Salt Lake City International Airport
| Salt Lake City International Airport | ||||
|---|---|---|---|---|
![]() | ||||
| Der Flughafen aus der Luft | ||||
| ||||
| Kenndaten | ||||
| ICAO-Code | KSLC | |||
| IATA-Code | SLC | |||
| Koordinaten | 40° 47′ 18″ N, 111° 58′ 40″ W | |||
| Höhe über MSL | 1.288 m (4.226 ft) | |||
| Verkehrsanbindung | ||||
| Entfernung vom Stadtzentrum | 9 km westlich von Salt Lake City | |||
| Straße | ||||
| Nahverkehr | ||||
| Basisdaten | ||||
| Eröffnung | 1911[1] | |||
| Betreiber | Salt Lake City Department of Airports | |||
| Fläche | 3116[2] ha | |||
| Terminals | 1 | |||
| Passagiere | 28.364.610[3] (2024) | |||
| Luftfracht | 147.462 t[3] (2024) | |||
| Flug- bewegungen |
327.942[3] (2024) | |||
| Beschäftigte | 35.290[4] (2013) | |||
| Start- und Landebahnen | ||||
| 14/32 | 1491 m × 46 m Asphalt | |||
| 16R/34L | 3658 m × 46 m Beton | |||
| 16L/34R | 3658 m × 46 m Asphalt | |||
| 17/35 | 2925 m × 46 m Asphalt | |||
Der Salt Lake City International Airport (IATA-Code: SLC, ICAO-Code: KSLC) ist der internationale Flughafen von Salt Lake City im US-Bundesstaat Utah. Er ist ein Luftfahrt-Drehkreuz der Delta Air Lines.
Lage und Verkehrsanbindung
Der Salt Lake City International Airport liegt acht Kilometer westlich des Stadtzentrums von Salt Lake City. Das Passagierterminal verfügt über eigene Anschlussstelle an der südlich des Flughafens verlaufenden Interstate 80. Östlich des Bereichs der allgemeinen Luftfahrt und der Basis der Utah Air National Guard verläuft die Interstate 215. Außerdem verläuft die Interstate 15 mehrere Kilometer östlich des Flughafengeländes.
Der Salt Lake City International Airport wird durch eine Stadtbahnlinie und mehrere Buslinien der Utah Transit Authority in den Öffentlichen Personennahverkehr eingebunden. Die Green Line der Stadtbahn TRAX verbindet den Flughafen mit dem Zentrum von Salt Lake City. Außerdem wird der Flughafen von den Buslinien 453, 454 und 551 regelmäßig angefahren.[5][6]
Geschichte
Die Anfänge des Flughafens liegen in einer kleinen Landepiste, die im Jahr 1911 eröffnet wurde. Später wurde das Gelände um 40 Hektar erweitert, um Platz für zusätzliche Gebäude zu schaffen. 1920 erhielt der Flugplatz den Namen Woodward Field und es begannen Luftpostflüge. 1926 fand der erste kommerzielle Passagierflug statt. Der Flughafen wurde 1930 in Salt Lake City Municipal Airport umbenannt. Außerdem wurde er um 121 Hektar Land und eine zweite Start- und Landebahn erweitert. 1933 wurde das erste Verwaltungsgebäude auf dem Flughafengelände errichtet. 1933 oder 1943 wurde eine dritte Start- und Landebahn eröffnet. Im Jahr 1943 wurde der Flughafen zu einer Trainingsbasis der United States Army Air Forces. 1950 wurden alle Start- und Landebahnen verbessert, die primäre Start- und Landebahn erhielt außerdem ein Instrumentenlandesystem. 1953 begannen die Bauarbeiten am künftigen Terminal 1.
1960 wurde Terminal 1 eröffnet. 1968 erfolgte die Umbenennung des Flughafens in Salt Lake City International Airport. 1978 wurde Terminal 2 eröffnet, in diesem wurden Flüge von Western Airlines abgefertigt. Im gleichen Jahr wurde ein General Aviation Terminal fertiggestellt und zusätzlich die westliche Start- und Landebahn samt Rollbahnen erweitert. 1981 wurde Terminal 1 erweitert, im Folgejahr wurde der Salt Lake City International Airport zu einem Hub der Western Airlines. 1984 wurde Terminal 2 um einen zusätzlichen Concourse erweitert. Im Dezember 1986 wurde Western Airlines von Delta Air Lines übernommen und ging am 1. April 1987 in dieser auf, sodass der Salt Lake City International Airport zu einem Hub von Delta Air Lines wurde. 1992 eröffnete SkyWest Airlines einen Hangar und ein Ausbildungszentrum. 1995 erfolgte die Errichtung einer dritten Start- und Landebahn, des Concourse E und des internationale Terminals. 1998 wurde UPS Airlines zum ersten Pächter eines Frachtterminals am nördlichen Vorfeld. 1999 ging ein neuer FAA-Kontrollturm in Betrieb.[1]
2012 kündigte der Bürgermeister von Salt Lake City an, die Passagierterminals wegen ihrer geringen Kapazität und mangelnden Erdbebensicherheit komplett abreißen und durch ein neues Terminal ersetzen zu wollen. 2014 begann das Airport Redevelopment Project. Ende 2015 wurde das Projekt, dessen Wert sich auf 1,8 Milliarden US-Dollar beläuft, offiziell vorgestellt.[7][8] Die Fertigstellung des in drei Phasen aufgeteilten Projekts ist für das Jahr 2024 oder 2025 geplant, allerdings wurden Teile des neuen Passagierterminals bereits 2020 in Betrieb genommen.[1][9][10]
Flughafenanlagen

Der Salt Lake City International Airport erstreckt sich über eine Fläche von 3116 Hektar.[2]
Start- und Landebahnen
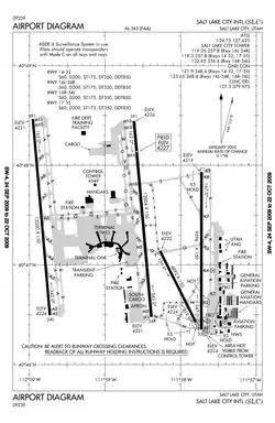
Der Flugverkehr am Salt Lake City International Airport wird über vier Start- und Landebahnen abgefertigt, die alle in Nord-Süd-Richtung verlaufen. Die längste Start- und Landebahn 16L/34R ist 3658 Meter lang, während die parallele Start- und Landebahn 16R/34L ist 3658 Meter lang ist. Da die Distanz zwischen den beiden parallelen Bahnen bei 1876 Metern liegt, können sie parallel betrieben werden. Die östliche Start- und Landebahn trägt die Kennung 17/35 und ist 2925 Meter lang. Die kürzeste Start- und Landebahn 14/32 ist 1491 Meter lang und liegt zwischen den Start- und Landebahnen 16L/34R und 17/35. Alle Start- und Landebahnen sind 46 Meter breit. Die Start- und Landebahn 16R/34L hat einen Belag aus Beton, während die anderen drei Start- und Landebahnen mit einem Belag aus Asphalt ausgestattet sind. Die Start- und Landebahn 14/32 kann aufgrund ihrer Länge nur von der allgemeinen Luftfahrt und kleinen Frachtflugzeugen genutzt werden.[11][12] Die Start- und Landebahn 17/35 dient der allgemeinen und militärischen Luftfahrt. Zusätzlich befinden sich im Bereich der allgemeinen Luftfahrt die Hubschrauberlandeplätze HB und HF, die beide 18 Meter lang und breit sind.[9]
Passagierterminals
Der Salt Lake City International Airport hat drei Terminals mit fünf Abflughallen (Concourse C-G) und 71 Flugsteigen. In der Regel wird das internationale Terminal nicht als eigenes Terminal gewertet, sodass die Anzahl der Passagierterminals mit zwei angegeben wird.[12] Zeitweise lag die Zahl der Flugsteige bei 86, wurde jedoch durch Baumaßnahmen für das neue Passagierterminal verringert.[13] Im Terminal 1 liegen die Abflughallen F und G. Früher trugen die Abflughallen die Bezeichnungen B und A, wurden jedoch im Rahmen der Errichtung des neuen Passagierterminals umbenannt. Das Terminal wird von allen Fluggesellschaften, jedoch nicht hauptsächlich von Delta, für nationale Flüge genutzt. Terminal 2 wird ausschließlich von Delta und den für Delta fliegenden Zubringern für nationale Flüge genutzt. Diesem Terminal sind die Abflughallen C bis E zugeordnet.[14] Das dritte Terminal wird für internationale Flüge genutzt, bei denen Einreisekontrollen nötig sind. Dies sind im Wesentlichen Flüge aus Mexiko. Bei Flügen aus Kanada werden die Kontrollen meist schon am Abflughafen durchgeführt (siehe United States Border Preclearance), so dass sie wie nationale Flüge abgefertigt werden.
Neues Passagierterminal
Die alten Passagierterminals werden bis 2024 durch ein neues Passagierterminal mit zwei Abflughallen ersetzt, diese Abflughallen werden die Bezeichnungen A und B tragen. Erste Teile des neuen Passagierterminals wurden bereits 2020 in Betrieb genommen.[10] Concourse B wird als Satellit auf dem Vorfeld liegen und durch Tunnel mit Concourse verbunden. Concourse A soll 2024 oder 2025 über insgesamt 47 Flugsteige verfügen, während Concourse B mit 31 Flugsteigen ausgestattet sein soll.[1][9]
Frachtterminals
Die Frachtterminals verteilen sich auf zwei Vorfelder. Eines liegt nördlich der Passagierterminals, das andere südlich davon. Am nördlichen Vorfeld befinden sich Frachtterminals von FedEx und UPS Airlines. Am südlichen Vorfeld befinden sich unter anderem Frachtterminals des United States Postal Service, von Delta Air Lines und von SkyWest Airlines.[9]
Militär
Östlich der Start- und Landebahn 17/35 liegt die Roland R. Wright Air National Guard Base der Utah Air National Guard mit einer Fläche von 55 Hektar. Auf dieser ist das 151st Air Refueling Wing stationiert, welches mit Tankflugzeugen des Typs Boeing KC-135R ausgestattet ist.[9]
Sonstige Einrichtungen
Der Bereich der allgemeinen Luftfahrt liegt östlich der Start- und Landebahn 17/35.[9]
SkyWest Airlines betreibt einen Hangar und ein Ausbildungszentrum auf dem Salt Lake City International Airport.[1] Delta Air Lines verfügt ebenfalls über einen Hangar. Diese Einrichtungen liegen nördlich der Passagierterminals.
Fluggesellschaften und Ziele
.jpg)

Der Salt Lake City International Airport dient Delta Air Lines seit der Fusion mit Western Airlines als Luftfahrt-Drehkreuz. Er wird, ohne separate Berücksichtigung von Regionalfluggesellschaften, von insgesamt zwölf Fluggesellschaften im Linienverkehr angeflogen.[15] Den mit Abstand höchsten Marktanteil bei den Passagieren hat Delta Air Lines einschließlich Delta Connection mit 72,8 Prozent, gefolgt von Southwest Airlines mit 10,0 Prozent, American Airlines einschließlich American Eagle mit 6,3 Prozent, United Airlines einschließlich United Express mit 4,6 Prozent, Frontier Airlines mit 2,1 Prozent, Alaska Airlines einschließlich Horizon Air und SkyWest Airlines mit 2,5 Prozent und Jetblue Airways mit 1,7 Prozent.[12][3]
Insgesamt werden 81 nationale und acht internationale Ziele direkt angeflogen. Vier der nationalen Ziele werden jedoch nur saisonal bedient. Es sind praktisch alle großen US-amerikanischen Flughäfen ohne Umsteigen erreichbar. Im Juni 2008 wurde mit Flügen nach Paris-Charles-de-Gaulle die erste interkontinentale Route in der Geschichte des Flughafens eröffnet.[16] Derzeit werden von Delta Air Lines auch interkontinentale Flüge nach Amsterdam angeboten.[17]
Statistik

Der Flughafen lag im Jahr 2020 auf Platz 20 der größten US-amerikanischen Flughäfen und auf Platz 70 weltweit, gemessen an den Passagierzahlen.[12] Insgesamt wurden nach eigenen Angaben 12.559.026 Passagiere gezählt.[3] Betrachtet man die Anzahl der Flugbewegungen, lag der Flughafen im Jahr 2020 auf Platz 12 (national) bzw. Platz 19 (weltweit).[18] Für einen Flughafen dieser Größe wickelt Salt Lake City ungewöhnlich viel General Aviation (Allgemeine Luftfahrt)-Verkehr, also Sportflüge und ähnliches, ab. Der Flughafen wirbt außerdem mit seiner vergleichsweise hohen Pünktlichkeit.
Verkehrszahlen

| Jahr | Fluggastaufkommen | Luftfracht (Tonnen) | Luftpost (Tonnen) | Flugbewegungen (mit Militär) | ||
|---|---|---|---|---|---|---|
| National | International | Gesamt | ||||
| 2021 | 21.795.295 | 583.694 | 22.378.989 | 187.123 | 22.939 | 342.519 |
| 2020 | 12.227.617 | 331.409 | 12.559.026 | 190.526 | 24.402 | 276.730 |
| 2019 | 25.692.153 | 1.115.861 | 26.808.014 | 176.113 | 18.861 | 344.715 |
| 2018 | 24.482.284 | 1.071.960 | 25.554.244 | 177.599 | 18.613 | 337.276 |
| 2017 | 23.285.188 | 913.628 | 24.198.816 | 173.364 | 16.826 | 327.292 |
| 2016 | 22.395.720 | 759.807 | 23.155.527 | 160.457 | 13.797 | 320.149 |
| 2015 | 21.583.382 | 557.644 | 22.141.026 | 153.998 | 16.715 | 311.859 |
| 2014 | 20.770.994 | 370.616 | 21.141.610 | 149.055 | 12.805 | 324.957 |
| 2013 | 19.831.079 | 355.395 | 20.186.474 | 152.706 | 13.606 | 330.576 |
| 2012 | 19.741.800 | 360.278 | 20.102.078 | 156.128 | 11.217 | 328.130 |
| 2011 | 19.968.536 | 420.938 | 20.389.474 | 150.122 | 8.016 | 357.996 |
| 2010 | 20.427.176 | 474.357 | 20.901.533 | 140.641 | 4.800 | 362.294 |
| 2009 | 20.000.914 | 431.304 | 20.432.218 | 131.269 | 4.333 | 372.300 |
| 2008 | 20.337.176 | 453.224 | 20.790.400 | 156.319 | 4.271 | 389.317 |
| 2007 | - | - | 22.045.233 | 172.817 | 4.929 | 422.010 |
Verkehrsreichste Strecken
| Rang | Stadt | Passagiere | Fluggesellschaft |
|---|---|---|---|
| 1 | Denver, Colorado | 678.430 | Delta, Frontier, SkyWest, Southwest, United |
| 2 | Atlanta, Georgia | 542.540 | Delta |
| 3 | Phoenix–Sky Harbor, Arizona | 534.440 | Delta, Frontier, Mesa, SkyWest, Southwest |
| 4 | Los Angeles, Kalifornien | 510.070 | Delta, SkyWest, Southwest |
| 5 | Dallas/Fort Worth, Texas | 473.900 | American, Delta |
| 6 | Seattle/Tacoma, Washington | 434.110 | Alaska, Delta, Horizon, SkyWest |
| 7 | Las Vegas, Nevada | 392.020 | Delta, Southwest |
| 8 | San Diego, Kalifornien | 280.460 | Delta, SkyWest, Southwest |
| 9 | Chicago–O’Hare, Illinois | 274.700 | American, Delta, SkyWest |
| 10 | New York–JFK, New York | 256.870 | Delta, JetBlue |
Zwischenfälle
- Am 1. Mai 1942 wurde eine Douglas DC-3 DST-A-207A der US-amerikanischen United Airlines (Luftfahrzeugkennzeichen NC18146) 6 Kilometer nordöstlich des Flughafens Salt Lake City in einer Höhe von 1540 Metern gegen die Seite eines Hügels geflogen, nachdem die Piloten vom korrekten Anflugkurs abgewichen waren. Bei diesem CFIT (Controlled flight into terrain) wurden alle 17 Insassen getötet, drei Besatzungsmitglieder und 14 Passagiere.[20]
- Am 11. November 1965 wurde eine Boeing 727-22 der United Airlines (N7030U) im Landeanflug auf den Flughafen Salt Lake City International viel zu hoch angeflogen, woraufhin der Kapitän die Sinkgeschwindigkeit weit über das zulässige Maß hinaus erhöhte. Ein Versuch des Ersten Offiziers, den Schub zu erhöhen, wurde vom Kapitän unterbunden. Das Flugzeug schlug mit hoher Sinkgeschwindigkeit etwa 100 Meter vor der Landebahn auf, das Hauptfahrwerk brach und riss ein Loch in den Rumpf, woraufhin ein Feuer ausbrach. Dabei wurden 43 der 91 Personen an Bord getötet (siehe auch United-Air-Lines-Flug 227).[21]
- Am 27. November 1965 wurde eine Douglas DC-3A der US-amerikanischen Edde Airlines (N485) 35 Kilometer südlich des Flughafens Salt Lake City in einer Höhe von 5449 Fuß (1660 Metern) bei sehr schlechter Sicht in steil ansteigendes Gelände geflogen. Die rechte Tragfläche brach ab, der Rest des Flugzeugs flog 1202 Fuß über dem Hügel weiter und stürzte auf einer Höhe von 5275 Fuß (1608 Metern) gegen den 25 Grad steilen Hang eines anderen Hügels. Als Unfallursache wurde festgestellt, dass der Kapitän trotz der ungünstigen Wetter- und Geländebedingungen den Flug nach Sichtflugbedingungen (VFR) fortgesetzt hatte. Durch diesen CFIT (Controlled flight into terrain) wurden alle 13 Insassen getötet, die vier Besatzungsmitglieder und 9 Passagiere.[22]
- Am 18. Dezember 1977 flog eine Douglas DC-8F-54 „Jet Trader“ (N8047U) der United Airlines auf einem Frachtflug aufgrund eines Fehlers in der Elektrik Warteschleifen über Salt Lake City. Für einen Zeitraum von siebeneinhalb Minuten unterbrachen die Piloten dabei den Funkkontakt zur Flugsicherung, um mit Technikern der United Airlines auf einer anderen Funkfrequenz die weitere Vorgehensweise abzustimmen. In dieser Zeit flog die Maschine in ein bergiges Gebiet. Als der Funkkontakt wieder hergestellt werden konnte, wies der diensthabende Fluglotse die Besatzung an, sofort eine Linkskurve zu fliegen und in den Steigflug überzugehen. Sekunden später zerschellte die DC-8 an einem Berghang in 2200 Metern Höhe. Durch diesen CFIT (Controlled flight into terrain) wurde die dreiköpfige Besatzung getötet (siehe auch United-Airlines-Flug 2860).[23]
Weblinks
Einzelnachweise
- ↑ a b c d e Airport History. SLCAirport.com, abgerufen am 16. Mai 2018 (englisch).
- ↑ a b AirportIQ 5010: Salt Lake City International. GCR1.com, abgerufen am 6. Juli 2019 (englisch).
- ↑ a b c d e f g Air Traffic Statistics. SLCAirport.com, abgerufen am 26. Januar 2025 (englisch).
- ↑ Economic Impact Analysis Salt Lake City International Airport January 2013. SLCAirport.com, Januar 2013, abgerufen am 16. Mai 2018 (englisch).
- ↑ Public Transportation. SLCAirport.com, abgerufen am 5. Juli 2019 (englisch).
- ↑ Schedules and Maps. RideUTA.com, abgerufen am 5. Juli 2019 (englisch).
- ↑ Salt Lake City zerstört den Flughafen. aeroTELEGRAPH.com, 31. Januar 2012, abgerufen am 25. März 2017.
- ↑ Salt Lake City verpasst sich eine Frischekur. aeroTELEGRAPH.com, 14. Oktober 2015, abgerufen am 25. März 2017.
- ↑ a b c d e f Salt Lake City International Airport Master Plan. SLCAirport.com, abgerufen am 6. Juli 2019 (englisch).
- ↑ a b The New SLC: Rebuilding for the Future. SLCAirport.com, abgerufen am 18. April 2022 (englisch).
- ↑ SLC Airport Overview. SLCAirport.com, abgerufen am 6. Juli 2019 (englisch).
- ↑ a b c d SLC Fast Facts. SLCAirport.com, abgerufen am 5. Juli 2019 (englisch).
- ↑ SLC Fast Facts. SLCAirport.com, archiviert vom (nicht mehr online verfügbar) am 22. April 2015; abgerufen am 6. Juli 2019 (englisch). Info: Der Archivlink wurde automatisch eingesetzt und noch nicht geprüft. Bitte prüfe Original- und Archivlink gemäß Anleitung und entferne dann diesen Hinweis.
- ↑ Airport Terminal Map. SLCAirport.com, abgerufen am 6. Juli 2019 (englisch).
- ↑ Airline Flight Information. SLCAirport.com/, abgerufen am 18. April 2022 (englisch).
- ↑ Delta Launches First Trans-Atlantic Flight from Salt Lake City with Nonstop Service to Paris. News.Delta.com, 2. Januar 2008, abgerufen am 6. Juli 2019 (englisch).
- ↑ a b Flight Schedule. SLCAirport.com, abgerufen am 18. April 2022 (englisch).
- ↑ North American Airport Traffic Report. ACI-NA.org, abgerufen am 18. April 2022 (englisch).
- ↑ Salt Lake City, UT: Salt Lake City International (SLC). Transtats.BTS.gov, abgerufen am 18. April 2022 (englisch).
- ↑ Flugunfalldaten und -bericht DC-3 NC18146 im Aviation Safety Network (englisch), abgerufen am 3. März 2023.
- ↑ Unfallbericht B-727-100 N7030U, Aviation Safety Network (englisch), abgerufen am 4. Februar 2019.
- ↑ Flugunfalldaten und -bericht DC-3 N485 im Aviation Safety Network (englisch), abgerufen am 5. Juli 2023.
- ↑ Unfallbericht DC-8-54 N8047U, Aviation Safety Network (englisch), abgerufen am 8. November 2019.


_location_map.svg.png)