Washington Dulles International Airport
| Washington Dulles International Airport | ||||
|---|---|---|---|---|
![]() | ||||
| Ansicht des Hauptterminals | ||||
| ||||
| Kenndaten | ||||
| ICAO-Code | KIAD | |||
| IATA-Code | IAD | |||
| Koordinaten | 38° 56′ 40″ N, 77° 27′ 21″ W | |||
| Höhe über MSL | 95,4 m (313 ft) | |||
| Verkehrsanbindung | ||||
| Entfernung vom Stadtzentrum | 36 km westlich von Washington, D.C. | |||
| Straße | ||||
| Bahn | ||||
| Nahverkehr | Bus: Fairfax Connector Virginia Breeze Megabus.com | |||
| Basisdaten | ||||
| Eröffnung | 17. November 1962[1] | |||
| Betreiber | Metropolitan Washington Airports Authority | |||
| Fläche | 4526[2] ha | |||
| Terminals | 3 | |||
| Passagiere | 27.254.087[3] (2024) | |||
| Luftfracht | 224.415 t[3] (2024) | |||
| Flug- bewegungen |
263.011[3] (2024) | |||
| Beschäftigte | 20.991[4] (2012) | |||
| Start- und Landebahnen | ||||
| 01L/19R | 2865 m × 46 m Beton | |||
| 01C/19C | 3505 m × 46 m Beton | |||
| 01R/19L | 3505 m × 46 m Beton | |||
| 12/30 | 3201 m × 46 m Beton | |||
| 12R/30L (geplant) | ||||
Der Washington Dulles International Airport (auch einfach Dulles International Airport, IATA-Code: IAD, ICAO-Code: KIAD) ist nach Passagierzahlen der größte Flughafen der Washington Metropolitan Area und einer der größeren Verkehrsflughäfen in den USA. Der Flughafen liegt ca. 36 Kilometer westlich von Washington, D.C., in Virginia (Eastern Time Zone) und wurde nach dem ehemaligen Außenminister John Foster Dulles benannt. Der Entwurf des Hauptterminals und des Towers stammte von dem finnischen Architekten Eero Saarinen. Der Flughafen dient als Drehkreuz für United Airlines. Mit 26.969.128 kommerziellen Passagieren lag er im Jahr 2024 auf Platz 24 der größten Flughäfen der Vereinigten Staaten, weltweit lag er auf Platz 97.[5]
Verkehrsanbindung

Der Flughafen ist seit dem 15. November 2022 in das Metronetz von Washington D.C. eingebunden. Im Flughafenbahnhof hält die Silver Line (silberne Linie) von Ashburn nach Downtown Largo.[6] Die einfache Fahrt mit der Metro kostet im Jahr 2022 je nach Tageszeit und Entfernung zwischen 2 und 6 USD.[7]
Stadtbusse der Marke Fairfax Connector nach Fairfax County[8] bedienen den Flughafen ebenso wie Regionalbusse der Marken Megabus.com und Virginia Breeze.[9] Expressbusse des Metro-Betreibers WMATA wurden mit Eröffnung der Metro-Anbindung im November 2022 eingestellt. Es besteht ein reguliertes Taxi-Angebot. Die Preise der über Online-Vermittlungsdienste angebotenen Fahrten[10] enthalten einen Sockelbetrag für die Flughafengesellschaft WMAA. Zu beachten ist, dass bei der Metro mit Stand November 2022 die nächtliche Betriebsruhe meistens bereits früher als bei der vorherigen Busbedienung einsetzt,[11] so dass für Passagiere danach ankommender Flüge nur Taxis und Vermittlungsdienste zur Verfügung stehen.
Über die Dulles Access Road in Mittellage der Dulles Toll Road besteht eine 14 Meilen lange mautfreie Direktverbindung an die Capital Beltway genannte Ringautobahn I-495, die Washington D.C. umschließt.
Geschichte
Das Flughafenareal ist etwa 45,26 km² (11.184 ac) groß und erstreckt sich über die Grenze von Fairfax County und Loudoun County.[2] Der Flughafen befindet sich zwischen zwei gemeindefreien Gebieten, Chantilly und Dulles, westlich von Herndon und südwestlich von Sterling. 1958 wurde das ehemalige gemeindefreie Gebiet Willard aufgelöst, um für Dulles Platz zu schaffen. Außerdem wurden zahlreiche Straßen, Häuser, Geschäfte und Schulen abgerissen, um Platz für die Landebahnen zu schaffen.
Der Flughafen wurde am 17. November 1962 vom US-Präsidenten John F. Kennedy als Dulles International Airport eröffnet und im Jahr 1984 zu Washington Dulles International Airport ergänzt.[1] Der Flughafen wurde im Film Stirb langsam 2 als Motiv eingesetzt.
Flughafenanlagen

Der Washington Dulles International Airport erstreckt sich über eine Fläche von 4526 Hektar.[2]
Start- und Landebahnen
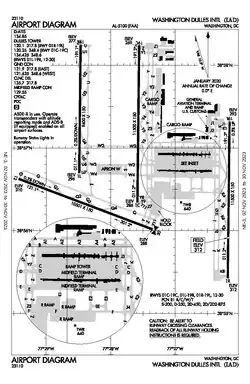
Der Washington Dulles International Airport verfügt über insgesamt vier Start- und Landebahnen. Drei Start- und Landebahnen verlaufen in einer Nord-Süd-Ausrichtung parallel zueinander, die andere Start- und Landebahn verläuft in einer Nordwest-Südost-Ausrichtung.[12] Die Errichtung einer fünften Start- und Landebahn mit der Kennung 12R/30L, deren Abmessungen der Start- und Landebahn 12/30 entsprechen sollen, ist geplant.[2][13]
| Bezeichnung | Maße in Metern |
Belag | Ausrichtung | Inbetriebnahme |
|---|---|---|---|---|
| 01R/19L | 3505 × 46 | Beton | Nord-Süd | 1962 |
| 01C/19C | 3505 × 46 | Beton | Nord-Süd | 1962 |
| 01L/19R | 2865 × 46 | Beton | Nord-Süd | 2008 |
| 12/30 | 3201 × 46 | Beton | Nordwest-Südost | 1962 |
Terminals


Der Flughafen hat einen Hauptterminal und zwei „Midfield Terminals“, welche aus jeweils zwei Concourses bestehen. Es gibt 125 Flugsteige im ganzen Flughafen. Der Flughafen benutzt seit der Eröffnung „Mobile Lounges“ genannte Spezialbusse, welche direkt an Flugzeuge andocken können. Mittlerweile werden sie nur noch für den Transport zu den Concourses A und D genutzt. 2004 wurde ein Tunnel zwischen dem Hauptterminal und Concourse B eröffnet. Am 26. Januar 2010 wurde zudem ein Peoplemover-System mit der Bezeichnung „AeroTrain“ in Betrieb genommen. Es verbindet das Hauptterminal mit den Concourses A, B und C, wobei der Halt für Terminal C jenseits des eigentlichen Terminals im Bereich des projektierten neuen Terminals liegt und per Tunnel mit Terminal C verbunden ist.[1][2][14][15]
Hauptterminal
Im Hauptterminal sind alle zentralen Funktionen zusammengefasst: Ticketschalter, Gepäckausgabe sowie Zoll- und Grenzabfertigung. Es gibt vier als „Z-Gates“ bezeichnete Flugsteige, welche von Air Canada und United Airlines genutzt werden. 1991 wurde ein Gebäude für internationale Ankünfte eröffnet. Von 1992 bis zum 1. Oktober 1996 wurde das Hauptterminal erweitert. Am 1. August 2005 wurden die Z-Flugsteige eröffnet. Zu Beginn gab es noch fünf Z-Flugsteige, mittlerweile wurde die Zahl jedoch auf vier reduziert.[1][2]
Midfield Concourses
Die Midfield-Concourses A und B sowie C und D teilen sich jeweils ein Gebäude.
Concourse A hat 43 Flugsteige, meistens für Standardrumpfflugzeuge. Der Concourse A wurde am 2. Mai 1999 eröffnet. Zu Beginn konnten 36 Regionalflugzeuge abgefertigt werden.
Concourse B hat 32 Flugsteige. Mit dem Concourse B wurde 1998 der erste permanente Concourse eröffnet, er verfügte zu Beginn über 20 Flugsteige. 2003 wurde der Flughafen auf 27 Flugsteige erweitert. Eine Erweiterung des Concourse B um 15 Flugsteige eröffnete am 15. Januar 2008.
Concourse C und D haben 22 beziehungsweise 24 Flugsteige und werden hauptsächlich von United Airlines genutzt. Der Concourse C/D wurde 1985 eröffnet. Im Jahr 1998 wurde in Concourse C ein Bereich für internationale Ankünfte eingerichtet, um internationalen Passagieren das Umsteigen auf Inlandsflüge von United Airlines zu ermöglichen.[1][2]
Frachtterminals
Die Luftfracht wird in sieben Gebäuden mit einer Fläche von insgesamt 50.168 Quadratmetern abgefertigt.[2]
Fluggesellschaften und Ziele

Der Washington Dulles International Airport dient United Airlines und United Express als Drehkreuz. Er wird von 46 Passagierfluggesellschaften angeflogen.[16] Zusätzlich befördern 36 Fluggesellschaften Luftfracht.[17]
Vom Washington Dulles International Airport gab es im August 2025 Direktflüge zu 92 nationalen und 57 internationalen Zielen. Das internationale Streckennetz umfasst Linienflüge nach Afrika, Asien, Europa, Nordamerika und Südamerika. Im deutschsprachigen Raum werden Frankfurt, München, Wien und Zürich angeflogen.[18]
Konkurrierende Flughäfen
- Ronald Reagan Washington National Airport: etwas kleiner, liegt aber näher am Stadtzentrum von Washington DC
- Baltimore-Washington International Airport
Verkehrszahlen


| Verkehrszahlen des Washington Dulles International Airport 1962–2024[3][A 1][A 2][A 3] | |||||||
|---|---|---|---|---|---|---|---|
| Jahr | Fluggastaufkommen | Luftfracht (Tonnen) | Luftpost (Tonnen) | Flugbewegungen | |||
| National | International | Sonstiges | Gesamt | ||||
| 2024 | 16.604.949 | 10.364.179 | 284.959 | 27.254.087 | 212.810 | 11.606 | 263.011 |
| 2023 | 15.560.876 | 9.333.677 | 240.774 | 25.135.327 | 200.553 | 12.645 | 252.389 |
| 2022 | 13.872.241 | 7.353.585 | 151.070 | 21.376.896 | 211.226 | 14.870 | 234.958 |
| 2021 | 13.975.797 | 55.068 | 13.959 | 14.044.824 | 197.843 | 27.607 | 171.904 |
| 2020 | 6.201.103 | 2.008.512 | 123.845 | 8.333.460 | 188.626 | 9.290 | 151.472 |
| 2019 | 16.324.990 | 8.361.246 | 131.441 | 24.817.677 | 261.707 | 11.678 | 288.364 |
| 2018 | 15.918.147 | 7.991.703 | 166.787 | 24.076.637 | 283.447 | 17.114 | 274.283 |
| 2017 | 14.971.813 | 7.744.583 | 176.105 | 22.892.501 | 281.851 | 17.523 | 264.780 |
| 2016 | 14.348.729 | 7.476.860 | 154.778 | 21.980.367 | 251.379 | 14.702 | 265.025 |
| 2015 | 14.315.697 | 7.183.205 | 151.644 | 21.650.546 | 248.754 | 13.434 | 269.070 |
| 2014 | 14.245.111 | 7.175.274 | 151.848 | 21.572.233 | 257.317 | 11.396 | 289.382 |
| 2013 | 14.812.076 | 6.984.250 | 150.739 | 21.947.065 | 237.715 | 15.646 | 307.816 |
| 2012 | 15.734.574 | 6.674.843 | 153.416 | 22.562.833 | 259.872 | 8.060 | 312.078 |
| 2011 | 16.511.920 | 6.544.371 | 155.565 | 23.211.856 | 291.257 | 11.509 | 327.495 |
| 2010 | 17.067.043 | 6.380.134 | 150.049 | 23.597.226 | 322.995 | 9.280 | 336.531 |
| 2009 | 16.827.490 | 6.246.175 | 139.676 | 23.213.341 | 282.686 | 10.083 | 340.367 |
| 2008 | 17.468.892 | 6.234.837 | 173.051 | 23.876.780 | 320.604 | 13.240 | 360.292 |
| 2007 | 18.582.990 | 5.942.497 | 212.041 | 24.737.528 | 348.135 | 10.484 | 382.943 |
| 2006 | 17.584.834 | 5.227.811 | 207.717 | 23.020.362 | 338.391 | 12.435 | 379.571 |
| 2005 | 21.926.743 | 4.916.179 | 209.196 | 27.052.118 | 288.879 | 14.133 | 509.652 |
| 2004 | 18.011.495 | 4.645.522 | 211.835 | 22.868.852 | 296.298 | 14.378 | 469.634 |
| 2003 | 12.751.265 | 4.016.502 | 182.614 | 16.950.381 | 267.517 | 17.835 | 335.397 |
| 2002 | 13.000.016 | 4.075.949 | 159.198 | 17.235.163 | 304.003 | 20.869 | 372.636 |
| 2001 | 13.916.798 | 3.944.450 | 141.071 | 18.002.319 | 288.194 | 42.720 | 396.886 |
| 2000 | 15.790.000 | 4.181.260 | 133.433 | 20.104.693 | 321.687 | 62.165 | 456.436 |
| 1999 | 16.054.958 | 3.742.371 | - | 19.797.329 | 293.658 | 65.570 | 465.195 |
| 1998 | 12.444.662 | 3.301.680 | - | 15.746.342 | 295.661 | 58.891 | 382.184 |
| 1997 | 10.697.389 | 3.060.472 | - | 13.757.861 | 292.538 | 57.789 | 339.564 |
| 1996 | 10.095.340 | 2.798.688 | - | 12.894.028 | 253.806 | 55.508 | 322.969 |
| 1995 | 9.652.858 | 2.790.799 | - | 12.443.657 | 240.116 | 51.860 | 308.144 |
| 1994 | 8.946.588 | 2.744.198 | - | 11.690.786 | 229.880 | 46.737 | 284.880 |
| 1993 | 8.500.717 | 2.486.474 | - | 10.987.191 | 192.145 | 48.086 | 267.837 |
| 1992 | 9.408.027 | 2.122.802 | - | 11.530.829 | 153.689 | 44.138 | 276.666 |
| 1991 | 9.406.407 | 1.555.921 | - | 10.962.328 | 127.173 | 36.684 | 264.579 |
| 1990 | 9.042.829 | 1.395.260 | - | 10.438.089 | 134.214 | 40.677 | 242.209 |
| 1989 | 9.224.290 | 1.174.801 | - | 10.399.091 | 117.974 | 38.986 | 224.885 |
| 1988 | 8.649.910 | 1.036.727 | - | 9.868.637 | 130.622 | 35.855 | 230.973 |
| 1987 | 9.980.145 | 970.065 | - | 10.950.211 | 94.477 | 31.692 | 289.167 |
| 1986 | 8.394.046 | 737.849 | - | 9.131.895 | 60.166 | 25.804 | 278.307 |
| 1985 | 4.538.446 | 698.831 | - | 5.237.277 | 47.969 | 21.800 | 208.333 |
| 1984 | 3.136.247 | 419.524 | - | 3.555.771 | 45.456 | 17.206 | 174.099 |
| 1983 | 2.651.147 | 368.642 | - | 3.019.789 | 36.740 | 15.448 | 165.000 |
| 1982 | 2.247.602 | 362.331 | - | 2.609.933 | 26.025 | 15.630 | 148.964 |
| 1981 | 1.888.556 | 436.029 | - | 2.324.585 | 23.966 | 18.022 | 155.348 |
| 1980 | 2.086.214 | 538.184 | - | 2.624.398 | 24.829 | 21.495 | 165.420 |
| 1979 | 2.857.578 | 667.476 | - | 3.525.054 | 33.026 | 21.833 | 172.974 |
| 1978 | 2.518.207 | 671.747 | - | 3.189.954 | 34.146 | 20.829 | 177.121 |
| 1977 | 2.267.313 | 600.469 | - | 2.867.782 | 32.071 | 17.346 | 186.391 |
| 1976 | 2.251.090 | 590.405 | - | 2.841.495 | 30.763 | 13.714 | 187.720 |
| 1975 | 2.000.486 | 527.921 | - | 2.528.407 | 30.880 | 14.961 | 177.673 |
| 1974 | 2.004.265 | 552.945 | - | 2.557.210 | 31.148 | 16.440 | 184.701 |
| 1973 | 2.083.104 | 561.889 | - | 2.644.993 | 26.346 | 13.772 | 204.048 |
| 1972 | 1.992.426 | 487.174 | - | 2.479.600 | 23.334 | 12.760 | 208.972 |
| 1971 | 1.881.330 | 363.979 | - | 2.245.309 | 21.581 | 13.073 | 194.647 |
| 1970 | 1.869.194 | 288.269 | - | 2.157.463 | 17.659 | 13.470 | 184.226 |
| 1969 | 1.928.139 | 248.063 | - | 2.176.202 | 16.787 | 14.525 | 224.295 |
| 1968 | 1.602.370 | 171.372 | - | 1.773.742 | 13.083 | 14.315 | 213.610 |
| 1967 | 1.427.471 | 137.141 | - | 1.564.612 | 11.808 | 8.515 | 212.153 |
| 1966 | 1.078.611 | 96.114 | - | 1.174.725 | 10.943 | 4.613 | 181.793 |
| 1965 | 920.431 | 74.018 | - | 994.449 | 10.593 | 4.271 | 158.883 |
| 1964 | 728.092 | 54.158 | - | 782.250 | 7.384 | 3.272 | 131.726 |
| 1963 | 640.506 | 26.053 | - | 666.559 | 6.057 | 2.921 | 131.726 |
| 1962 | 52.846 | 0 | - | 52.846 | 436 | 289 | 8016 |
| |||||||
Verkehrsreichste Strecken
| Rang | Stadt | Passagiere | Fluggesellschaft |
|---|---|---|---|
| 1 | Denver, Colorado | 576.320 | Southwest, United |
| 2 | San Francisco, Kalifornien | 490.480 | Alaska, United |
| 3 | Los Angeles, Kalifornien | 464.750 | Alaska, United |
| 4 | Atlanta, Georgia | 382.570 | Delta, Frontier, United |
| 5 | Seattle/Tacoma, Washington | 313.610 | Alaska, Delta, United |
| 6 | San Diego, Kalifornien | 268.350 | Alaska, United |
| 7 | Orlando, Florida | 256.230 | Frontier, United |
| 8 | Houston–Intercontinental, Texas | 249.060 | United |
| 9 | Chicago–O’Hare, Illinois | 239.870 | United |
| 10 | Dallas/Fort Worth, Texas | 237.010 | American, United |
Zwischenfälle
Von 1945 bis Februar 2020 kam es am Flughafen Washington Dulles und in seiner näheren Umgebung zu 11 Totalschäden von Flugzeugen. Dabei kamen 201 Menschen ums Leben.[21] Auszüge:
- Am 1. Dezember 1974 wurde eine Boeing 727-231 der US-amerikanischen Trans World Airlines (TWA) (Luftfahrzeugkennzeichen N54328) im Anflug auf den Flughafen Washington Dulles gegen den westlichen Berghang des Mount Weather bei Upperville (Virginia, USA) geflogen. Bei diesem CFIT (Controlled flight into Terrain) wurden alle 92 Insassen getötet, 7 Besatzungsmitglieder und 85 Passagiere. Beitragende Faktoren waren das Versagen der Luftfahrtbehörde FAA, seit Jahren bekannte Probleme in den Sprechfunkgruppen zu beheben, missverständliche Anweisungen der Flugsicherung sowie eine mangelhafte Kartendarstellung des Anflugverfahrens.[22]
Weblinks
- Website des Flughafens (englisch)
- Website des Flughafenbetreibers (englisch)
- OpenNav: IAD / KIAD Flugplatzkarte
- 10 Buildings That Changed America | #8 Dulles International Airport. In: Window To The World – WTTW (Bildungssender), mit Rundgang als Video, (4:30 Min.)
Einzelnachweise
- ↑ a b c d e History. FlyDulles.com, abgerufen am 13. April 2019 (englisch).
- ↑ a b c d e f g h Airport Overview. FlyDulles.com, abgerufen am 11. September 2022 (englisch).
- ↑ a b c d e f Dulles Air Traffic Statistics. MWAA.com, abgerufen am 14. August 2025 (englisch).
- ↑ 2012 Economic Impact Study. FlyDulles.com, abgerufen am 19. Juli 2018 (englisch).
- ↑ North America Airport Traffic Report. AirportsCouncil.org, abgerufen am 14. August 2025 (englisch).
- ↑ Dulles Airport Metrorail Station. In: flydulles.com. Metropolitan Washington Airports Authority, abgerufen am 30. November 2022 (englisch).
- ↑ Cost to Ride. WMATA, abgerufen am 30. November 2022 (englisch).
- ↑ Fairfax Connector. Fairfax County, abgerufen am 30. November 2022 (englisch).
- ↑ Other Transportation Options. In: flydulles.com. Metropolitan Washington Airports Authority, abgerufen am 30. November 2022 (englisch).
- ↑ Ride App Pickup. In: flydulles.com. Metropolitan Washington Airports Authority, abgerufen am 30. November 2022 (englisch).
- ↑ Jason Rabinowitz @airlineflyer: Just following up again with the ask of what passengers are supposed to do to get into DC if they miss that lat 10:53p train? The 5A bus had a final departure at 11:35p, so the Silver Line is actually a reduction in service in that regard. In: Twitter. 18. November 2022, archiviert vom am 30. November 2022; abgerufen am 30. November 2022 (englisch).
- ↑ AirportIQ 5010: Washington Dulles International. GCR1.com, abgerufen am 20. Januar 2020 (englisch).
- ↑ D2 Projects: Future Fifth Runway. MWAA.com, abgerufen am 20. Januar 2020 (englisch).
- ↑ D2 Projects: Future AeroTrain System. MWAA.com, abgerufen am 20. Januar 2020 (englisch).
- ↑ Airport and Terminal Maps. FlyDulles.com, abgerufen am 20. Januar 2020 (englisch).
- ↑ Airlines Serving Dulles International. FlyDulles.com, abgerufen am 14. August 2025 (englisch).
- ↑ Cargo Directory. MWAA.com, abgerufen am 14. August 2025 (englisch).
- ↑ Nonstop Destinations. FlyDulles.com, abgerufen am 14. August 2025 (englisch).
- ↑ Washington, DC: Washington Dulles International (IAD). Transtats.BTS.gov, abgerufen am 14. August 2025 (englisch).
- ↑ Arrivals and Departures. FlyDulles.com, abgerufen am 14. August 2025 (englisch).
- ↑ Flughafendaten im Aviation Safety Network (englisch), abgerufen am 22. März 2020.
- ↑ Flugunfalldaten und -bericht der B-727-200 N54328 im Aviation Safety Network (englisch), abgerufen am 23. Juni 2020.


_location_map.svg.png)