Hurrikan Patricia

Hurrikan Patricia
Kategorie-5-Hurrikan (SSHWS)
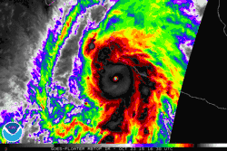
Hurrikan Patricia zum Zeitpunkt der Spitzenintensität am 23. Oktober bei der Annäherung an den Südwesten Mexikos
Hurrikan Patricia zum Zeitpunkt der Spitzenintensität am 23. Oktober bei der Annäherung an den Südwesten Mexikos
Entstehung 20. Oktober 2015
Auflösung 24. Oktober 2015
Spitzen­wind­geschwin­digkeit
345 km/h (215 mph) (1 Minute anhaltend)
Niedrigster Luftdruck 872 hPa (mbar)
Tote 8 direkt, 5 indirekt
Sachschäden 407,4 Millionen US-$ (2015)
Betroffene
Gebiete
Mexiko, Guatemala, El Salvador, Nicaragua
Saisonübersicht:
Pazifische Hurrikansaison 2015

Der Hurrikan Patricia im Oktober 2015 ist der stärkste pazifische Hurrikan, der bisher aufgezeichnet wurde.

Er ist nach dem Mexiko-Hurrikan 1959 der zweite pazifische Wirbelsturm der Kategorie 5, der in dieser Intensität das mexikanische Festland erreichte. Patricia ist mit einem niedrigsten Luftdruck von 872 hPa der stärkste tropische Wirbelsturm, der seit Beginn verlässlicher Beobachtungen im Pazifischen Ozean östlich der Datumslinie beobachtet wurde und auch der stärkste Hurrikan, der vom National Hurricane Center aufgezeichnet wurde. Somit war Hurrikan Patricia stärker als Hurrikan Linda, mit einem zentralen Luftdruck von 905 hPa vorheriger Rekordhalter in östlichen Pazifik, und Hurrikan Wilma, mit einem Zentralluftdruck von 882 hPa bisher stärkster Hurrikan im Atlantischen Ozean.[1]

Über dem Pazifik erreichte Patricia einminütige Windgeschwindigkeiten von 345 km/h,[2] in Böen erreichte der Sturm bis zu 400 km/h. Das Auge des Wirbelsturms hatte einen Durchmesser von neun Kilometern. Der Landfall ging mit einer leichten Abschwächung einher.[3]

Noch als tropische Depression brachte Patricia Starkregen nach Guatemala, Nicaragua und El Salvador; in den drei Staaten starben insgesamt sechs Menschen. In Mexiko starb eine Person während der Evakuierung.

Der Wirbelsturm der Kategorie 5 nach der Saffir-Simpson-Hurrikan-Windskala traf am 23. Oktober 2015 etwa um 23:15 Uhr UTC im Gebiet der Gemeinden La Huerta und Cihuatlán[4] im Bundesstaat Jalisco auf das mexikanische Festland. Für die Bundesstaaten Colima, Nayarit und Jalisco wurde der Notstand ausgerufen.[5]

Verlauf

Das entstehende Tiefdrucksystem am 17. Oktober über Zentralamerika

Am 14. Oktober begann das National Hurricane Center (NHC) mit der Beobachtung einer möglichen tropischen Zyklogenese über dem östlichsten Teil des Pazifischen Ozeans, unweit des Golfs von Tehuantepec, da die Bildung eines Tiefdruckgebietes erwartet wurde.[6] Das System konsolidierte sich am 17. Oktober unter Einfluss eines großen Gebietes atmosphärischer Konvektionsniederschläge und -gewitter, die sich von Zentralamerika aus mehrere hundert Kilometer weit westwärts über offenes Wasser erstreckten.[7] Die Bedingungen für eine Entwicklung des Systems waren günstig, das Tief organisierte sich stetig weiter, und die Konvektion konzentrierte sich stärker um dessen Zentrum.[8]

Die Interaktion mit einem Tehuano-Windereignis am 18. Oktober[9] verzögerte die Entwicklung der tropischen Störung in eine tropische Depression.[10][11] Gesteuert durch einen meteorologischen Rücken über dem Golf von Mexiko driftete das System west-südwestwärts und konsolidierte sich am 20. Oktober weiter. Um 15:00 Uhr UTC hatte die Konvektion so zugenommen, dass es zum Tropischen Tiefdruckgebiet Zwanzig-E erklärt wurde.[12] Zu diesem Zeitpunkt befand sich das System 715 km ostsüdöstlich von Acapulco.[13]

Aufzeichnung von Luftdruck (blau), Windgeschwindigkeit (rot) und Zugbewegung (lila) des sich entwickelnden Sturmgebietes Patricia

Das Zusammentreffen außergewöhnlicher atmosphärischer Bedingungen – geringe Windscherung, Wasseroberflächentemperaturen von mehr als 30 °C und hohe Feuchtigkeit – begünstigten eine rapide Intensivierung.[12] Das System konnte sich daher zu einem tropischen Sturm intensivieren, um 03:00 Uhr UTC wurde der Sturmname Patricia zugewiesen.[14][15] Aus noch unbekannten Gründen schien sich das System im Tagesverlauf teilweise aufzulösen: Regenbänder verschwanden und die bodennahe Zirkulation war nur noch schlecht definiert.[16][17] Diese Phase dauerte jedoch nur kurz, spät am 21. Oktober blühte die Konvektion auf und über dem Zentrum des Sturms bildete sich ein Central Dense Overcast. Früh am 22. Oktober war dann ein Auge zu erkennen.[18] Das System erreichte um 09:00 Uhr UTC Hurrikanstärke und bildete nun eine deutlich erkennbare Ausströmung sowie gut definierte Bandstrukturen. Die Intensivierung setzte sich rasch fort.[19] Von den Hurricane Hunters bei der Untersuchung von Patricia gesammelte Daten ergaben, dass Patricia die Kategorie 4 der SSHS um 18:00 Uhr UTC erreichte.[20]

Hurrikan Patricia am 23. Oktober mit Auge in einer Aufnahme von der Internationalen Raumstation ISS

In den Morgenstunden des 23. Oktober umgab den Hurrikan ein Ring von Wolken, deren Wolkenoberdecke Temperaturen von −90 °C aufwies. Dies und das 17 km durchmessende Auge signalisierten die Intensivierung des Hurrikans in die Kategorie 5.[21][22] Basierend auf den Satellitenanalysen wurde geschätzt, dass Patricia maximale einminütige Windgeschwindigkeiten von 260 km/h und einen Luftdruck von 924 hPa erreichte. In einer Spanne von 24 Stunden nahmen Patricas Windgeschwindigkeiten um 155 km/h zu. Diese Intensivierungsrate ist größer als die jedes anderen seit Beginn der Satellitenbeobachtungen aufgezeichneten Hurrikans im Pazifischen Ozean – nur Hurrikan Linda intensivierte sich 1997 in ähnlicher Weise.[22] Gegen 05:30 Uhr UTC wurde bei einem Erkundungsflug in den Hurrikan eine Windgeschwindigkeit von 332 km/h in Flughöhe gemessen. Mit diesen Messdaten wurde die Geschwindigkeit an der Oberfläche auf 295 km/h geschätzt, bei einem zentralen Luftdruck von 892 mbar. Damit wurde Patricia dem Luftdruck nach zum intensivsten Hurrikan im östlichen Pazifik und erreichte auch, gemeinsam mit Hurrikan Linda, die höchste Windstärke.[23]

Zugbahn des Hurrikans Patricia – Markierungen in 6-Stunden-Intervallen, farbliche Kennzeichnung der SSHWS-Kategorie nach Windgeschwindigkeit

Patricia vertiefte sich weiter, während der Erkundungsflug noch andauerte. Die letzten Beobachtungen, bevor die Hurrican Hunters den Hurrikan verließen, ergaben, dass der Hurrikan zum stärksten tropischen Wirbelsturm in der westlichen Hemisphäre geworden war. Patricia erreichte demnach andauernde einminütige Windgeschwindigkeiten von 325 km/h und einen Luftdruck von 879 mbar. Der vorherige Rekord betrug 882 hPa und wurde 2005 durch Hurrikan Wilma im Atlantischen Ozean gesetzt.[24][25] In der Flughöhe des Erkundungsfluges betrug die Windgeschwindigkeit 356 km/h. Die andauernden Windgeschwindigkeiten erreichten damit Werte, die zu den höchsten jemals verlässlich ermittelten Windgeschwindigkeiten auf der Erde gehören. Sie übertrafen auch die 2013 bei Taifun Haiyan ermittelten Werte, die auf Satellitenbeobachtungen basieren (wegen unterschiedlicher Bestimmungsmethoden ist unklar, welche tatsächlich die höchsten darstellen).[26]

Patricia beim Landfall am 23. Oktober (Satellitenaufnahmen im sichtbaren und infraroten Bereich, Falschfarbendarstellung)

Der Sturm behielt seine Windgeschwindigkeiten von 325 km/h über mehrere Stunden bei, bevor spät am 23. Oktober das Auge sich mit Wolken füllte und eine Abschwächung einsetzte.[27] Diese setzte sich fort, als Patricia sich der mexikanischen Küste weiter annäherte. Um 23:15 Uhr UTC am 23. Oktober erfolgte der Landfall des Hurrikans in der Umgebung von La Huerta und Cihuatlán[4] im Bundesstaat Jalisco mit Windgeschwindigkeiten von 265 km/h,[28] was Patricia zum ersten Hurrikan machte, der seit dem Mexiko-Hurrikan 1959 in dieser Kategorie auf die mexikanische Pazifikküste getroffen ist.[29] Allerdings ist der Status des unbenannten Hurrikans von 1959 umstritten, und er könnte schwächer gewesen sein, als er nach der Einführung der SSHS eingestuft wurde.[30]

Am 24. Oktober überquerte der Hurrikan die Sierra Madre del Sur und schwächte sich dabei sehr rasch ab; das Auge des Hurrikans verschwand von den Satellitenaufnahmen innerhalb weniger Stunden, nachdem der Hurrikan über Land gezogen war.[31] Patricias Zugbewegung beschleunigte sich im Landesinnern, da der Sturm zwischen einen Trog über dem Nordwesten Mexikos und dem Rücken über dem Golf von Mexiko eingezwängt war. Die Konvektion verlor ihre Organisation rapide und die Zirkulation in Bodennähe und in mittlerer bis großer Höhe löste sich vom Zentrum der Konvektion.[32][33] Am 24. Oktober um 15:00 Uhr UTC wurde Patricia zum tropischen Tiefdruckgebiet abgestuft, weil nur noch geringe Konvektion vorhanden war.[33]

Vorbereitungen

Die Touristen in den Küstengebieten wurden mit Bussen evakuiert. In den Bundesstaaten Michoacán, Colima, Jalisco und Nayarit wurden am 22. Oktober insgesamt 1782 Notunterkünfte eingerichtet, in denen bis zu 258.000 Personen untergebracht werden können.[34] Die Behörden in Manzanillo begannen am selben Tag mit der Verteilung von Sandsäcken[35] und einen Tag später wurde im Bundesstaat Jalisco der Schulunterricht ausgesetzt.[36]

Pazifische Kategorie-5-Hurrikane
Name Saison
Patsy 1959
"Mexico" 1959
Ava 1973
Emilia 1994
Gilma 1994
John 1994
Guillermo 1997
Linda 1997
Elida 2002
Hernan 2002
Kenna 2002
Ioke 2006
Rick 2009
Celia 2010
2015

Auswirkungen

Zentralamerika

Starke Regenfälle, die durch das Vorläufersystem zu Patricia erzeugt wurden, verursachten in Zentralamerika verbreitet Überschwemmungen und Erdrutsche.[37] Eine Person wurde dadurch im Departamento Alta Verapaz getötet, und etwa 2100 Personen mussten in Guatemala insgesamt in Sicherheit gebracht werden.[37][38] Insgesamt 442 Häuser und 28.200 Hektar Ackerfläche wurden geschädigt; etwa 223.000 Personen waren von Überschwemmungen betroffen.[39][40] Die staatlichen Behörden entsandten Nothelfer in die betroffene Region und stellten Soforthilfe in Höhe von 40 Millionen Quetzal (rund 5,4 Millionen USD) zur Verfügung.[39] Im benachbarten Staat El Salvador fielen zwischen 160 und 185 mm Regen, wodurch Überschwemmungen in ähnlichem Ausmaß verursacht wurden. Dutzende von Häusern wurden beschädigt[41] und vier Personen wurden durch die Auswirkungen des Unwetters getötet.[41][42] Der Río Goascorán trat innerhalb von zwei Tagen zweimal über seine Ufer und überflutete die angrenzenden Gemeinden.[41] Wegen der Überschwemmungen setzten die Behörden am 19. Oktober den Schulunterricht landesweit aus.[42] In Nicaragua begrub ein Erdrutsch vier Bergarbeiter in Bonanza; einer von ihnen wurde getötet, die drei anderen gerettet.[43] Der Río Ulúa in Honduras trat am 18. Oktober zum ersten Mal seit 17 Jahren über seine Ufer und erforderte so die Evakuierung von 200 Personen.[44][45] Durch Überschwemmungen beschädigt wurde auch etwa 10 Häuser in Jacó, Costa Rica.[46]

Mexiko

Im südwestlichen Mexiko wurden bei der Passage des Sturms vor der Küste durch anhaltende Niederschläge große Gebiete der Bundesstaaten Chiapas und Guerrero überflutet, was Evakuierungsmaßnahmen auslöste.[47] Der Hurrikan erzeugte an der Küste von Guerrero einen hohen Wellengang, wodurch Bauwerke an der Küste beschädigt wurden.[48] Nachdem der Hurrikan seine Richtung geändert hatte und zur Küste zog, gelangte er am 23. Oktober um 18:15 Uhr Ortszeit (23:15 Uhr UTC) mit der Windgeschwindigkeit 265 km/h[49] in der Umgebung der Buchten von Tenacatita, Cuestecomate und Navidad in den Municipios La Huerta und Cihuatlán im Bundesstaat Jalisco über Land.[4]

Eine automatische Wetterstation der NOAA/NWS im Chamela-Cuixmala-Biosphärenreservat, deren Standort 90 m über dem Meeresspiegel liegt, zeichnete als höchste einminütige 298 km/h und als stärkste Böe 340 km/h auf. Diese Messungen sind noch nicht überprüft und deswegen noch inoffiziell.[31]

Südstaaten der Vereinigten Staaten

Die Ausläufer von Patricia transportierten große Mengen Feuchtigkeit in den Süden der Vereinigten Staaten. Dadurch kam es in Colorado, New Mexico, Texas, Louisiana, Mississippi und Alabama verbreitet zu Dauerregen, Starkregen und Überschwemmungen. In Dallas entgleiste ein Güterzug, nachdem die Gleise unterspült worden waren.[50]

Künftige Namensvergabe

Ende April 2016 gab die World Meteorological Organization (WMO) bekannt, dass wegen der schweren Auswirkungen des Wirbelsturms im Jahre 2015 der Name Patricia fürderhin von der Vorschlagsliste der Namen tropischer Wirbelstürme entfernt und künftig nicht mehr vergeben wird. Anstelle dessen soll in der Saison 2021 unter P dann Pamela treten als Namensvorschlag für einen Wirbelsturm im östlichen Nordpazifik. In der Regel werden Sturmnamen nach einem 6-Jahres-Turnus von der WMO wiedervergeben. Patricia war der 13. Name, der von jenen den Nordostpazifik betreffenden Vorschlagslisten zurückgezogen wurde; bezüglich des Atlantiks waren es 2016 bereits 80 solcher Sturmnamen.[51]

Siehe auch

Commons: Hurricane Patricia – Sammlung von Bildern, Videos und Audiodateien

Einzelnachweise

  1. Jeff Masters: Category 5 Hurricane Patricia Hitting Mexico’s Pacific Coast. Weather Underground, abgerufen am 24. Oktober 2015 (englisch).
  2. Todd B. Kimberlain, Eric S. Blake und John P. Cangialosi: Hurricane Patricia Tropical Cyclone Report. (PDF) National Hurricane Center, 1. Februar 2016, abgerufen am 7. Februar 2016 (englisch).
  3. Landfall und Durchmesser
  4. a b c Patricia tocó tierra en costa de Jalisco. CONAGUA, archiviert vom Original am 4. November 2015; abgerufen am 25. Oktober 2015 (spanisch).  Info: Der Archivlink wurde automatisch eingesetzt und noch nicht geprüft. Bitte prüfe Original- und Archivlink gemäß Anleitung und entferne dann diesen Hinweis.@1@2Vorlage:Webachiv/IABot/www.conagua.gob.mx
  5. Pressebericht, Tagesspiegel abgerufen am 24. Oktober 2015
  6. Daniel P. Brown: Tropical Weather Outlook. National Hurricane Center, 14. Oktober 2015, abgerufen am 24. Oktober 2015 (englisch).
  7. Todd L. Kimberlain: Tropical Weather Outlook. National Hurricane Center, 17. Oktober 2015, abgerufen am 24. Oktober 2015 (englisch).
  8. Todd L. Kimberlain: Tropical Weather Outlook. National Hurricane Center, 18. Oktober 2015, abgerufen am 22. Oktober 2015 (englisch).
  9. Robbie J. Berg: Tropical Weather Outlook. National Hurricane Center, 18. Oktober 2015, abgerufen am 24. Oktober 2015 (englisch).
  10. Todd L. Kimberlain: Tropical Weather Outlook. National Hurricane Center, 19. Oktober 2015, abgerufen am 24. Oktober 2015 (englisch).
  11. Dave Roberts: Tropical Weather Outlook. National Hurricane Center, 19. Oktober 2015, abgerufen am 22. Oktober 2015 (englisch).
  12. a b Todd L. Kimberlain: Tropical Depression Twenty-E Discussion Number 1. National Hurricane Center, 20. Oktober 2015, abgerufen am 24. Oktober 2015 (englisch).
  13. Todd L. Kimberlain: Tropical Depression Twenty-E Advisory Number 1. National Hurricane Center, 20. Oktober 2015, abgerufen am 22. Oktober 2015 (englisch).
  14. Jack L. Beven: Tropical Depression Twenty-E Discussion Number 2. National Hurricane Center, 20. Oktober 2015, abgerufen am 24. Oktober 2015 (englisch).
  15. Stacy R. Stewart: Tropical Storm Patricia Discussion Number 3. National Hurricane Center, 21. Oktober 2015, abgerufen am 24. Oktober 2015 (englisch).
  16. Richard J. Pasch: Tropical Storm Patricia Discussion Number 4. National Hurricane Center, 21. Oktober 2015, abgerufen am 24. Oktober 2015 (englisch).
  17. Jack L. Beven: Tropical Storm Patricia Discussion Number 5. National Hurricane Center, 21. Oktober 2015, abgerufen am 24. Oktober 2015 (englisch).
  18. Stacy R. Stewart: Tropical Storm Patricia Discussion Number 7. National Hurricane Center, 22. Oktober 2015, abgerufen am 24. Oktober 2015 (englisch).
  19. Richard J. Pasch: Hurricane Patricia Discussion Number 8. National Hurricane Center, 22. Oktober 2015, abgerufen am 24. Oktober 2015 (englisch).
  20. Michael J. Brennan: Hurricane Patricia Special Discussion Number 10. National Hurricane Center, 22. Oktober 2015, abgerufen am 24. Oktober 2015 (englisch).
  21. Michael J. Brennan: Hurricane Patricia Discussion Number 11. National Hurricane Center, 22. Oktober 2015, abgerufen am 24. Oktober 2015 (englisch).
  22. a b Eric S. Blake: Hurricane Patricia Discussion Number 12. National Hurricane Center, 23. Oktober 2015, abgerufen am 24. Oktober 2015 (englisch).
  23. Richard J. Pasch: Hurricane Patricia Special Discussion Number 13. National Hurricane Center, 23. Oktober 2015, abgerufen am 24. Oktober 2015 (englisch).
  24. Richard J. Pasch: Hurricane Patricia Discussion Number 14. National Hurricane Center, 23. Oktober 2015, abgerufen am 24. Oktober 2015 (englisch).
  25. Richard J. Pasch, Eric S. Blake, Hugh D. Cobb III und David P. Roberts: Hurricane Wilma Tropical Cyclone Report. (PDF) National Hurricane Center, 9. September 2014, abgerufen am 24. Oktober 2015 (englisch).
  26. Dennis Mersereau: At 200 MPH, Hurricane Patricia Is Now the Strongest Tropical Cyclone Ever Recorded. In: The Vane. Gawker Media, 23. Oktober 2015, ehemals im Original (nicht mehr online verfügbar); abgerufen am 23. Oktober 2015 (englisch).@1@2Vorlage:Toter Link/thevane.gawker.com (Seite nicht mehr abrufbar. Suche in Webarchiven)  Info: Der Link wurde automatisch als defekt markiert. Bitte prüfe den Link gemäß Anleitung und entferne dann diesen Hinweis.
  27. Jack L. Beven: Hurricane Patricia Discussion Number 16. National Hurricane Center, 23. Oktober 2015, abgerufen am 24. Oktober 2015 (englisch).
  28. Eric S. Blake und Stacy R. Stewart: Hurricane Patricia Tropical Cyclone Update. National Hurricane Center, 23. Oktober 2015, abgerufen am 24. Oktober 2015 (englisch).
  29. National Hurricane Center, Hurricane Research Division, Atlantic Oceanographic and Meteorological Laboratory: Northeast and North Central Pacific hurricane database (HURDAT2) 1949–2021. United States National Oceanic and Atmospheric Administration’s Office of Oceanic & Atmospheric Research, 6. April 2022, abgerufen am 15. Mai 2022 (englisch).
  30. Josh Morgerman: Great Mexico Hurricane of 1959: Reanalyzing a Monster. iCyclone, 27. Oktober 2014, archiviert vom Original am 28. April 2016; abgerufen am 25. Oktober 2015 (englisch).  Info: Der Archivlink wurde automatisch eingesetzt und noch nicht geprüft. Bitte prüfe Original- und Archivlink gemäß Anleitung und entferne dann diesen Hinweis.@1@2Vorlage:Webachiv/IABot/www.icyclone.com
  31. a b Eric S. Blake und Stacy R. Stewart: Hurricane Patricia Discussion Number 17. National Hurricane Center, 24. Oktober 2015, abgerufen am 25. Oktober 2015 (englisch).
  32. John P. Cangialosi und Stacy R. Stewart: Hurricane Patricia Discussion Number 18. National Hurricane Center, 24. Oktober 2015, abgerufen am 25. Oktober 2015 (englisch).
  33. a b Jack L. Beven: Tropical Depression Patricia Discussion Number 19. National Hurricane Center, 24. Oktober 2015, abgerufen am 25. Oktober 2015 (englisch).
  34. Carlos Guerrero: Huracán ‚Patricia‘ provocará en tres estados la lluvia de todo un año. Noticieros Televisa, 22. Oktober 2015, archiviert vom Original (nicht mehr online verfügbar) am 19. November 2017; abgerufen am 24. Oktober 2015 (spanisch).  Info: Der Archivlink wurde automatisch eingesetzt und noch nicht geprüft. Bitte prüfe Original- und Archivlink gemäß Anleitung und entferne dann diesen Hinweis.@1@2Vorlage:Webachiv/IABot/noticieros.televisa.com
  35. Huracán Patricia de categoría 4 se acerca a costas de México. In: El Nuevo Herald. Associated Press, 22. Oktober 2015, archiviert vom Original (nicht mehr online verfügbar) am 24. Oktober 2015; abgerufen am 24. Oktober 2015 (spanisch).  Info: Der Archivlink wurde automatisch eingesetzt und noch nicht geprüft. Bitte prüfe Original- und Archivlink gemäß Anleitung und entferne dann diesen Hinweis.@1@2Vorlage:Webachiv/IABot/www.elnuevoherald.com
  36. Activan operativo de emergencia en Jalisco por ‚Patricia‘; suspenden clases. Noticieros Televisa, 22. Oktober 2015, abgerufen am 25. Oktober 2015 (spanisch).
  37. a b Paolina Albani: Evacuan a 2,100 por el temporal estacionario. In: Siglo21. Corporación de Noticias, 22. Oktober 2015, archiviert vom Original (nicht mehr online verfügbar) am 3. März 2016; abgerufen am 24. Oktober 2015 (spanisch).  Info: Der Archivlink wurde automatisch eingesetzt und noch nicht geprüft. Bitte prüfe Original- und Archivlink gemäß Anleitung und entferne dann diesen Hinweis.@1@2Vorlage:Webachiv/IABot/www.s21.com.gt
  38. Un muerto y damnificados por inundaciones en Guatemala. In: La Tribuna. Agence France-Presse, 18. Oktober 2015, archiviert vom Original (nicht mehr online verfügbar) am 20. Oktober 2015; abgerufen am 24. Oktober 2015 (spanisch).  Info: Der Archivlink wurde automatisch eingesetzt und noch nicht geprüft. Bitte prüfe Original- und Archivlink gemäß Anleitung und entferne dann diesen Hinweis.@1@2Vorlage:Webachiv/IABot/www.latribuna.hn
  39. a b J. Lopez und F. Rodriquez: Lluvias han afectado a 223 mil guatemaltecos. In: el Periódico. 20. Oktober 2015, archiviert vom Original (nicht mehr online verfügbar) am 24. November 2015; abgerufen am 22. Oktober 2015 (spanisch).  Info: Der Archivlink wurde automatisch eingesetzt und noch nicht geprüft. Bitte prüfe Original- und Archivlink gemäß Anleitung und entferne dann diesen Hinweis.@1@2Vorlage:Webachiv/IABot/elperiodico.com.gt
  40. Patricia Gómez: Temporal afectó 28.2 mil hectáreas en Santa Rosa. In: Siglo21. Corporación de Noticias, 22. Oktober 2015, archiviert vom Original (nicht mehr online verfügbar) am 3. März 2016; abgerufen am 24. Oktober 2015 (spanisch).  Info: Der Archivlink wurde automatisch eingesetzt und noch nicht geprüft. Bitte prüfe Original- und Archivlink gemäß Anleitung und entferne dann diesen Hinweis.@1@2Vorlage:Webachiv/IABot/www.s21.com.gt
  41. a b c Carlos Segovia, Insy Mendoza und Susana Joma: Un muerto, inundaciones y desbordamiento de ríos por lluvias en el oriente. In: elsalvador.com. El Diario de Hoy, 17. Oktober 2015, archiviert vom Original (nicht mehr online verfügbar) am 20. Oktober 2015; abgerufen am 25. Oktober 2015 (spanisch).  Info: Der Archivlink wurde automatisch eingesetzt und noch nicht geprüft. Bitte prüfe Original- und Archivlink gemäß Anleitung und entferne dann diesen Hinweis.@1@2Vorlage:Webachiv/IABot/www.elsalvador.com
  42. a b Cuatro muertos, daños y suspensión de clases a causa de las lluvias. In: elsalvador.com. El Diario de Hoy, 18. Oktober 2015, archiviert vom Original (nicht mehr online verfügbar) am 22. Oktober 2015; abgerufen am 24. Oktober 2015 (spanisch).  Info: Der Archivlink wurde automatisch eingesetzt und noch nicht geprüft. Bitte prüfe Original- und Archivlink gemäß Anleitung und entferne dann diesen Hinweis.@1@2Vorlage:Webachiv/IABot/www.elsalvador.com
  43. Merman lluvias en la región, pero autoridades mantendrán las alertas. In: El Heraldo. Agence France-Presse, San Salvador, El Salvador 21. Oktober 2015 (spanisch, Online [abgerufen am 25. Oktober 2015]).
  44. Más de 200 familias evacuadas por inundaciones. In: La Tribuna. 19. Oktober 2015 (spanisch, Online [abgerufen am 22. Oktober 2015]).
  45. Se desborda el río Ulúa en el occidente y norte de Honduras. La Prensa, 17. Oktober 2015, abgerufen am 25. Oktober 2015 (spanisch).
  46. Hufo Solano: Barriadas de Jacó sufrieron grandes pérdidas por inundaciones. La Nación, 19. Oktober 2015, abgerufen am 22. Oktober 2015 (spanisch).
  47. Fredy Martín Pérez: Se inundan 12 colonias por ‚Patricia‘ en Chiapas. In: El Universal. Tapachula, Mexico 21. Oktober 2015 (spanisch, Online [abgerufen am 25. Oktober 2015]).
  48. ‚Patricia‘ deja primeros daños en el País. Frontera, 22. Oktober 2015, abgerufen am 25. Oktober 2015 (spanisch).
  49. ‘Extraordinarily Dangerous’ Category 5 Hurricane Patricia Makes Landfall in Mexico. In: NBC News. 23. Oktober 2015, abgerufen am 25. Oktober 2015 (englisch).
  50. Rekord-Sturm. Hurrikan “Patricia” wütet auch im Süden der USA. Bei: Welt.de.
  51. World Meteorological Organization retires storm names Erika, Joaquin and Patricia. Pressemitteilung der NOOA, 25. April 2016, abgerufen am 22. August 2019.