humba, Indlala, Jaya

Siehe auch

  • Atlantische Hurrikansaisons: 2006, 2007
  • Pazifische Hurrikansaisons: 2006, 2007
  • Pazifische Taifunsaisons: 2006, 2007
  • Zyklonsaisons im Nordindik: 2006, 2007
  • Südpazifische Zyklonsaison 2006–2007
  • Australische Zyklonsaison 2006–2007

Belege

  1. a b c d The 2006–2007 Summer Season Outlook. Mauritius Meteorological Services, ehemals im Original (nicht mehr online verfügbar); abgerufen am 16. Mai 2013 (englisch).@1@2Vorlage:Toter Link/metservice.intnet.mu (Seite nicht mehr abrufbar. Suche in Webarchiven)  Info: Der Link wurde automatisch als defekt markiert. Bitte prüfe den Link gemäß Anleitung und entferne dann diesen Hinweis.
  2. a b c d e f g h i Tropical Cyclone Operational Plan for the South-West Indian Ocean – 2006 Edition. (PDF; 461 kB) wmo.ch, archiviert vom Original am 2. November 2006; abgerufen am 16. Mai 2013 (englisch).
  3. Seychelles atoll battens down for cyclone Bondo. Reuters AlertNet, 21. Dezember 2006, archiviert vom Original am 5. März 2008; abgerufen am 16. Mai 2013 (englisch).
  4. Tropical Cyclone Bondo approaches North Madagascar (Memento vom 29. Mai 2007 im Internet Archive)
  5. a b c Tropical Cyclone Committee: Madagascar: Review of the 2005/2006, 2006/2007 and 2007/2008 Cyclone seasons. (DOC; 1,2 MB) World Meteorological Organization, 5. September 2008, ehemals im Original (nicht mehr online verfügbar); abgerufen am 30. April 2012 (englisch).@1@2Vorlage:Toter Link/www.wmo.ch (Seite nicht mehr abrufbar. Suche in Webarchiven)
  6. Fear as cyclone nears Mozambique In: BBC News, 21. Februar 2007. Abgerufen am 30. April 2012 (englisch). 
  7. Warning to Mozambique travellers In: BBC News, 22. Februar 2007. Abgerufen am 30. April 2012 (englisch). 
  8. Communique (Memento vom 22. März 2007 auf WebCite)
  9. Cyclone Favio strikes Mozambique In: BBC News, 23. Februar 2007. Abgerufen am 30. April 2012 (englisch). 
  10. Charles Mangwiro: Mozambique cyclone kills 4, injures at least 70. Reuters AlertNet, 23. Februar 2007, archiviert vom Original am 21. März 2007; abgerufen am 16. Mai 2013 (englisch).
  11. SAPA: Cyclone may hit tourist resorts. News24, 11. März 2007, archiviert vom Original am 7. Oktober 2008; abgerufen am 30. April 2012 (englisch).
  12. tableau-des-alertes (Memento vom 22. September 2012 auf WebCite)
  13. Cyclone nears coastline of Reunion Island; 1 woman reported missing – International Herald Tribune
  14. Bulletin Special D’information. meteo.fr, 20. Februar 2010, archiviert vom Original am 7. Februar 2012; abgerufen am 16. Mai 2013 (französisch).  Info: Der Archivlink wurde automatisch eingesetzt und noch nicht geprüft. Bitte prüfe Original- und Archivlink gemäß Anleitung und entferne dann diesen Hinweis.@1@2Vorlage:Webachiv/IABot/www.meteo.fr
  15. Faq : Hurricanes, Typhoons, And Tropical Cyclones
  16. Tropical Cyclone Forecast Warning (South-West Indian Ocean). ohio-state.edu, abgerufen am 16. Mai 2013 (englisch).
  17. Tropical Cyclone Forecast Warning (South-West Indian Ocean). ohio-state.edu, abgerufen am 16. Mai 2013 (englisch).
  18. World weather impacts Cyclone Jaya kills 3 – 10. Apr. 2007 (Memento vom 16. August 2007 im Webarchiv archive.today)
  19. WebCite query result (Memento vom 13. April 2007 auf WebCite)
  20. Tropical Cyclone Operational Plan for the South Pacific and South-East Indian Ocean. (PDF) World Meteorological Organization, 2003, abgerufen am 15. August 2008.
  21. La Réunion – Météo-France: Liste des noms des tempêtes et cyclones tropicaux pour la saison 2006–2007 sur le Sud-Ouest de l´Océan Indien. 2007, archiviert vom Original am 2. März 2008; abgerufen am 31. Januar 2008 (französisch).