Fresno Yosemite International Airport
| Fresno Yosemite International Airport | ||||
|---|---|---|---|---|
![]() | ||||
| Luftbild des Fresno Yosemite International Airport | ||||
| ||||
| Kenndaten | ||||
| ICAO-Code | KFAT | |||
| IATA-Code | FAT | |||
| Koordinaten | 36° 46′ 36″ N, 119° 43′ 8″ W | |||
| Höhe über MSL | 102 m (335 ft) | |||
| Verkehrsanbindung | ||||
| Entfernung vom Stadtzentrum | 7 km nordöstlich von Fresno | |||
| Straße | ||||
| Nahverkehr | Bus: Fresno Area Express Route 26/39 | |||
| Basisdaten | ||||
| Eröffnung | 1942 | |||
| Betreiber | City of Fresno Airports Division | |||
| Fläche | 699[1] ha | |||
| Terminals | 1[2] | |||
| Passagiere | 2.672.881[3] (2024) | |||
| Luftfracht | 9.308 t[4] (2017) | |||
| Flug- bewegungen |
85.591[4] (2017) | |||
| Beschäftigte | 1.963[3] (2017) | |||
| Start- und Landebahnen | ||||
| 11L/29R | 2907 m × 46 m Asphalt | |||
| 11R/29L | 2441 m × 46 m Asphalt | |||
Der Fresno Yosemite International Airport (IATA-Code: FAT, ICAO-Code: KFAT) ist der Verkehrsflughafen der amerikanischen Großstadt Fresno im US-Bundesstaat Kalifornien.
Lage und Verkehrsanbindung
Der Fresno Yosemite International Airport befindet sich sieben Kilometer nordöstlich des Stadtzentrums von Fresno. Die California State Route 168 verläuft westlich des Flughafens, während die California State Route 180 südlich des Flughafens verläuft.
Der Fresno Yosemite International Airport wird durch Busse in den Öffentlichen Personennahverkehr eingebunden. Die Routen 26 und 39 des Betreibers Fresno Area Express fahren den Flughafen regelmäßig an.[5][6]
Geschichte
Im Jahr 1942 wurde der Flughafen von den United States Army Air Forces als Hammer Airfield in Betrieb genommen. Im Jahr 1948 begann der kommerzielle Luftverkehr auf dem als Fresno Air Terminal bezeichneten Flughafen.[7] Im Jahr 1962 wurde ein neues Passagierterminal errichtet. Im Jahr 1996 erhielt der Flughafen den Namen Fresno Yosemite International Airport.[8] Im Jahr 2002 wurde eine Erweiterung des Passagierterminals abgeschlossen. Dabei wurde am nördlichen Ende des bisherigen Terminals eine zweistöckige Empfangshalle mit sechs zusätzlichen Flugsteigen errichtet.[9] Im Jahr 2008 wurde das Passagierterminal renoviert.[10] Seit Mai 2023 wird das Passagierterminal erneut erweitert, unter anderem wird ein zusätzlicher Concourse errichtet.[11]
Flughafenanlagen

Der Fresno Yosemite International Airport Runway erstreckt sich über 699 Hektar.[1]
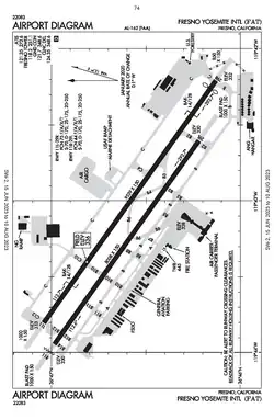
Start- und Landebahnen
Der Fresno Yosemite International Airport verfügt über zwei Start- und Landebahnen. Die Start- und Landebahn 11L/29R ist 2907 Meter lang und 46 Meter breit, der Belag besteht aus Asphalt. Die Start- und Landebahn 11R/29L ist 2441 Meter lang und 46 Meter breit, der Belag besteht ebenfalls aus Asphalt.[1][9][12]
Passagierterminal


Der Fresno Yosemite International Airport verfügt über ein Passagierterminal, dieses liegt an der südwestlichen Seite des Flughafengeländes. Es ist mit zehn Flugsteigen ausgestattet.[2]
Luftfracht
Das Frachtvorfeld befindet sich an der nordöstlichen Seite des Flughafengeländes. Es wird von FedEx und UPS Airlines genutzt. Trotz des geringen Luftfrachtaufkommens bietet das Vorfeld Platz für neun Großraumflugzeuge.[12]
Militär
Am südöstlichen Ende des Flughafengeländes befinden sich Einrichtungen der California Air National Guard. Auf der Basis der California National Guard ist das 144th Fighter Wing stationiert. Es ist mit General Dynamics F-16 Fighting Falcon ausgestattet. Zudem betreibt die United States Army am nördlichen Ende des Flughafens eine Wartungs- und Reparaturbasis für Hubschrauber.[13]
Sonstige Einrichtungen
Der United States Forest Service und das California Department of Forestry and Fire Protection betreiben am Fresno Yosemite International Airport eine Basis für Löschflugzeuge.[13] Sie befindet sich an der östlichen Seite des Flughafengeländes und wird als Fresno Air Attack Base bezeichnet.
Fluggesellschaften und Ziele
Der Fresno Yosemite International Airport wird von den Fluggesellschaften Aeroméxico, Alaska Airlines, Allegiant Air, American Airlines, Delta, Southwest, United Airlines und Volaris genutzt. Zusätzlich wird der Flughafen von den Frachtfluggesellschaften FedEx und UPS Airlines genutzt.[14]
Es werden dreizehn Ziele in den Vereinigten Staaten angeflogen, darunter vor allem die Drehkreuze der einzelnen Fluggesellschaften. Zudem werden auch drei Ziele in Mexiko regelmäßig angeflogen.[15]
Verkehrszahlen
| Jahr | Fluggastaufkommen | Luftfracht (Tonnen) (mit Luftpost) |
Flugbewegungen |
|---|---|---|---|
| 2024 | 2.672.881 | ||
| 2023 | 2.449.418 | ||
| 2022 | 2.181.791 | ||
| 2021 | 1.948.578 | ||
| 2020 | 990.627 | ||
| 2019 | 1.964.489 | ||
| 2018 | 1.765.963 | ||
| 2017 | 1.538.830 | 9.308 | 85.591 |
| 2016 | 1.540.922 | 9.520 | 26.420 |
| 2015 | 1.401.706 | 12.124 | 96.986 |
| 2014 | 1.441.825 | 11.422 | 115.009 |
| 2013 | 1.401.582 | 10.760 | 128.397 |
| 2012 | 1.316.597 | 10.521 | 115.344 |
| 2011 | 1.261.557 | 10.000 | 121.180 |
Verkehrsreichste Strecken
| Rang | Stadt | Passagiere | Fluggesellschaften |
|---|---|---|---|
| 1 | Dallas/Fort Worth, Texas | 218.470 | American |
| 2 | Las Vegas, Nevada | 217.470 | Allegiant, Southwest |
| 3 | Denver, Colorado | 132.010 | United, Southwest |
| 4 | Phoenix–Sky Harbor, Arizona | 123.020 | American |
| 5 | Seattle/Tacoma, Washington | 87.060 | Alaska |
| 6 | Salt Lake City, Utah | 67.570 | Delta |
| 7 | San Diego, Kalifornien | 67.370 | Alaska |
| 8 | San Francisco, Kalifornien | 59.480 | United |
| 9 | Los Angeles, Kalifornien | 45.620 | United |
| 10 | Portland, Oregon | 36.160 | Alaska |
Zwischenfälle
- Am 14. Dezember 1994 stürzte ein Learjet 35A (N521PA) der Phoenix Air aufgrund eines Feuers an Bord während des Landeanflugs auf den damals als Fresno Air Terminal bezeichneten Flughafen ab. Dabei kamen beide Besatzungsmitglieder ums Leben. Das zivile Flugzeug war für Übungen mit Militärflugzeugen ausgerüstet. Vor dem Absturz befand sich das Flugzeug auf dem Rückweg von einer Übung mit General Dynamics F-16 der California Air National Guard, als das Feuer an Bord ausbrach (siehe auch Phoenix-Air-Flug Dart 21).[18]
Weblinks
- Website des Flughafens (englisch)
Einzelnachweise
- ↑ a b c AirportIQ 5010: Fresno Yosemite International. GCR1.com, abgerufen am 30. August 2020 (englisch).
- ↑ a b Airport Maps & Virtual Tour. FlyFresno.com, abgerufen am 24. August 2025 (englisch).
- ↑ a b c d Reports & Statistics. FlyFresno.com, abgerufen am 24. August 2025 (englisch).
- ↑ a b c North America Airport Rankings. ACI-NA.org, archiviert vom am 6. September 2018; abgerufen am 30. August 2020 (englisch).
- ↑ Ground Transportation. FlyFresno.com, abgerufen am 30. August 2020 (englisch).
- ↑ Department of Transportation - FAX: Fresno Area Express. Fresno.gov, abgerufen am 30. August 2020 (englisch).
- ↑ Fresno Yosemite International Airport (FAT). FresnoAirportsMasterPlan.com, archiviert vom (nicht mehr online verfügbar) am 10. August 2020; abgerufen am 30. August 2020 (englisch). Info: Der Archivlink wurde automatisch eingesetzt und noch nicht geprüft. Bitte prüfe Original- und Archivlink gemäß Anleitung und entferne dann diesen Hinweis.
- ↑ About FAT – History. FlyFresno.com, archiviert vom am 16. Juni 2015; abgerufen am 30. August 2020 (englisch).
- ↑ a b Fresno Yosemite International Airport – Airport History. (PDF; 32 kB) Fresno.gov, archiviert vom am 1. April 2010; abgerufen am 30. August 2020 (englisch).
- ↑ Airport Progress. FlyFresno.com, abgerufen am 30. August 2020 (englisch).
- ↑ Fresno Yosemite International Airport celebrates terminal expansion milestone. FlyFresno.com, 15. Oktober 2024, abgerufen am 24. August 2025 (englisch).
- ↑ a b Air Cargo. FlyFresno.com, abgerufen am 30. August 2020 (englisch).
- ↑ a b Military Operations. FlyFresno.com, archiviert vom am 16. Juni 2015; abgerufen am 30. August 2020 (englisch).
- ↑ Airline Information. FlyFresno.com, abgerufen am 24. August 2025 (englisch).
- ↑ a b Non-Stop Destinations. FlyFresno.com, abgerufen am 24. August 2025 (englisch).
- ↑ a b About FAT – Coporate Information. FlyFresno.com, archiviert vom am 9. September 2015; abgerufen am 30. August 2020 (englisch). Info: Der Archivlink wurde automatisch eingesetzt und noch nicht geprüft. Bitte prüfe Original- und Archivlink gemäß Anleitung und entferne dann diesen Hinweis.
- ↑ Fresno, CA: Fresno Yosemite International (FAT). Transtats.BTS.gov, abgerufen am 24. August 2025 (englisch).
- ↑ Unfallbericht Learjet 35A N521PA, Aviation Safety Network (englisch), abgerufen am 30. August 2020.


_location_map.svg.png)
